山口県下関市富任町1丁目(梶栗郷台地駅)の土地:物件詳細
交通 所在地 |
駅徒歩 |
価格 坪単価 |
土地面積(坪数) 私道負担面積 |
引渡方法 最適用途 |
建ぺい率 容積率 |
JR山陰本線/梶栗郷台地
山口県下関市富任町1丁目
|
10分
|
1,100万円
21.02万円
|
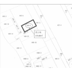
173.00m²
(52.33坪)
なし
|
更地渡
住宅用地
|
60%
200%
|
地形図等
|
外観
|
<
その他の画像
>
|
交通 | JR山陰本線 梶栗郷台地駅 徒歩10分 |
---|
その他の交通 | JR山陰本線 安岡駅 徒歩12分 |
所在地 |
山口県下関市富任町1丁目
|
物件種目 |
土地 |
価格 |
1,100万円 |
坪単価 |
21.02万円 |
借地期間・地代(月額) |
- |
権利金 |
- |
敷金または保証金 |
- / - |
維持費等 |
- |
その他一時金 |
なし |
|
|
土地面積 |
173.00m²(公簿) |
坪数 |
52.33坪 |
最適用途 |
住宅用地 |
私道負担面積 |
なし |
土地権利 |
所有権 |
都市計画 |
市街化区域 |
用途地域 |
1種住居 |
地勢 |
平坦 |
建ぺい率 |
60% |
容積率 |
200% |
接道状況 |
東 50.0m 公道 接面10.0m
・
南 4.0m 私道 接面14.0m
・
二方道路
|
地目 |
山林 |
国土法届出 |
- |
セットバック |
- |
アピールポイント |
幹線道路沿いに位置する約52.33坪の土地です。接道幅は約10m、前面道路は幅員もゆとりがあり、車の出入りや駐車場計画もしやすい形状です。建築条件なし・解体更地渡しのため、住宅用地としてはもちろん、店舗や事務所、医療・福祉施設用地などさまざまな用途にご活用いただけます。
●土地面積:約173m2
●建築条件なし/解体更地渡しで自由な建築計画が可能
●用地地域:第一種住居地域
●周辺環境:スーパーや病院が徒歩圏内で生活利便性も高い
●視認性良好な立地で、店舗やクリニック、オフィスなど事業用地にもおすすめ
●公共交通アクセスも良好、車通りの多いエリアです
住環境と利便性を兼ね備えた立地に加え、自由度の高い土地条件が魅力です。お気軽にお問い合わせください。 |
特記事項 |
整形地 |
備考 |
総区画:1区画
東側は私道に接しており、持分はありません。
|
エネルギー消費性能 |
- |
断熱性能 |
- |
目安光熱費 |
- |
バス・トイレ |
- |
キッチン |
- |
設備・サービス |
上水道、下水道、都市ガス |
その他 |
- |
条件等 |
- |
現況 |
更地 |
引渡し(可能時期/方法) |
即時/更地渡 |
物件番号 |
1177427503 |
情報公開日 |
2025年10月9日 |
次回更新予定日 |
2025年10月23日 |
ケータイ用バーコード |
- スマートフォンでこの物件を見る
- スマートフォンからもこの物件をご覧になれます。
|
※「-」と表示されている項目については、情報提供会社にご確認ください。
周辺施設 |
下関市立安岡小学校 |
距離 |
1620m |
写真を見る |
周辺施設 |
下関市立安岡中学校 |
距離 |
2100m |
写真を見る |
周辺施設 |
下関冨任郵便局 |
距離 |
690m |
写真を見る |
周辺施設 |
梶栗郷台地駅(JR西日本 山陰本線) |
距離 |
700m |
写真を見る |
周辺施設 |
しまむら安岡店 |
距離 |
540m |
写真を見る |
周辺施設 |
ワークマンプラス下関安岡店 |
距離 |
210m |
写真を見る |
ここから簡単にお問い合わせをすることができます。
(SSLでの暗号化での送信を希望されるお客さまは
こちら
よりお問い合わせください)
お問い合わせを行う前に
「個人情報の取り扱いについて」を必ずお読みください。
「個人情報の取り扱いについて」に同意いただいた場合は「上記にご同意の上 確認画面へ進む」のボタンをクリックしてください。
個人情報の取り扱いについて
皆さまが送付された個人情報はアットホーム(株)のサーバを経由し、お問い合わせ先の不動産会社にメールまたはFAXにて転送されるためアットホーム(株)にも保管されます。アットホーム(株)で保管された個人情報の取り扱いについては、【こちら】をご覧ください。
また、本画面でご記入いただいた個人情報は、お問い合わせ先の不動産会社でも保管します。 お問い合わせ先の不動産会社が保管する個人情報の取り扱いについては、不動産会社に直接お問い合わせください。
国土交通大臣免許(7)第5407号 |
---|
- 交通:
- JR山陽本線/下関駅 【バス】 三百目 停歩1分
- 山口県下関市岬之町11-46
- TEL:
- 083-222-1111
- FAX:
- 083-222-4444
- 所属団体:
- (公社)山口県宅地建物取引業協会会員不動産公正取引協議会加盟
取引態様:一般媒介  - 80908076
|
- スマートフォンで
この不動産会社を見る

|
- 提携サイト等より掲載されている物件情報につきましては、不動産会社詳細情報にリンクされていないものがあります。
- 物件に関するお問合せは、物件詳細ページの「情報提供会社」に表示されている不動産会社へ直接お願いいたします。
- 間取図は、現況を優先させていただきます。
- 映像は物件の一部を撮影したものです。物件の契約にあたっての最終判断はご自身の判断に基づいて行ってください。
- 仲介手数料について

アットホームは物件情報の適正化に努めております。
内容に誤りがある場合にはこちらへご連絡ください。