東京都日野市大字上田(高幡不動駅)の土地:物件詳細
交通 所在地 |
駅徒歩 |
価格 坪単価 |
土地面積(坪数) 私道負担面積 |
引渡方法 最適用途 |
建ぺい率 容積率 |
|
京王線/高幡不動
東京都日野市大字上田
|
16分
|
2,890万円
71.81万円
|
133.05m²
(40.24坪)
有 732.10m²(共有持分1/28)
|
相談
住宅用地
|
40%
80%
|
|
≪現地販売会≫【開催期間】2025年11月1日~11月9日 【時間】11:00~16:00 *★毎週【土・日・祝日】現地見学会開催★*
|
|
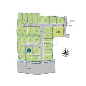
地形図等
【14号地】全体区画図 【日野市大字上田】 整備された街区、近隣に広がる美しい自然たち。
|
外観
接道状況および現場風景
|
<
その他の画像
>
|
| 交通 | 京王線 高幡不動駅 徒歩16分 |
|---|
| その他の交通 | JR中央線 日野駅 【バス】 13分 町屋 停歩5分 多摩モノレール 高幡不動駅 徒歩16分 |
| 所在地 |
東京都日野市大字上田
|
| 物件種目 |
土地 |
| 価格 |
2,890万円 |
坪単価 |
71.81万円 |
| 借地期間・地代(月額) |
- |
権利金 |
- |
| 敷金または保証金 |
- / - |
維持費等 |
- |
| その他一時金 |
- |
|
|
| 土地面積 |
133.05m²(実測) |
坪数 |
40.24坪 |
| 最適用途 |
住宅用地 |
私道負担面積 |
有 732.10m²(共有持分1/28) |
| 土地権利 |
所有権 |
都市計画 |
市街化区域 |
| 用途地域 |
1種低層 |
地勢 |
- |
| 建ぺい率 |
40% |
容積率 |
80% |
| 接道状況 |
東 5.0m 私道
|
地目 |
宅地 |
| 国土法届出 |
- |
セットバック |
- |
| アピールポイント |
\ 全28区画のビックコミュニティが誕生♪ /
土地面積133平米
◎「高幡不動」駅 徒歩16分
京王線・多摩都市モノレール・京王動物園線の3沿線利用可能!
●お好きな間取りで理想のマイホームを建ててみませんか?
●建築条件はございません。
●旗竿地は、小さなお子様が急に道路に飛び出てしまうことを防ぎます。安心してお庭で遊ぶことができますね
●当社オリジナル注文住宅サポートシステム「ハウス会」で、
信頼のおける建築会社のご紹介も承ります。プレゼン見積もり等お気軽にお問合せ下さい。
●「セレシス」はハウスメーカーで新築・建替えをお考えのお客様が徹底的にハウスメーカーを比較検討できるノウハウを持っています。
提携ハウスメーカーの選択交渉から決定、ご契約までをナビゲートいたします。 |
| 特記事項 |
- |
| 備考 |
区画番号:14
総区画:28区画
未利用地持分1.92平米×1/28有 河川占有使用料が年額950円かかります 橋梁により南側道路に接道 近隣に水路有
|
| エネルギー消費性能 |
- |
| 断熱性能 |
- |
| 目安光熱費 |
- |
| バス・トイレ |
- |
| キッチン |
- |
| 設備・サービス |
上水道、下水道、都市ガス |
| その他 |
- |
| 条件等 |
- |
現況 |
その他 |
| 引渡し(可能時期/方法) |
相談/相談 |
物件番号 |
1178125809 |
| 情報公開日 |
2025年10月31日 |
次回更新予定日 |
2025年11月15日 |
| ケータイ用バーコード |
- スマートフォンでこの物件を見る
- スマートフォンからもこの物件をご覧になれます。
|
※「-」と表示されている項目については、情報提供会社にご確認ください。
| 周辺施設 |
高幡不動駅 |
| 距離 |
1200m |
写真を見る |
| 周辺施設 |
上田せせらぎ保育園 |
| 距離 |
130m |
写真を見る |
| 周辺施設 |
日野市立日野第一小学校 |
| 距離 |
1520m |
写真を見る |
| 周辺施設 |
日野市立日野第一中学校 |
| 距離 |
1850m |
写真を見る |
| 周辺施設 |
日野市役所 |
| 距離 |
1170m |
写真を見る |
| 周辺施設 |
日野神明郵便局 |
| 距離 |
1020m |
写真を見る |
| 周辺施設 |
Farmer's market東京 みなみの恵み |
| 距離 |
730m |
写真を見る |
| 周辺施設 |
角上魚類 日野店 |
| 距離 |
440m |
写真を見る |
ここから簡単にお問い合わせをすることができます。
(SSLでの暗号化での送信を希望されるお客さまは
こちら
よりお問い合わせください)
お問い合わせを行う前に
「個人情報の取り扱いについて」を必ずお読みください。
「個人情報の取り扱いについて」に同意いただいた場合は「上記にご同意の上 確認画面へ進む」のボタンをクリックしてください。
個人情報の取り扱いについて
皆さまが送付された個人情報はアットホーム(株)のサーバを経由し、お問い合わせ先の不動産会社にメールまたはFAXにて転送されるためアットホーム(株)にも保管されます。アットホーム(株)で保管された個人情報の取り扱いについては、【こちら】をご覧ください。
また、本画面でご記入いただいた個人情報は、お問い合わせ先の不動産会社でも保管します。 お問い合わせ先の不動産会社が保管する個人情報の取り扱いについては、不動産会社に直接お問い合わせください。
国土交通大臣免許(8)第4224号 |
|---|
- 交通:
- 西武新宿線/田無駅 徒歩8分
- 東京都西東京市田無町4丁目16-2
- TEL:
- 042-465-4448
- FAX:
- 042-465-8102
- 所属団体:
- (公社)全日本不動産協会会員(一社)不動産流通経営協会会員(一社)全国住宅産業協会会員(公社)首都圏不動産公正取引協議会加盟
取引態様:媒介  - 00780669
|
- スマートフォンで
この不動産会社を見る

|
- 提携サイト等より掲載されている物件情報につきましては、不動産会社詳細情報にリンクされていないものがあります。
- 物件に関するお問合せは、物件詳細ページの「情報提供会社」に表示されている不動産会社へ直接お願いいたします。
- 間取図は、現況を優先させていただきます。
- 映像は物件の一部を撮影したものです。物件の契約にあたっての最終判断はご自身の判断に基づいて行ってください。
- 仲介手数料について

アットホームは物件情報の適正化に努めております。
内容に誤りがある場合にはこちらへご連絡ください。