宮城県柴田郡柴田町船岡中央3丁目(船岡駅)の土地:物件詳細
交通 所在地 |
駅徒歩 |
価格 坪単価 |
土地面積(坪数) 私道負担面積 |
引渡方法 最適用途 |
建ぺい率 容積率 |
|
JR東北本線/船岡
宮城県柴田郡柴田町船岡中央3丁目
|
8分
|
5,500万円
14.21万円
|
1,280.33m²
(387.29坪)
なし
|
現況渡
事業用地
|
60%
200%
|
|
間取図
区画図
|
外観
南側現地写真
|
その他の画像
|
| 交通 | JR東北本線 船岡駅 徒歩8分 |
| 所在地 |
宮城県柴田郡柴田町船岡中央3丁目
|
| 物件種目 |
土地 |
| 価格 |
5,500万円 |
坪単価 |
14.21万円 |
| 借地期間・地代(月額) |
- |
権利金 |
- |
| 敷金または保証金 |
- / - |
維持費等 |
- |
| その他一時金 |
- |
|
|
| 土地面積 |
1,280.33m²(公簿) |
坪数 |
387.29坪 |
| 最適用途 |
事業用地 |
私道負担面積 |
なし |
| 土地権利 |
所有権 |
都市計画 |
非線引区域 |
| 用途地域 |
2種住居 |
地勢 |
- |
| 建ぺい率 |
60% |
容積率 |
200% |
| 接道状況 |
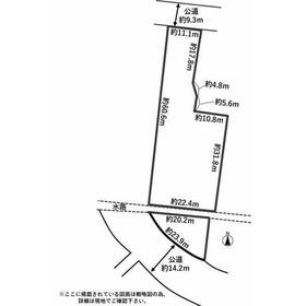
北 9.3m 公道 接面11.1m
・
南 14.2m 公道 接面23.9m
|
地目 |
宅地 |
| 国土法届出 |
- |
セットバック |
- |
| アピールポイント |
〇建築条件無し
〇JR東北本線「船岡」駅まで徒歩約8分
〇敷地面積約387坪! |
| 特記事項 |
- |
| 備考 |
法令等制限:建基法第22条指定、道路斜線制限、隣地斜線制限、日影制限
〇本物件敷地内には上水道管20mm管、下水道管の引込みがあります。〇本物件敷地内の南側には水路があります。水路上空を利用する場合、柴田町に対して事前に占有使用許可を受ける必要があります。その場合の費用は㎡あたり年額100円かかります。詳細は柴田町役場にご確認ください。
|
| エネルギー消費性能 |
- |
| 断熱性能 |
- |
| 目安光熱費 |
- |
| バス・トイレ |
- |
| キッチン |
- |
| 設備・サービス |
上水道、下水道、プロパンガス、電気、側溝 |
| その他 |
- |
| 条件等 |
- |
現況 |
更地 |
| 引渡し(可能時期/方法) |
即時/現況渡 |
物件番号 |
1190980604 |
| 情報公開日 |
2025年6月18日 |
次回更新予定日 |
2025年12月18日 |
| ケータイ用バーコード |
- スマートフォンでこの物件を見る
- スマートフォンからもこの物件をご覧になれます。
|
※「-」と表示されている項目については、情報提供会社にご確認ください。
| 周辺施設 |
セブンイレブン柴田船岡中央3丁目店 |
| 距離 |
104m |
| 周辺施設 |
医療法人社団北杜会船岡今野病院 |
| 距離 |
311m |
ここから簡単にお問い合わせをすることができます。
(SSLでの暗号化での送信を希望されるお客さまは
こちら
よりお問い合わせください)
お問い合わせを行う前に
「個人情報の取り扱いについて」を必ずお読みください。
「個人情報の取り扱いについて」に同意いただいた場合は「上記にご同意の上 確認画面へ進む」のボタンをクリックしてください。
個人情報の取り扱いについて
皆さまが送付された個人情報はアットホーム(株)のサーバを経由し、お問い合わせ先の不動産会社にメールまたはFAXにて転送されるためアットホーム(株)にも保管されます。アットホーム(株)で保管された個人情報の取り扱いについては、【こちら】をご覧ください。
また、本画面でご記入いただいた個人情報は、お問い合わせ先の不動産会社でも保管します。 お問い合わせ先の不動産会社が保管する個人情報の取り扱いについては、不動産会社に直接お問い合わせください。
国土交通大臣免許(13)第2343号 |
|---|
- 交通:
- 仙台市南北線/仙台駅 徒歩3分
- 宮城県仙台市青葉区中央1丁目3番1号 アエルビル19階F
- TEL:
- 022-369-9029
- FAX:
- 022-369-9035
- 所属団体:
- (一社)不動産流通経営協会会員(一社)不動産協会会員(公社)首都圏不動産公正取引協議会加盟
取引態様:一般媒介  - 20006555
|
- スマートフォンで
この不動産会社を見る

|
- 提携サイト等より掲載されている物件情報につきましては、不動産会社詳細情報にリンクされていないものがあります。
- 物件に関するお問合せは、物件詳細ページの「情報提供会社」に表示されている不動産会社へ直接お願いいたします。
- 間取図は、現況を優先させていただきます。
- 映像は物件の一部を撮影したものです。物件の契約にあたっての最終判断はご自身の判断に基づいて行ってください。
- 仲介手数料について

アットホームは物件情報の適正化に努めております。
内容に誤りがある場合にはこちらへご連絡ください。