埼玉県さいたま市西区大字指扇(西大宮駅)の土地:物件詳細
交通 所在地 |
駅徒歩 |
価格 坪単価 |
土地面積(坪数) 私道負担面積 |
引渡方法 最適用途 |
建ぺい率 容積率 |
JR川越線/西大宮
埼玉県さいたま市西区大字指扇
|
26分
|
2,090万円
62.13万円
|
111.22m²
(33.64坪)
-
|
更地渡
住宅用地
|
60%
200%
|
交通 | JR川越線 西大宮駅 徒歩26分 |
---|
その他の交通 | JR京浜東北線 大宮駅 【バス】 6分 三橋六丁目 停歩8分 JR川越線 指扇駅 徒歩38分 |
所在地 |
埼玉県さいたま市西区大字指扇
|
物件種目 |
土地 |
価格 |
2,090万円 |
坪単価 |
62.13万円 |
借地期間・地代(月額) |
- |
権利金 |
- |
敷金または保証金 |
- / - |
維持費等 |
- |
その他一時金 |
- |
|
|
土地面積 |
111.22m² |
坪数 |
33.64坪 |
最適用途 |
住宅用地 |
私道負担面積 |
- |
土地権利 |
所有権 |
都市計画 |
市街化区域 |
用途地域 |
工業地域 |
地勢 |
- |
建ぺい率 |
60% |
容積率 |
200% |
接道状況 |
西 4.0m 私道
|
地目 |
宅地 |
国土法届出 |
- |
セットバック |
- |
アピールポイント |
□■□東宝ハウス浦和の特典□■□
■お問合せで「住宅ローン講座」プレゼント
※住宅ローンをわかりやすくまとめた本です
■ご来店+アンケートでQUOカード最大5000円分プレゼント
━◇T’sローン◇━
「東宝ハウスフィナンシャル」は住信SBIネット銀行の銀行代理業者です。
魅力的な金利+金利上乗せなしで全疾病保障付帯の提携住宅ローンを提供します。
【住宅ローンのご相談】
不動産会社により銀行金利と保障内容が大きく変わります!
当社は多数の銀行様にて優遇幅の大きい提携金利で申込むことが可能です。
未公開情報や新規公開予定物件の資料もご用意します。
ぜひご希望条件をお聞かせ下さい。
━◇ TOHO HOUSE CLUB ◇━
【”東宝ハウスだけ”業界初の無料アフターサポート】
■ライフプランニング【未来カレンダーで独自のFP相談】
将来の収入と支出を『視える化』し、漠然とした不安や悩みを安心に変えるお手伝い
■かけつけサポート(5年間無料)
住まいの急なトラブルに24時間365日対応
■Club Offプレミアム
国内外20万以上の施設を割引価格で何度でも |
特記事項 |
- |
備考 |
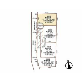
法令等制限:準防火地域:有その他制限事項:私道負担面積持分:30平米×1
総区画:4区画
準防火地域:有 私道負担面積持分:30平米×1/40(243-3)、75平米×1/40(245-4)協定道路/A区画:4.60平米、B:14.16平米、C:34.92平米、D:22.59平米
|
エネルギー消費性能 |
- |
断熱性能 |
- |
目安光熱費 |
- |
バス・トイレ |
- |
キッチン |
- |
設備・サービス |
上水道、下水道、都市ガス |
その他 |
- |
条件等 |
- |
現況 |
更地 |
引渡し(可能時期/方法) |
相談/更地渡 |
物件番号 |
1193588505 |
情報公開日 |
2025年9月19日 |
次回更新予定日 |
2025年10月17日 |
ケータイ用バーコード |
- スマートフォンでこの物件を見る
- スマートフォンからもこの物件をご覧になれます。
|
※「-」と表示されている項目については、情報提供会社にご確認ください。
ここから簡単にお問い合わせをすることができます。
(SSLでの暗号化での送信を希望されるお客さまは
こちら
よりお問い合わせください)
お問い合わせを行う前に
「個人情報の取り扱いについて」を必ずお読みください。
「個人情報の取り扱いについて」に同意いただいた場合は「上記にご同意の上 確認画面へ進む」のボタンをクリックしてください。
個人情報の取り扱いについて
皆さまが送付された個人情報はアットホーム(株)のサーバを経由し、お問い合わせ先の不動産会社にメールまたはFAXにて転送されるためアットホーム(株)にも保管されます。アットホーム(株)で保管された個人情報の取り扱いについては、【こちら】をご覧ください。
また、本画面でご記入いただいた個人情報は、お問い合わせ先の不動産会社でも保管します。 お問い合わせ先の不動産会社が保管する個人情報の取り扱いについては、不動産会社に直接お問い合わせください。
埼玉県知事免許(4)第21060号 |
---|
- 交通:
- JR京浜東北線/浦和駅 徒歩10分
- 埼玉県さいたま市浦和区岸町6丁目1-5
- TEL:
- 0120-919-113
- FAX:
- 048-831-2631
- 所属団体:
- (公社)全日本不動産協会会員(公社)首都圏不動産公正取引協議会加盟
取引態様:媒介  - 00780632
|
- スマートフォンで
この不動産会社を見る

|
- 提携サイト等より掲載されている物件情報につきましては、不動産会社詳細情報にリンクされていないものがあります。
- 物件に関するお問合せは、物件詳細ページの「情報提供会社」に表示されている不動産会社へ直接お願いいたします。
- 間取図は、現況を優先させていただきます。
- 映像は物件の一部を撮影したものです。物件の契約にあたっての最終判断はご自身の判断に基づいて行ってください。
- 仲介手数料について

アットホームは物件情報の適正化に努めております。
内容に誤りがある場合にはこちらへご連絡ください。