東京都町田市能ヶ谷7丁目(鶴川駅)の土地:物件詳細
交通 所在地 |
駅徒歩 |
価格 坪単価 |
土地面積(坪数) 私道負担面積 |
引渡方法 最適用途 |
建ぺい率 容積率 |
小田急小田原線/鶴川 【バス】8分 第二公園前 停歩1分
東京都町田市能ヶ谷7丁目
|
-
|
3,180万円
37.23万円
|
282.43m²
(85.43坪)
-
|
更地渡
住宅用地
|
40%
80%
|
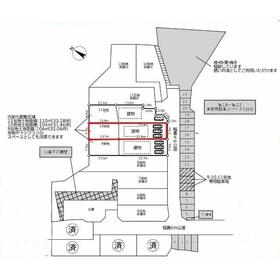
地形図等
|
外観
10号地
|
<
その他の画像
>
|
交通 | 小田急小田原線 鶴川駅 【バス】 8分 第二公園前 停歩1分 |
---|
その他の交通 | 小田急多摩線 五月台駅 徒歩18分 小田急多摩線 栗平駅 徒歩25分 |
所在地 |
東京都町田市能ヶ谷7丁目
|
物件種目 |
土地 |
価格 |
3,180万円 |
坪単価 |
37.23万円 |
借地期間・地代(月額) |
- |
権利金 |
- |
敷金または保証金 |
- / - |
維持費等 |
- |
その他一時金 |
なし |
|
|
土地面積 |
282.43m² |
坪数 |
85.43坪 |
最適用途 |
住宅用地 |
私道負担面積 |
- |
土地権利 |
所有権 |
都市計画 |
市街化区域 |
用途地域 |
1種低層 |
地勢 |
- |
建ぺい率 |
40% |
容積率 |
80% |
接道状況 |
南 6.0m 公道
|
地目 |
宅地 |
国土法届出 |
- |
セットバック |
- |
アピールポイント |
【小田急の仲介】
★敷地面積約85坪 敷地外専用駐車場付き!
★建築条件なし!お好きなハウスメーカーや工務店で建築できます♪
★敷地外に各1台専用駐車場付きです!
★道路との段差のない平坦地です!
★開発道路の突き当りのため車の往来がなく子育てしやすい環境です!
★市街化調整区域部分の土地は畑やドッグランとしても活用できます♪
|
特記事項 |
分譲地内 |
備考 |
区画番号:10号地
総区画:14区画
※都市計画:一部市街化調整区域 鶴川平和台地区計画(低層専用地区)内
集合住宅建築不可(長屋を除く)
最低敷地面積165m2
外壁後退1m以上
建物の高さ10m以内
軒の高さ7m以内
※専用駐車場等の共有部分有(持分14の1)
※土地面積:市街化区域(178.43m2)、市街化調整区域(104m2)
|
エネルギー消費性能 |
- |
断熱性能 |
- |
目安光熱費 |
- |
バス・トイレ |
- |
キッチン |
- |
設備・サービス |
下水道、都市ガス |
その他 |
- |
条件等 |
- |
現況 |
更地 |
引渡し(可能時期/方法) |
相談/更地渡 |
物件番号 |
1189286415 |
情報公開日 |
2025年10月9日 |
次回更新予定日 |
2025年10月23日 |
ケータイ用バーコード |
- スマートフォンでこの物件を見る
- スマートフォンからもこの物件をご覧になれます。
|
※「-」と表示されている項目については、情報提供会社にご確認ください。
周辺施設 |
小田急線「鶴川」駅 |
距離 |
1650m |
写真を見る |
周辺施設 |
セブンイレブン町田能ヶ谷4丁目店 |
距離 |
900m |
写真を見る |
周辺施設 |
ミニコープ鶴川店 |
距離 |
800m |
写真を見る |
周辺施設 |
Fuji五月台店 |
距離 |
1400m |
写真を見る |
周辺施設 |
ウェルパーク町田鶴川店 |
距離 |
1100m |
写真を見る |
周辺施設 |
医療法人社団総生会麻生総合病院 |
距離 |
2140m |
写真を見る |
周辺施設 |
町田市立鶴川第二小学校 |
距離 |
500m |
写真を見る |
周辺施設 |
町田市立鶴川第二中学校 |
距離 |
1200m |
写真を見る |
ここから簡単にお問い合わせをすることができます。
(SSLでの暗号化での送信を希望されるお客さまは
こちら
よりお問い合わせください)
お問い合わせを行う前に
「個人情報の取り扱いについて」を必ずお読みください。
「個人情報の取り扱いについて」に同意いただいた場合は「上記にご同意の上 確認画面へ進む」のボタンをクリックしてください。
個人情報の取り扱いについて
皆さまが送付された個人情報はアットホーム(株)のサーバを経由し、お問い合わせ先の不動産会社にメールまたはFAXにて転送されるためアットホーム(株)にも保管されます。アットホーム(株)で保管された個人情報の取り扱いについては、【こちら】をご覧ください。
また、本画面でご記入いただいた個人情報は、お問い合わせ先の不動産会社でも保管します。 お問い合わせ先の不動産会社が保管する個人情報の取り扱いについては、不動産会社に直接お問い合わせください。
国土交通大臣免許(15)第1168号 |
---|
- 交通:
- 小田急小田原線/相模大野駅 徒歩1分
- 神奈川県相模原市南区相模大野3丁目8-1 小田急相模大野ステーションスクエアA館7階
- TEL:
- 042-766-0909
- FAX:
- 042-766-0990
- 所属団体:
- (一社)不動産協会会員(公社)首都圏不動産公正取引協議会加盟
取引態様:媒介  - 00781386
|
- スマートフォンで
この不動産会社を見る

|
- 提携サイト等より掲載されている物件情報につきましては、不動産会社詳細情報にリンクされていないものがあります。
- 物件に関するお問合せは、物件詳細ページの「情報提供会社」に表示されている不動産会社へ直接お願いいたします。
- 間取図は、現況を優先させていただきます。
- 映像は物件の一部を撮影したものです。物件の契約にあたっての最終判断はご自身の判断に基づいて行ってください。
- 仲介手数料について

アットホームは物件情報の適正化に努めております。
内容に誤りがある場合にはこちらへご連絡ください。