大阪府和泉市伯太町5丁目(信太山駅)の土地:物件詳細
交通 所在地 |
駅徒歩 |
価格 坪単価 |
土地面積(坪数) 私道負担面積 |
引渡方法 最適用途 |
建ぺい率 容積率 |
|
JR阪和線/信太山
大阪府和泉市伯太町5丁目
|
12分
|
1,580万円
39.54万円
|
132.13m²
(39.96坪)
なし
|
-
住宅用地
|
60%
200%
|
|
地形図等
|
|
その他の画像
|
| 交通 | JR阪和線 信太山駅 徒歩12分 |
| 所在地 |
大阪府和泉市伯太町5丁目
|
| 物件種目 |
土地 |
| 価格 |
1,580万円 |
坪単価 |
39.54万円 |
| 借地期間・地代(月額) |
- |
権利金 |
- |
| 敷金または保証金 |
- / - |
維持費等 |
- |
| その他一時金 |
- |
|
|
| 土地面積 |
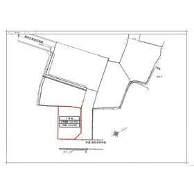
132.13m²(公簿) |
坪数 |
39.96坪 |
| 最適用途 |
住宅用地 |
私道負担面積 |
なし |
| 土地権利 |
所有権 |
都市計画 |
市街化区域 |
| 用途地域 |
2種中高 |
地勢 |
平坦 |
| 建ぺい率 |
60% |
容積率 |
200% |
| 接道状況 |
南東 4.0m 公道 接面6.7m
・
北東 4.9m 私道 位置指定有 接面12.0m
・
二方道路
|
地目 |
宅地 |
| 国土法届出 |
- |
セットバック |
要 1.32m² |
| 特記事項 |
- |
| 備考 |
工事完了予定日:2024年1月
■別途費用負担:上水道引込加入金(20㎜) 132,000円、設計審査手数料 1,000円、工事検査手数料 2,000円、建築工事に関する諸費用他
、媒介報酬【売買価格×(3%+6万)×1.10】、セットバック:1.32㎡、売買契約印紙代【1万円】、不動産取得税、登記手数料、固定資産税・都市計画税精算
■閑静な住宅街で静かに暮らしたい新婚さんやカップルにおすすめです。
子育てに優しい落ち着いた地域です。
|
| エネルギー消費性能 |
- |
| 断熱性能 |
- |
| 目安光熱費 |
- |
| バス・トイレ |
- |
| キッチン |
- |
| 設備・サービス |
上水道、下水道、都市ガス |
| その他 |
- |
| 条件等 |
建築条件付き |
現況 |
更地 |
| 引渡し(可能時期/方法) |
相談/- |
物件番号 |
6980491124 |
| 情報公開日 |
2026年2月17日 |
次回更新予定日 |
2026年5月12日 |
| ケータイ用バーコード |
- スマートフォンでこの物件を見る
- スマートフォンからもこの物件をご覧になれます。
|
※「-」と表示されている項目については、情報提供会社にご確認ください。
| 周辺施設 |
ローソン和泉伯太町四丁目店 |
| 距離 |
838m |
| 周辺施設 |
陸上自衛隊 信太山駐屯地 |
| 距離 |
250m |
ここから簡単にお問い合わせをすることができます。
(SSLでの暗号化での送信を希望されるお客さまは
こちら
よりお問い合わせください)
お問い合わせを行う前に
「個人情報の取り扱いについて」を必ずお読みください。
「個人情報の取り扱いについて」に同意いただいた場合は「上記にご同意の上 確認画面へ進む」のボタンをクリックしてください。
個人情報の取り扱いについて
皆さまが送付された個人情報はアットホーム(株)のサーバを経由し、お問い合わせ先の不動産会社にメールまたはFAXにて転送されるためアットホーム(株)にも保管されます。アットホーム(株)で保管された個人情報の取り扱いについては、【こちら】をご覧ください。
また、本画面でご記入いただいた個人情報は、お問い合わせ先の不動産会社でも保管します。 お問い合わせ先の不動産会社が保管する個人情報の取り扱いについては、不動産会社に直接お問い合わせください。
大阪府知事免許(6)第47694号 |
|---|
- 交通:
- 南海本線/浜寺公園駅 徒歩2分
- 大阪府堺市西区浜寺公園町2丁204
- TEL:
- 072-263-8759
- FAX:
- 072-265-9735
- 所属団体:
- (一社)大阪府宅地建物取引業協会会員(公社)近畿地区不動産公正取引協議会加盟
取引態様:専任媒介  - 50023645
|
- スマートフォンで
この不動産会社を見る

|
- 提携サイト等より掲載されている物件情報につきましては、不動産会社詳細情報にリンクされていないものがあります。
- 物件に関するお問合せは、物件詳細ページの「情報提供会社」に表示されている不動産会社へ直接お願いいたします。
- 間取図は、現況を優先させていただきます。
- 映像は物件の一部を撮影したものです。物件の契約にあたっての最終判断はご自身の判断に基づいて行ってください。
- 仲介手数料について

アットホームは物件情報の適正化に努めております。
内容に誤りがある場合にはこちらへご連絡ください。