福岡県久留米市北野町乙吉(大城駅)の土地:物件詳細
交通 所在地 |
駅徒歩 |
価格 坪単価 |
土地面積(坪数) 私道負担面積 |
引渡方法 最適用途 |
建ぺい率 容積率 |
|
西鉄甘木線/大城
福岡県久留米市北野町乙吉
|
3分
|
400万円
7.47万円
|
177.23m²
(53.61坪)
-
|
相談
住宅用地
|
60%
200%
|
|
地形図等
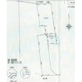
幅員6m久留米市公道に南向きに広く敷地が取れています。
|
案内図
142-9・142-10が本物件です。
|
その他の画像
|
| 交通 | 西鉄甘木線 大城駅 徒歩3分 |
| 所在地 |
福岡県久留米市北野町乙吉
|
| 物件種目 |
土地 |
| 価格 |
400万円 |
坪単価 |
7.47万円 |
| 借地期間・地代(月額) |
- |
権利金 |
- |
| 敷金または保証金 |
- / - |
維持費等 |
- |
| その他一時金 |
水道加入金:55,000円 |
|
|
| 土地面積 |
177.23m²(公簿) |
坪数 |
53.61坪 |
| 最適用途 |
住宅用地 |
私道負担面積 |
- |
| 土地権利 |
所有権 |
都市計画 |
非線引区域 |
| 用途地域 |
1種住居 |
地勢 |
平坦 |
| 建ぺい率 |
60% |
容積率 |
200% |
| 接道状況 |
南西 6.0m 公道 位置指定有 接面6.7m
|
地目 |
宅地 |
| 国土法届出 |
- |
セットバック |
済 |
| アピールポイント |
西鉄甘木線「大城」駅徒歩約3分。近隣は閑静な新しい住宅街です。
建築条件無し分譲完成宅地の最後の1区画。駅近ですが幅員6mの久留米市公道に引き込まれ
た高級感が有る宅地です。
完成宅地で上下水道菅引込済なので、お好きなハウスメーカーや工務店で
直ぐに建築できます。
南側に遮る建物が無く日当り・眺望良好な宅地です。
土地・建物込価格1800万円台からパワービルダー施工による
プラン例も掲載しており、その他のプランも多数有りますので、
是非ご相談下さいませ。
また本物件は西鉄甘木線「大城」駅徒歩3分のため、高齢者等が車を
使わず都心に行き来でき、福祉・医療・子育て支援・商業といった民間
の施設を誘導する久留米市の立地適正化計画の指定区域になっています
〇大城駅6:35発→宮の陣駅乗り換え→福岡天神駅7:36着
所要時間:1時間1分(ラッシュ時所要時間変わります)
〇大城駅6:35発→久留米駅6:56着
所用時間21分(ラッシュ時所要時間変わります) |
| 特記事項 |
- |
| 備考 |
-
|
| エネルギー消費性能 |
- |
| 断熱性能 |
- |
| 目安光熱費 |
- |
| バス・トイレ |
- |
| キッチン |
- |
| 設備・サービス |
上水道、下水道、プロパンガス、電気、側溝 |
| その他 |
- |
| 条件等 |
- |
現況 |
更地 |
| 引渡し(可能時期/方法) |
即時/相談 |
物件番号 |
6985116305 |
| 仲介手数料 |
33万円 |
|
|
| 情報公開日 |
2025年2月6日 |
次回更新予定日 |
2025年12月28日 |
| ケータイ用バーコード |
- スマートフォンでこの物件を見る
- スマートフォンからもこの物件をご覧になれます。
|
※「-」と表示されている項目については、情報提供会社にご確認ください。
ここから簡単にお問い合わせをすることができます。
(SSLでの暗号化での送信を希望されるお客さまは
こちら
よりお問い合わせください)
お問い合わせを行う前に
「個人情報の取り扱いについて」を必ずお読みください。
「個人情報の取り扱いについて」に同意いただいた場合は「上記にご同意の上 確認画面へ進む」のボタンをクリックしてください。
個人情報の取り扱いについて
皆さまが送付された個人情報はアットホーム(株)のサーバを経由し、お問い合わせ先の不動産会社にメールまたはFAXにて転送されるためアットホーム(株)にも保管されます。アットホーム(株)で保管された個人情報の取り扱いについては、【こちら】をご覧ください。
また、本画面でご記入いただいた個人情報は、お問い合わせ先の不動産会社でも保管します。 お問い合わせ先の不動産会社が保管する個人情報の取り扱いについては、不動産会社に直接お問い合わせください。
福岡県知事免許(5)第14467号 |
|---|
- 交通:
- JR鹿児島本線/大野城駅
- 福岡県春日市春日公園2丁目70 原大ビル201
- TEL:
- 092-588-1125
- 所属団体:
- (公社)福岡県宅地建物取引業協会会員(一社)九州不動産公正取引協議会加盟
取引態様:専属専任媒介  - 80003591
|
- スマートフォンで
この不動産会社を見る

|
- 提携サイト等より掲載されている物件情報につきましては、不動産会社詳細情報にリンクされていないものがあります。
- 物件に関するお問合せは、物件詳細ページの「情報提供会社」に表示されている不動産会社へ直接お願いいたします。
- 間取図は、現況を優先させていただきます。
- 映像は物件の一部を撮影したものです。物件の契約にあたっての最終判断はご自身の判断に基づいて行ってください。
- 仲介手数料について

アットホームは物件情報の適正化に努めております。
内容に誤りがある場合にはこちらへご連絡ください。