埼玉県上尾市大字大谷本郷(上尾駅)の土地:物件詳細
交通 所在地 |
駅徒歩 |
価格 坪単価 |
土地面積(坪数) 私道負担面積 |
引渡方法 最適用途 |
建ぺい率 容積率 |
|
JR高崎線/上尾 【バス】24分 大谷小学校 停歩6分
埼玉県上尾市大字大谷本郷
|
-
|
2,220万円
55.48万円
|
132.30m²
(40.02坪)
なし
|
現況渡
住宅用地
|
60%
180%
|
|
地形図等
|
外観
|
<
その他の画像
>
|
| 交通 | JR高崎線 上尾駅 【バス】 24分 大谷小学校 停歩6分 |
|---|
| その他の交通 | 湘南新宿ライン(前橋〜小田原) 上尾駅 【バス】 24分 大谷小学校 停歩6分 |
| 所在地 |
埼玉県上尾市大字大谷本郷
|
| 物件種目 |
土地 |
| 価格 |
2,220万円 |
坪単価 |
55.48万円 |
| 借地期間・地代(月額) |
- |
権利金 |
- |
| 敷金または保証金 |
- / - |
維持費等 |
- |
| その他一時金 |
なし |
|
|
| 土地面積 |
132.30m²(公簿) |
坪数 |
40.02坪 |
| 最適用途 |
住宅用地 |
私道負担面積 |
なし |
| 土地権利 |
所有権 |
都市計画 |
市街化区域 |
| 用途地域 |
1種住居 |
地勢 |
- |
| 建ぺい率 |
60% |
容積率 |
180% |
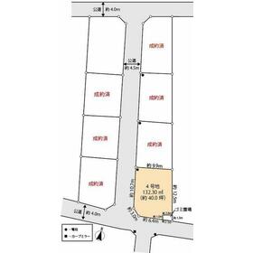
| 接道状況 |
西 4.5m 公道 接面10.7m
・
南 4.0m 公道 接面6.4m
|
地目 |
宅地 |
| 国土法届出 |
- |
セットバック |
- |
| 特記事項 |
- |
| 備考 |
法令等制限:/景観法/日影制限有/建築基準22条指定/道路斜線制限
総区画:7区画
開発許可等番号:指令第20240200
・角地につき、建ぺい率が70%に緩和されます。
・前面道路幅員により容積率180%に制限されます。
・ゴミ置場:2.51m2(各区画持分1/7)
・総区画数:7区画 / 販売区画数:1区画
・設備敷地内引込済
・司法書士売主指定
|
| エネルギー消費性能 |
- |
| 断熱性能 |
- |
| 目安光熱費 |
- |
| バス・トイレ |
- |
| キッチン |
- |
| 設備・サービス |
下水道、都市ガス |
| その他 |
- |
| 条件等 |
- |
現況 |
更地 |
| 引渡し(可能時期/方法) |
相談/現況渡 |
物件番号 |
1198503819 |
| 情報公開日 |
2026年1月29日 |
次回更新予定日 |
2026年3月27日 |
| ケータイ用バーコード |
- スマートフォンでこの物件を見る
- スマートフォンからもこの物件をご覧になれます。
|
※「-」と表示されている項目については、情報提供会社にご確認ください。
| 周辺施設 |
上尾市立大谷小学校 |
| 距離 |
310m |
写真を見る |
| 周辺施設 |
上尾市立南中学校 |
| 距離 |
430m |
写真を見る |
| 周辺施設 |
ローソン上尾大谷本郷店 |
| 距離 |
340m |
写真を見る |
| 周辺施設 |
ウエルシア上尾大谷本郷店 |
| 距離 |
370m |
写真を見る |
| 周辺施設 |
ダイソー上尾大谷本郷店 |
| 距離 |
420m |
写真を見る |
| 周辺施設 |
ビッグ・エーさいたま別所町店 |
| 距離 |
1190m |
写真を見る |
| 周辺施設 |
コープ今泉店 |
| 距離 |
1450m |
写真を見る |
| 周辺施設 |
医療法人社団愛友会上尾中央第二病院 |
| 距離 |
1710m |
写真を見る |
ここから簡単にお問い合わせをすることができます。
(SSLでの暗号化での送信を希望されるお客さまは
こちら
よりお問い合わせください)
お問い合わせを行う前に
「個人情報の取り扱いについて」を必ずお読みください。
「個人情報の取り扱いについて」に同意いただいた場合は「上記にご同意の上 確認画面へ進む」のボタンをクリックしてください。
個人情報の取り扱いについて
皆さまが送付された個人情報はアットホーム(株)のサーバを経由し、お問い合わせ先の不動産会社にメールまたはFAXにて転送されるためアットホーム(株)にも保管されます。アットホーム(株)で保管された個人情報の取り扱いについては、【こちら】をご覧ください。
また、本画面でご記入いただいた個人情報は、お問い合わせ先の不動産会社でも保管します。 お問い合わせ先の不動産会社が保管する個人情報の取り扱いについては、不動産会社に直接お問い合わせください。
国土交通大臣免許(13)第2343号 |
|---|
- 交通:
- JR埼京線/大宮駅 徒歩5分
- 埼玉県さいたま市大宮区桜木町1丁目10-16 シーノ大宮ノースウィング3F
- TEL:
- 048-643-3377
- FAX:
- 048-644-1059
- 所属団体:
- (一社)不動産流通経営協会会員(一社)不動産協会会員(公社)首都圏不動産公正取引協議会加盟
取引態様:売主  - 00781305
|
- スマートフォンで
この不動産会社を見る

|
- 提携サイト等より掲載されている物件情報につきましては、不動産会社詳細情報にリンクされていないものがあります。
- 物件に関するお問合せは、物件詳細ページの「情報提供会社」に表示されている不動産会社へ直接お願いいたします。
- 間取図は、現況を優先させていただきます。
- 映像は物件の一部を撮影したものです。物件の契約にあたっての最終判断はご自身の判断に基づいて行ってください。
- 仲介手数料について

アットホームは物件情報の適正化に努めております。
内容に誤りがある場合にはこちらへご連絡ください。