石川県金沢市鈴見台5丁目(金沢駅)の土地:物件詳細
交通 所在地 |
駅徒歩 |
価格 坪単価 |
土地面積(坪数) 私道負担面積 |
引渡方法 最適用途 |
建ぺい率 容積率 |
|
JR北陸新幹線/金沢 【バス】34分 鈴見台3丁目 停歩4分
石川県金沢市鈴見台5丁目
|
-
|
390万円
6.61万円
|
195.22m²
(59.05坪)
-
|
現況渡
住宅用地
|
40%
60%
|
|
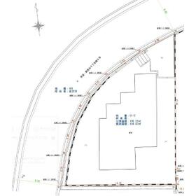
地形図等
|
外観
|
その他の画像
|
| 交通 | JR北陸新幹線 金沢駅 【バス】 34分 鈴見台3丁目 停歩4分 |
|---|
| その他の交通 | IRいしかわ鉄道 金沢駅 【バス】 34分 鈴見台3丁目 停歩4分 IRいしかわ鉄道 金沢駅 【バス】 34分 鈴見台3丁目 停歩4分 |
| 所在地 |
石川県金沢市鈴見台5丁目
|
| 物件種目 |
土地 |
| 価格 |
390万円 |
坪単価 |
6.61万円 |
| 借地期間・地代(月額) |
- |
権利金 |
- |
| 敷金または保証金 |
- / - |
維持費等 |
- |
| その他一時金 |
なし |
|
|
| 土地面積 |
195.22m²(実測) |
坪数 |
59.05坪 |
| 最適用途 |
住宅用地 |
私道負担面積 |
- |
| 土地権利 |
所有権 |
都市計画 |
市街化区域 |
| 用途地域 |
1種低層 |
地勢 |
高台 |
| 建ぺい率 |
40% |
容積率 |
60% |
| 接道状況 |
西 6.0m 公道 接面25.0m
|
地目 |
宅地 |
| 国土法届出 |
- |
セットバック |
- |
| 特記事項 |
- |
| 備考 |
・境界確定済、実測面積:194.61㎡ 公簿面積:195.22㎡ ・金沢市からのがけ地・既設擁壁等の調査・指導結果回答書あり ・土砂災害警戒区域:イエローゾーン ・宅地造成等工事規制区域 ・第2種風致地区 ・建築物の高さの限度:10m・建築基準法第22条区域 ・伝統環境保存区域
|
| エネルギー消費性能 |
- |
| 断熱性能 |
- |
| 目安光熱費 |
- |
| バス・トイレ |
- |
| キッチン |
- |
| 設備・サービス |
上水道、下水道、都市ガス、側溝 |
| その他 |
- |
| 条件等 |
- |
現況 |
更地 |
| 引渡し(可能時期/方法) |
即時/現況渡 |
物件番号 |
6985057769 |
| 仲介手数料 |
30万円 |
|
|
| 情報公開日 |
2025年2月2日 |
次回更新予定日 |
2026年5月12日 |
| ケータイ用バーコード |
- スマートフォンでこの物件を見る
- スマートフォンからもこの物件をご覧になれます。
|
※「-」と表示されている項目については、情報提供会社にご確認ください。
ここから簡単にお問い合わせをすることができます。
(SSLでの暗号化での送信を希望されるお客さまは
こちら
よりお問い合わせください)
お問い合わせを行う前に
「個人情報の取り扱いについて」を必ずお読みください。
「個人情報の取り扱いについて」に同意いただいた場合は「上記にご同意の上 確認画面へ進む」のボタンをクリックしてください。
個人情報の取り扱いについて
皆さまが送付された個人情報はアットホーム(株)のサーバを経由し、お問い合わせ先の不動産会社にメールまたはFAXにて転送されるためアットホーム(株)にも保管されます。アットホーム(株)で保管された個人情報の取り扱いについては、【こちら】をご覧ください。
また、本画面でご記入いただいた個人情報は、お問い合わせ先の不動産会社でも保管します。 お問い合わせ先の不動産会社が保管する個人情報の取り扱いについては、不動産会社に直接お問い合わせください。
石川県知事免許(8)第3151号 |
|---|
- 交通:
- IRいしかわ鉄道/金沢駅 【バス】20分 赤坂 停歩2分
- 石川県金沢市三口新町3丁目1-20
- TEL:
- 076-264-8686
- FAX:
- 076-223-1247
- 所属団体:
- (公社)石川県宅地建物取引業協会会員全国賃貸管理ビジネス協会会員北陸不動産公正取引協議会加盟
取引態様:一般媒介  - 40401358
|
- スマートフォンで
この不動産会社を見る

|
- 提携サイト等より掲載されている物件情報につきましては、不動産会社詳細情報にリンクされていないものがあります。
- 物件に関するお問合せは、物件詳細ページの「情報提供会社」に表示されている不動産会社へ直接お願いいたします。
- 間取図は、現況を優先させていただきます。
- 映像は物件の一部を撮影したものです。物件の契約にあたっての最終判断はご自身の判断に基づいて行ってください。
- 仲介手数料について

アットホームは物件情報の適正化に努めております。
内容に誤りがある場合にはこちらへご連絡ください。