不動産 賃貸 マンション等の住宅情報:埼玉住まい情報


岩手県盛岡市山岸4丁目(山岸駅)の土地:物件詳細

  • 物件詳細
  • 情報の見方
  • 印刷用画面
交通
所在地
駅徒歩 価格
坪単価
土地面積(坪数)
私道負担面積
引渡方法
最適用途
建ぺい率
容積率

JR山田線/山岸
[バス利用可] バス 5分 山岸四丁目 停歩1分

岩手県盛岡市山岸4丁目

10分

1,300万円

8.72万円

493.17m² (149.18坪)

現況渡

店舗用地

50%

80%

おすすめコメント

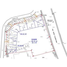
物件前にバス停があり店舗用地としての用途も!土地面積が約149坪ある広々とした敷地です!一部のり面があり有効面積は約90坪。のり面部分は植栽・家庭菜園等に活用!まずはお問い合わせください(^-^)/

地形図等

地形図等

その他の画像
    • とりあえず保存
    • お問い合わせ
    交通

    JR山田線 山岸駅 徒歩10分
    [バス利用可] バス 5分 山岸四丁目 停歩1分

    所在地 岩手県盛岡市山岸4丁目
    物件種目 土地
    価格 1,300万円 坪単価 8.72万円
    借地期間・地代(月額) 権利金
    敷金または保証金 - / - 維持費等
    その他一時金    
    土地面積 493.17m²(公簿) 坪数 149.18坪
    最適用途 店舗用地 私道負担面積
    土地権利 所有権 都市計画 市街化区域
    用途地域 1種低層 地勢
    建ぺい率 50% 容積率 80%
    接道状況 東 5.9m 公道 接面22.0m 地目 宅地
    国土法届出 セットバック
    アピールポイント ●決断の難しいマイホームの購入をお手伝いします!
    マイホーム購入には不動産や住宅ローンの知識が必要となります。
    注文住宅、建売住宅、中古住宅、マンション等の選択、資金計画や
    住宅ローンに関することなど、悩み事やご不明点を弊社にご相談く
    ださい。お客様と一緒に考え、最適なプランをご提案致します。
    特記事項
    備考
    本物件前面道路は都市計画道路の予定地につき、都市計画施設の区域内で建物を建築する場合は53条許可が必要となります。
    本物件は一部のり面があり、有効面積は299.65㎡です。(のり面の面積193.52㎡)
    エネルギー消費性能
    断熱性能
    目安光熱費
    バス・トイレ
    キッチン
    設備・サービス 上水道、下水道、プロパンガス、電気
    その他
    条件等 建築条件付き 現況 更地
    引渡し(可能時期/方法) 即時/現況渡 物件番号 6983491566
    情報公開日 2024年9月12日 次回更新予定日 2025年12月26日
    ケータイ用バーコード

    QRコード

    スマートフォンでこの物件を見る
    スマートフォンからもこの物件をご覧になれます。
    ※「-」と表示されている項目については、情報提供会社にご確認ください。

    この物件の周辺情報

    周辺施設 ベルフ山岸
    距離 1008m
    周辺施設 マルイチ浅岸店
    距離 1571m
    周辺施設 ローソン盛岡浅岸店
    距離 1461m
    周辺施設 ローソン盛岡山岸1丁目店
    距離 1374m
    周辺施設 私立盛岡白百合学園高校
    距離 1215m
    周辺施設 盛岡市立下小路中学校
    距離 2520m
    周辺施設 盛岡市立山岸小学校
    距離 1002m
    周辺施設 さくらがおか保育園
    距離 586m

    クイックお問い合わせ

    ここから簡単にお問い合わせをすることができます。
    (SSLでの暗号化での送信を希望されるお客さまは こちら よりお問い合わせください)

    お問い合わせ内容(必須)
    お名前(必須) 姓  名 
    メールアドレス(必須)
    ※携帯電話のメールアドレスをご入力される方はこちらをご確認ください
    電話番号(必須)
    - -

    ※入力いただいた電話番号へSMSまたは音声でパスワードをご連絡します。

    携帯電話の番号をご入力の方へ

    携帯電話の番号をご入力の方へ
    確認画面にて送信ボタンをクリックするとSMSが携帯電話に届きます。
    そのSMSに記載のパスワード(認証番号)を入力し、お問い合わせを完了してください。
    尚、SMSの送信者番号は 0005 202 760 となります。
    これはアットホームの固定番号です。

    備考欄 希望条件、物件案内希望日、質問などがございましたらご記入ください。
    お問い合わせを行う前に「個人情報の取り扱いについて」を必ずお読みください。
    「個人情報の取り扱いについて」に同意いただいた場合は「上記にご同意の上 確認画面へ進む」のボタンをクリックしてください。

    個人情報の取り扱いについて

    皆さまが送付された個人情報はアットホーム(株)のサーバを経由し、お問い合わせ先の不動産会社にメールまたはFAXにて転送されるためアットホーム(株)にも保管されます。アットホーム(株)で保管された個人情報の取り扱いについては、【こちら】をご覧ください。
    また、本画面でご記入いただいた個人情報は、お問い合わせ先の不動産会社でも保管します。 お問い合わせ先の不動産会社が保管する個人情報の取り扱いについては、不動産会社に直接お問い合わせください。

    情報提供会社

    情報提供会社

    (有)柏屋

    岩手県知事免許(1)第2756号

    交通:
    JR東北本線/盛岡駅 徒歩12分 【バス】2分 夕顔瀬橋 停歩2分
    岩手県盛岡市夕顔瀬町2-2 夕顔瀬マンション2F
    TEL:
    019-622-2534
    FAX:
    019-601-2513
    所属団体:
    (公社)全日本不動産協会会員
    東北地区不動産公正取引協議会加盟

    取引態様:専任媒介

    • 会社情報
    • 20007087
    スマートフォンで
    この不動産会社を見る
    QRコード
    • とりあえず保存
    • お問い合わせ
    • 提携サイト等より掲載されている物件情報につきましては、不動産会社詳細情報にリンクされていないものがあります。
    • 物件に関するお問合せは、物件詳細ページの「情報提供会社」に表示されている不動産会社へ直接お願いいたします。
    • 間取図は、現況を優先させていただきます。
    • 映像は物件の一部を撮影したものです。物件の契約にあたっての最終判断はご自身の判断に基づいて行ってください。
    • 仲介手数料について仲介手数料

    アットホームは物件情報の適正化に努めております。 内容に誤りがある場合にはこちらへご連絡ください。

    【埼玉住まい情報】では、日本全国の物件から賃貸マンションや賃貸アパート・賃貸一戸建て等の賃貸住宅情報、新築マンション・分譲マンションや中古マンション等の売買マンション情報、新築一戸建てや中古一戸建てなどの戸建住宅、 土地など、総合的な不動産住宅情報検索サービスを提供致します。
    【埼玉住まい情報】から、選りすぐりの不動産物件を探してみましょう。

    【免責事項】
    このコーナーの運営はアットホーム株式会社(https://www.athome.co.jp/)が行っています。
    このコーナーに掲載している物件情報は、「アットホーム不動産情報ネットワーク」に加盟する不動産会社等(情報提供元)から提供されています。信頼性の高い情報提供が行えるよう、最大限の努力をしておりますが、その内容を保証するものではありません。 利用者のみなさまと各情報提供元との取引に起因する損害および情報が掲載されたことに起因する損害等については、株式会社イーシティ埼玉、およびアットホームは一切責任を負いません。
    各物件情報の内容や画像等はすべて現況を優先させていただきます。
    お取引等(お取引の準備、資金調達等を含みます)の際には、内容や契約条件等について、各情報提供元より十分な説明を受け、ご自身でご確認の上、判断してください。
    このコーナーへの物件情報のご掲載、その他不動産業務ソリューション等についての不動産会社様のお問合せはこちらからお願いいたします。

    物件画像: