広島県広島市安佐北区口田4丁目(安芸矢口駅)の土地:物件詳細
交通 所在地 |
駅徒歩 |
価格 坪単価 |
土地面積(坪数) 私道負担面積 |
引渡方法 最適用途 |
建ぺい率 容積率 |
|
芸備線/安芸矢口
広島県広島市安佐北区口田4丁目
|
23分
|
600万円
22.84万円
|
86.86m²
(26.27坪)
なし
|
相談
住宅用地
|
50%
100%
|
|
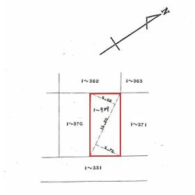
地形図等
|
外観
|
その他の画像
|
| 交通 | 芸備線 安芸矢口駅 徒歩23分 |
|---|
| その他の交通 | 芸備線 玖村駅 徒歩27分 |
| 所在地 |
広島県広島市安佐北区口田4丁目
|
| 物件種目 |
土地 |
| 価格 |
600万円 |
坪単価 |
22.84万円 |
| 借地期間・地代(月額) |
- |
権利金 |
- |
| 敷金または保証金 |
- / - |
維持費等 |
- |
| その他一時金 |
なし |
|
|
| 土地面積 |
86.86m²(公簿) |
坪数 |
26.27坪 |
| 最適用途 |
住宅用地 |
私道負担面積 |
なし |
| 土地権利 |
所有権 |
都市計画 |
市街化区域 |
| 用途地域 |
1種低層 |
地勢 |
高台 |
| 建ぺい率 |
50% |
容積率 |
100% |
| 接道状況 |
南東 4.6m 公道
|
地目 |
宅地 |
| 国土法届出 |
- |
セットバック |
- |
| アピールポイント |
◎高陽岩上郵便局徒歩約4分
◎ローソン広島落合一丁目店徒歩約5分
◎マックスバリュ高陽店徒歩約6分
◎もみじ銀行徒歩約6分
◎すいこう認定こども園徒歩約8分
◎落合幼稚園まで徒歩約12分
◎広島市立口田東小学校徒歩約10分 |
| 特記事項 |
- |
| 備考 |
不動産のことならSUMiTAS大町店(株)ケイアイ不動産販売広島支店にお任せ下さい!スタッフが丁寧にご対応させて頂きます!!
|
| エネルギー消費性能 |
- |
| 断熱性能 |
- |
| 目安光熱費 |
- |
| バス・トイレ |
- |
| キッチン |
- |
| 設備・サービス |
上水道、下水道 |
| その他 |
- |
| 条件等 |
- |
現況 |
建物有 |
| 引渡し(可能時期/方法) |
相談/相談 |
物件番号 |
1199637419 |
| 情報公開日 |
2026年3月4日 |
次回更新予定日 |
2026年5月19日 |
| ケータイ用バーコード |
- スマートフォンでこの物件を見る
- スマートフォンからもこの物件をご覧になれます。
|
※「-」と表示されている項目については、情報提供会社にご確認ください。
| 周辺施設 |
ローソン 広島落合一丁目店 |
| 距離 |
342m |
| 周辺施設 |
業務用食品スーパー高陽店 |
| 距離 |
506m |
| 周辺施設 |
セブン‐イレブン 広島落合1丁目店 |
| 距離 |
692m |
| 周辺施設 |
なかお内科 消化器 呼吸器クリニック |
| 距離 |
488m |
ここから簡単にお問い合わせをすることができます。
(SSLでの暗号化での送信を希望されるお客さまは
こちら
よりお問い合わせください)
お問い合わせを行う前に
「個人情報の取り扱いについて」を必ずお読みください。
「個人情報の取り扱いについて」に同意いただいた場合は「上記にご同意の上 確認画面へ進む」のボタンをクリックしてください。
個人情報の取り扱いについて
皆さまが送付された個人情報はアットホーム(株)のサーバを経由し、お問い合わせ先の不動産会社にメールまたはFAXにて転送されるためアットホーム(株)にも保管されます。アットホーム(株)で保管された個人情報の取り扱いについては、【こちら】をご覧ください。
また、本画面でご記入いただいた個人情報は、お問い合わせ先の不動産会社でも保管します。 お問い合わせ先の不動産会社が保管する個人情報の取り扱いについては、不動産会社に直接お問い合わせください。
国土交通大臣免許(2)第9597号 |
|---|
- 交通:
- 可部線/古市橋駅 徒歩3分
- 広島県広島市安佐南区大町東1丁目11-7 ツインズ大町Ⅱ103
- TEL:
- 082-836-3730
- FAX:
- 082-836-3731
- 所属団体:
- (公社)広島県宅地建物取引業協会会員中国地区不動産公正取引協議会加盟
取引態様:専任媒介  - 50104827
|
- スマートフォンで
この不動産会社を見る

|
- 提携サイト等より掲載されている物件情報につきましては、不動産会社詳細情報にリンクされていないものがあります。
- 物件に関するお問合せは、物件詳細ページの「情報提供会社」に表示されている不動産会社へ直接お願いいたします。
- 間取図は、現況を優先させていただきます。
- 映像は物件の一部を撮影したものです。物件の契約にあたっての最終判断はご自身の判断に基づいて行ってください。
- 仲介手数料について

アットホームは物件情報の適正化に努めております。
内容に誤りがある場合にはこちらへご連絡ください。