不動産 賃貸 マンション等の住宅情報:埼玉住まい情報


石川県小松市河田町(明峰駅)の土地:物件詳細

  • 物件詳細
  • 情報の見方
  • 印刷用画面
交通
所在地
駅徒歩 価格
坪単価
土地面積(坪数)
私道負担面積
引渡方法
最適用途
建ぺい率
容積率

IRいしかわ鉄道/明峰
【バス】17分 本河田 停歩4分

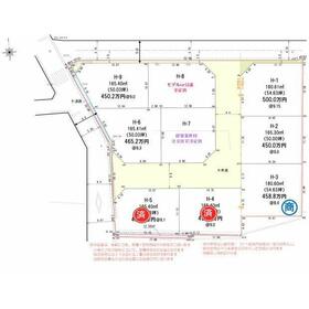
石川県小松市河田町


450.2万円

9万円

165.41m² (50.03坪)

なし

更地渡

住宅用地

60%

200%

おすすめコメント

国府小学校まで徒歩10分、国府中学校まで徒歩5分、保育園まで徒歩4分 スーパーマーケットまで徒歩9分、コンビニまで徒歩7分 旧小野町保育園跡 小野町・河田町 建築条件なし 2026年6月中旬頃完成予定

間取図

間取図

2026.05.01現在

外観

外観

2026.04.28撮影

<
その他の画像
  • 外観
  • 外観
  • 外観
  • 外観
  • 周辺環境
  • 周辺環境
  • 周辺環境
  • 周辺環境
  • その他
  • 周辺環境
  • 周辺環境
  • 外観
  • 小学校
  • その他
  • 販売店
  • ショッピング施設
  • コンビニ
  • 販売店
  • 病院
  • その他
>
    • とりあえず保存
    • お問い合わせ
    交通

    IRいしかわ鉄道 明峰駅
    【バス】 17分 本河田 停歩4分

    所在地 石川県小松市河田町
    物件種目 土地
    価格 450.2万円 坪単価 9万円
    借地期間・地代(月額) 権利金
    敷金または保証金 - / - 維持費等
    その他一時金 なし    
    土地面積 165.41m² 坪数 50.03坪
    最適用途 住宅用地 私道負担面積 なし
    土地権利 所有権 都市計画 調整区域
    用途地域 無指定 地勢
    建ぺい率 60% 容積率 200%
    接道状況 西 6.0m 接面11.3m 地目 宅地
    国土法届出 セットバック
    アピールポイント ゆったりのんびり暮らせる土地をお探しの方におススメです。
    敷地は50坪あり、かつ整形地で建築プランのご希望に合わせられやすく安心!
    新しい造成地のため周りも新しい生活をスタートされる方々なので、
    地域の方との交流も安心です。

    建築条件なしの土地なので、ご希望のハウスメーカーが決まっている方も決まっていない方もご購入いただけます。
    また、ハウスメーカーがお決まりでない方は、当社でも建築プランのご相談承っておりますので、お気軽にお尋ねください。
    ※土地のお引渡し時期は、2026年6月中旬頃の予定
    天候などにより工事期間が延長される場合がございますので、担当者へお問い合わせ下さい

    ご予算に合った価格、立地や敷地の条件など、
    気になる区画がありましたら、お早めにお問い合わせ下さい!
    特記事項
    備考
    法令等制限:景観形成重要地域内、?途なし(市街化調整区域)
    総区画:9区画
    開発許可等番号:小松市指令第1779号
    エネルギー消費性能
    断熱性能
    目安光熱費
    バス・トイレ
    キッチン
    設備・サービス 上水道、下水道
    その他
    条件等 現況 更地
    引渡し(可能時期/方法) 2026年6月中旬予定/更地渡 物件番号 1190240415
    情報公開日 2026年4月20日 次回更新予定日 2026年5月16日
    ケータイ用バーコード

    QRコード

    スマートフォンでこの物件を見る
    スマートフォンからもこの物件をご覧になれます。
    ※「-」と表示されている項目については、情報提供会社にご確認ください。

    この物件の周辺情報

    周辺施設 小松市立国府小学校
    距離 761m
    周辺施設 幼保連携型認定こども園舟見ヶ丘保幼園
    距離 275m
    周辺施設 Aコープ国府店
    距離 698m
    周辺施設 イオン小松店
    距離 3578m
    周辺施設 ファミリーマート 小松河田町店
    距離 551m
    周辺施設 ゲンキー八幡西店
    距離 3046m
    周辺施設 やわたメディカルセンター
    距離 3603m
    周辺施設 小松市国府地区体育館
    距離 566m

    クイックお問い合わせ

    ここから簡単にお問い合わせをすることができます。
    (SSLでの暗号化での送信を希望されるお客さまは こちら よりお問い合わせください)

    お問い合わせ内容(必須)
    お名前(必須) 姓  名 
    メールアドレス(必須)
    ※携帯電話のメールアドレスをご入力される方はこちらをご確認ください
    電話番号(必須)
    - -

    ※入力いただいた電話番号へSMSまたは音声でパスワードをご連絡します。

    携帯電話の番号をご入力の方へ

    携帯電話の番号をご入力の方へ
    確認画面にて送信ボタンをクリックするとSMSが携帯電話に届きます。
    そのSMSに記載のパスワード(認証番号)を入力し、お問い合わせを完了してください。
    尚、SMSの送信者番号は 0005 202 760 となります。
    これはアットホームの固定番号です。

    備考欄 希望条件、物件案内希望日、質問などがございましたらご記入ください。
    お問い合わせを行う前に「個人情報の取り扱いについて」を必ずお読みください。
    「個人情報の取り扱いについて」に同意いただいた場合は「上記にご同意の上 確認画面へ進む」のボタンをクリックしてください。

    個人情報の取り扱いについて

    皆さまが送付された個人情報はアットホーム(株)のサーバを経由し、お問い合わせ先の不動産会社にメールまたはFAXにて転送されるためアットホーム(株)にも保管されます。アットホーム(株)で保管された個人情報の取り扱いについては、【こちら】をご覧ください。
    また、本画面でご記入いただいた個人情報は、お問い合わせ先の不動産会社でも保管します。 お問い合わせ先の不動産会社が保管する個人情報の取り扱いについては、不動産会社に直接お問い合わせください。

    情報提供会社

    情報提供会社

    LIXIL不動産ショップ ジョイント21((株)ジョイント21)

    石川県知事免許(6)第3535号

    交通:
    北陸鉄道石川線/野町駅 徒歩16分 【バス】 有松 停歩1分
    石川県金沢市有松1丁目1-1 
    TEL:
    076-245-2121
    FAX:
    076-245-5678
    所属団体:
    (公社)石川県宅地建物取引業協会会員
    北陸不動産公正取引協議会加盟

    取引態様:売主

    • 会社情報
    • 40402591
    スマートフォンで
    この不動産会社を見る
    QRコード
    • とりあえず保存
    • お問い合わせ
    • 提携サイト等より掲載されている物件情報につきましては、不動産会社詳細情報にリンクされていないものがあります。
    • 物件に関するお問合せは、物件詳細ページの「情報提供会社」に表示されている不動産会社へ直接お願いいたします。
    • 間取図は、現況を優先させていただきます。
    • 映像は物件の一部を撮影したものです。物件の契約にあたっての最終判断はご自身の判断に基づいて行ってください。
    • 仲介手数料について仲介手数料

    アットホームは物件情報の適正化に努めております。 内容に誤りがある場合にはこちらへご連絡ください。

    【埼玉住まい情報】では、日本全国の物件から賃貸マンションや賃貸アパート・賃貸一戸建て等の賃貸住宅情報、新築マンション・分譲マンションや中古マンション等の売買マンション情報、新築一戸建てや中古一戸建てなどの戸建住宅、 土地など、総合的な不動産住宅情報検索サービスを提供致します。
    【埼玉住まい情報】から、選りすぐりの不動産物件を探してみましょう。

    【免責事項】
    このコーナーの運営はアットホーム株式会社(https://www.athome.co.jp/)が行っています。
    このコーナーに掲載している物件情報は、「アットホーム不動産情報ネットワーク」に加盟する不動産会社等(情報提供元)から提供されています。信頼性の高い情報提供が行えるよう、最大限の努力をしておりますが、その内容を保証するものではありません。 利用者のみなさまと各情報提供元との取引に起因する損害および情報が掲載されたことに起因する損害等については、株式会社イーシティ埼玉、およびアットホームは一切責任を負いません。
    各物件情報の内容や画像等はすべて現況を優先させていただきます。
    お取引等(お取引の準備、資金調達等を含みます)の際には、内容や契約条件等について、各情報提供元より十分な説明を受け、ご自身でご確認の上、判断してください。
    このコーナーへの物件情報のご掲載、その他不動産業務ソリューション等についての不動産会社様のお問合せはこちらからお願いいたします。

    物件画像: