新潟県新潟市中央区関屋恵町(関屋駅)の土地:物件詳細
交通 所在地 |
駅徒歩 |
価格 坪単価 |
土地面積(坪数) 私道負担面積 |
引渡方法 最適用途 |
建ぺい率 容積率 |
|
JR越後線/関屋
新潟県新潟市中央区関屋恵町
|
7分
|
1,580万円
24.30万円
|
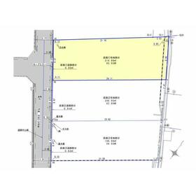
214.99m²
(65.03坪)
有 0.95m²
|
現況渡
住宅用地
|
60%
160%
|
|
地形図等
|
外観
|
その他の画像
|
| 交通 | JR越後線 関屋駅 徒歩7分 |
| 所在地 |
新潟県新潟市中央区関屋恵町
|
| 物件種目 |
土地 |
| 価格 |
1,580万円 |
坪単価 |
24.30万円 |
| 借地期間・地代(月額) |
- |
権利金 |
- |
| 敷金または保証金 |
- / - |
維持費等 |
- |
| その他一時金 |
なし |
|
|
| 土地面積 |
214.99m²(実測) |
坪数 |
65.03坪 |
| 最適用途 |
住宅用地 |
私道負担面積 |
有 0.95m² |
| 土地権利 |
所有権 |
都市計画 |
市街化区域 |
| 用途地域 |
1種住居 |
地勢 |
- |
| 建ぺい率 |
60% |
容積率 |
160% |
| 接道状況 |
南西 4.0m 公道 接面8.6m
|
地目 |
宅地 |
| 国土法届出 |
- |
セットバック |
- |
| アピールポイント |
※敷地内に一部高低差あり
※上下水道管引込予定、下水・都市ガス配管は前面道路まで整備あり
◆南西向きで陽当たり良好!明るく開放的な住まいにおすすめ
◆ゆとりのある約65坪の敷地には平家や二世帯住宅も検討が可能
◆間口8mの間口で駐車スペースやお庭のレイアウトも可能
◆JR越後線「関屋駅」徒歩7分 通勤・通学も快適!
◆有明台小学校まで徒歩5分、関屋中学校まで徒歩14分とお子様の通学も安心のエリア
◆信濃川「やすらぎ堤」までは徒歩5分 毎日のお散歩コースに◎
◆イオン新潟青山店、関屋ショッピングセンターが近く、毎日のお買物も快適です♪
◆利便性と住環境のバランスのとれた人気のエリア◎ |
| 特記事項 |
- |
| 備考 |
法令等制限:準防火地域/景観法
|
| エネルギー消費性能 |
- |
| 断熱性能 |
- |
| 目安光熱費 |
- |
| バス・トイレ |
- |
| キッチン |
- |
| 設備・サービス |
上水道、下水道、都市ガス、電気 |
| その他 |
- |
| 条件等 |
- |
現況 |
更地 |
| 引渡し(可能時期/方法) |
相談/現況渡 |
物件番号 |
1187504312 |
| 情報公開日 |
2025年7月10日 |
次回更新予定日 |
2025年12月9日 |
| ケータイ用バーコード |
- スマートフォンでこの物件を見る
- スマートフォンからもこの物件をご覧になれます。
|
※「-」と表示されている項目については、情報提供会社にご確認ください。
| 周辺施設 |
関屋駅(JR 越後線) |
| 距離 |
530m |
写真を見る |
| 周辺施設 |
ツルハドラッグ新潟関屋店 |
| 距離 |
1170m |
写真を見る |
| 周辺施設 |
ココカラファイン関屋店 |
| 距離 |
870m |
写真を見る |
| 周辺施設 |
新潟市立有明台小学校 |
| 距離 |
340m |
写真を見る |
| 周辺施設 |
新潟市立関屋中学校 |
| 距離 |
1310m |
写真を見る |
ここから簡単にお問い合わせをすることができます。
(SSLでの暗号化での送信を希望されるお客さまは
こちら
よりお問い合わせください)
お問い合わせを行う前に
「個人情報の取り扱いについて」を必ずお読みください。
「個人情報の取り扱いについて」に同意いただいた場合は「上記にご同意の上 確認画面へ進む」のボタンをクリックしてください。
個人情報の取り扱いについて
皆さまが送付された個人情報はアットホーム(株)のサーバを経由し、お問い合わせ先の不動産会社にメールまたはFAXにて転送されるためアットホーム(株)にも保管されます。アットホーム(株)で保管された個人情報の取り扱いについては、【こちら】をご覧ください。
また、本画面でご記入いただいた個人情報は、お問い合わせ先の不動産会社でも保管します。 お問い合わせ先の不動産会社が保管する個人情報の取り扱いについては、不動産会社に直接お問い合わせください。
新潟県知事免許(4)第4908号 |
|---|
- 交通:
- JR信越本線/新潟駅 【バス】10分 上近江 停歩1分
- 新潟県新潟市中央区上近江4丁目1-3
- TEL:
- 025-285-1080
- FAX:
- 025-285-1014
- 所属団体:
- (公社)新潟県宅地建物取引業協会会員(公社)首都圏不動産公正取引協議会加盟
取引態様:売主  - 00107422
|
- スマートフォンで
この不動産会社を見る

|
- 提携サイト等より掲載されている物件情報につきましては、不動産会社詳細情報にリンクされていないものがあります。
- 物件に関するお問合せは、物件詳細ページの「情報提供会社」に表示されている不動産会社へ直接お願いいたします。
- 間取図は、現況を優先させていただきます。
- 映像は物件の一部を撮影したものです。物件の契約にあたっての最終判断はご自身の判断に基づいて行ってください。
- 仲介手数料について

アットホームは物件情報の適正化に努めております。
内容に誤りがある場合にはこちらへご連絡ください。