茨城県日立市小木津町5丁目(小木津駅)の土地:物件詳細
交通 所在地 |
駅徒歩 |
価格 坪単価 |
土地面積(坪数) 私道負担面積 |
引渡方法 最適用途 |
建ぺい率 容積率 |
|
JR常磐線/小木津
茨城県日立市小木津町5丁目
|
23分
|
505万円
3.10万円
|
538.60m²
(162.92坪)
-
|
現況渡
住宅用地
|
60%
200%
|
|
地形図等
|
外観
|
<
その他の画像
>
|
| 交通 | JR常磐線 小木津駅 徒歩23分 |
| 所在地 |
茨城県日立市小木津町5丁目
|
| 物件種目 |
土地 |
| 価格 |
505万円 |
坪単価 |
3.10万円 |
| 借地期間・地代(月額) |
- |
権利金 |
- |
| 敷金または保証金 |
- / - |
維持費等 |
- |
| その他一時金 |
- |
|
|
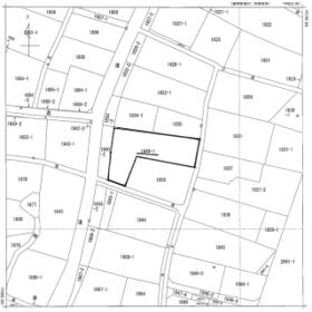
| 土地面積 |
538.60m²(公簿) |
坪数 |
162.92坪 |
| 最適用途 |
住宅用地 |
私道負担面積 |
- |
| 土地権利 |
所有権 |
都市計画 |
市街化区域 |
| 用途地域 |
1種住居 |
地勢 |
平坦 |
| 建ぺい率 |
60% |
容積率 |
200% |
| 接道状況 |
西 9.0m 公道 接面21.0m
・
南 1.8m 公道 接面8.0m
・
東 1.8m 公道 接面12.0m
・
三方道路
|
地目 |
宅地 |
| 国土法届出 |
- |
セットバック |
要 49.00m² |
| アピールポイント |
海近く、広々約163坪の土地!前面道路9mでアクセスも良好。
この土地は海が近く、海の景色や風を感じながら暮らすことができる素晴らしいロケーションです。
広さは約163坪と広大で、住宅用地としてはもちろん、事業用地としても多用途に活用できます。
前面道路の幅は9mあり、車の出入りがしやすく、安全性も確保されています。土地へのアクセスも非常に便利です。
近隣にはカフェがあり、リラックスできる環境があるこの土地で、理想の暮らしを実現してみませんか?
自宅用、または店舗や事業用地としても適した土地。ぜひ一度、現地をご覧ください。 |
| 特記事項 |
- |
| 備考 |
約163坪の広い敷地になります。
ドッグランを作ってワンちゃんと過ごしたり、
カフェや美容院などのお店を始めるのにもピッタリな場所です。
|
| エネルギー消費性能 |
- |
| 断熱性能 |
- |
| 目安光熱費 |
- |
| バス・トイレ |
- |
| キッチン |
- |
| 設備・サービス |
- |
| その他 |
- |
| 条件等 |
- |
現況 |
更地 |
| 引渡し(可能時期/方法) |
相談/現況渡 |
物件番号 |
6977313024 |
| 仲介手数料 |
33万円 |
|
|
| 情報公開日 |
2023年11月24日 |
次回更新予定日 |
2026年3月31日 |
| ケータイ用バーコード |
- スマートフォンでこの物件を見る
- スマートフォンからもこの物件をご覧になれます。
|
※「-」と表示されている項目については、情報提供会社にご確認ください。
| 周辺施設 |
エネオス小木津SS |
| 距離 |
909m |
写真を見る |
| 周辺施設 |
ホームプラザナフコ日立北店 |
| 距離 |
1036m |
写真を見る |
| 周辺施設 |
セブンイレブン日立北店 |
| 距離 |
1087m |
写真を見る |
| 周辺施設 |
日立市立日高小学校 |
| 距離 |
955m |
写真を見る |
| 周辺施設 |
日立市立日高中学校 |
| 距離 |
1100m |
写真を見る |
| 周辺施設 |
日高幼稚園 |
| 距離 |
1218m |
写真を見る |
| 周辺施設 |
ファミリーマート日立折笠店 |
| 距離 |
1145m |
写真を見る |
| 周辺施設 |
川尻郵便局 |
| 距離 |
1416m |
写真を見る |
ここから簡単にお問い合わせをすることができます。
(SSLでの暗号化での送信を希望されるお客さまは
こちら
よりお問い合わせください)
お問い合わせを行う前に
「個人情報の取り扱いについて」を必ずお読みください。
「個人情報の取り扱いについて」に同意いただいた場合は「上記にご同意の上 確認画面へ進む」のボタンをクリックしてください。
個人情報の取り扱いについて
皆さまが送付された個人情報はアットホーム(株)のサーバを経由し、お問い合わせ先の不動産会社にメールまたはFAXにて転送されるためアットホーム(株)にも保管されます。アットホーム(株)で保管された個人情報の取り扱いについては、【こちら】をご覧ください。
また、本画面でご記入いただいた個人情報は、お問い合わせ先の不動産会社でも保管します。 お問い合わせ先の不動産会社が保管する個人情報の取り扱いについては、不動産会社に直接お問い合わせください。
茨城県知事免許(7)第5221号 |
|---|
- 交通:
- JR常磐線/小木津駅 徒歩5分
- 茨城県日立市日高町2丁目2-3 102
- TEL:
- 0294-43-6336
- FAX:
- 0294-43-6354
- 所属団体:
- (公社)茨城県宅地建物取引業協会会員(一社)全国賃貸不動産管理業協会会員(公社)首都圏不動産公正取引協議会加盟
取引態様:媒介  - 00102983
|
- スマートフォンで
この不動産会社を見る

|
- 提携サイト等より掲載されている物件情報につきましては、不動産会社詳細情報にリンクされていないものがあります。
- 物件に関するお問合せは、物件詳細ページの「情報提供会社」に表示されている不動産会社へ直接お願いいたします。
- 間取図は、現況を優先させていただきます。
- 映像は物件の一部を撮影したものです。物件の契約にあたっての最終判断はご自身の判断に基づいて行ってください。
- 仲介手数料について

アットホームは物件情報の適正化に努めております。
内容に誤りがある場合にはこちらへご連絡ください。