東京都八王子市大船町(めじろ台駅)の土地:物件詳細
交通 所在地 |
駅徒歩 |
価格 坪単価 |
土地面積(坪数) 私道負担面積 |
引渡方法 最適用途 |
建ぺい率 容積率 |
|
京王高尾線/めじろ台
東京都八王子市大船町
|
23分
|
2,280万円
50.93万円
|
148.00m²
(44.76坪)
有 500.42m²(共有持分1/13)
|
現況渡
住宅用地
|
40%
80%
|
|
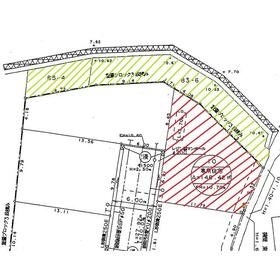
地形図等
開発図面 赤斜線部分が建築可能宅地。緑斜線部分は建物は建てられませんが、家庭菜園・資材置場・ドッグラン・プライベートガーデンなどの利用を検討されてはいかがでしょうか。
|
地形図等
|
<
その他の画像
>
|
|
|
| 交通 | 京王高尾線 めじろ台駅 徒歩23分 |
|---|
| その他の交通 | JR横浜線 八王子みなみ野駅 徒歩27分 京王高尾線 山田駅 徒歩29分 |
| 所在地 |
東京都八王子市大船町
|
| 物件種目 |
土地 |
| 価格 |
2,280万円 |
坪単価 |
50.93万円 |
| 借地期間・地代(月額) |
- |
権利金 |
- |
| 敷金または保証金 |
- / - |
維持費等 |
- |
| その他一時金 |
- |
|
|
| 土地面積 |
148.00m²(公簿) |
坪数 |
44.76坪 |
| 最適用途 |
住宅用地 |
私道負担面積 |
有 500.42m²(共有持分1/13) |
| 土地権利 |
所有権 |
都市計画 |
市街化区域 |
| 用途地域 |
1種低層 |
地勢 |
平坦 |
| 建ぺい率 |
40% |
容積率 |
80% |
| 接道状況 |
西 6.0m 私道 接面6.9m
|
地目 |
畑 |
| 国土法届出 |
- |
セットバック |
- |
| アピールポイント |
開発道路の突き当りにある土地で、北側は水路になりますので、人通りもほとんどなく、緑豊かな生活環境です。スーパーも近く、穏やかで便利な毎日が過ごせると思います。 |
| 特記事項 |
- |
| 備考 |
法令等制限:他に東京都建築安全条例第6条第2項の制限付きの土地131㎡
開発許可等番号:24多建開-開第21号
椚田・大船地区地区計画区域内 22条区域、八王子市景観計画区域 立地適正化計画身近な生活圏
|
| エネルギー消費性能 |
- |
| 断熱性能 |
- |
| 目安光熱費 |
- |
| バス・トイレ |
- |
| キッチン |
- |
| 設備・サービス |
上水道、下水道 |
| その他 |
- |
| 条件等 |
- |
現況 |
更地 |
| 引渡し(可能時期/方法) |
即時/現況渡 |
物件番号 |
6979643369 |
| 仲介手数料 |
売買代金の3%+6万円 |
|
|
| 情報公開日 |
2023年7月23日 |
次回更新予定日 |
2026年5月24日 |
| ケータイ用バーコード |
- スマートフォンでこの物件を見る
- スマートフォンからもこの物件をご覧になれます。
|
※「-」と表示されている項目については、情報提供会社にご確認ください。
| 周辺施設 |
業務スーパー寺田店 |
| 距離 |
532m |
写真を見る |
| 周辺施設 |
ロピア八王子みなみ野店 |
| 距離 |
274m |
写真を見る |
| 周辺施設 |
ローソンめじろ台グリーンヒル通店 |
| 距離 |
968m |
写真を見る |
| 周辺施設 |
安楽亭八王子椚田店 |
| 距離 |
679m |
写真を見る |
| 周辺施設 |
ほっともっとめじろ台店 |
| 距離 |
1420m |
写真を見る |
| 周辺施設 |
八王子市立椚田中学校 |
| 距離 |
971m |
写真を見る |
| 周辺施設 |
ウエルシア八王子椚田店 |
| 距離 |
497m |
写真を見る |
ここから簡単にお問い合わせをすることができます。
(SSLでの暗号化での送信を希望されるお客さまは
こちら
よりお問い合わせください)
お問い合わせを行う前に
「個人情報の取り扱いについて」を必ずお読みください。
「個人情報の取り扱いについて」に同意いただいた場合は「上記にご同意の上 確認画面へ進む」のボタンをクリックしてください。
個人情報の取り扱いについて
皆さまが送付された個人情報はアットホーム(株)のサーバを経由し、お問い合わせ先の不動産会社にメールまたはFAXにて転送されるためアットホーム(株)にも保管されます。アットホーム(株)で保管された個人情報の取り扱いについては、【こちら】をご覧ください。
また、本画面でご記入いただいた個人情報は、お問い合わせ先の不動産会社でも保管します。 お問い合わせ先の不動産会社が保管する個人情報の取り扱いについては、不動産会社に直接お問い合わせください。
東京都知事免許(6)第74848号 |
|---|
- 交通:
- JR中央線/高尾駅 徒歩3分
- 東京都八王子市初沢町1231-17 高尾力栄ビル1階
- TEL:
- 042-669-7315
- FAX:
- 042-669-7316
- 所属団体:
- (公社)全日本不動産協会会員(公社)首都圏不動産公正取引協議会加盟
取引態様:専任媒介  - 00640385
|
- スマートフォンで
この不動産会社を見る

|
- 提携サイト等より掲載されている物件情報につきましては、不動産会社詳細情報にリンクされていないものがあります。
- 物件に関するお問合せは、物件詳細ページの「情報提供会社」に表示されている不動産会社へ直接お願いいたします。
- 間取図は、現況を優先させていただきます。
- 映像は物件の一部を撮影したものです。物件の契約にあたっての最終判断はご自身の判断に基づいて行ってください。
- 仲介手数料について

アットホームは物件情報の適正化に努めております。
内容に誤りがある場合にはこちらへご連絡ください。