栃木県小山市西城南4丁目(小山駅)の土地:物件詳細
交通 所在地 |
駅徒歩 |
価格 坪単価 |
土地面積(坪数) 私道負担面積 |
引渡方法 最適用途 |
建ぺい率 容積率 |
|
東北新幹線/小山
栃木県小山市西城南4丁目
|
33分
|
1,907万円
25万円
|
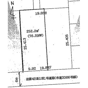
252.20m²
(76.29坪)
-
|
現況渡
住宅用地
|
50%
80%
|
|
地形図等
|
|
その他の画像
|
| 交通 | 東北新幹線 小山駅 徒歩33分 |
| 所在地 |
栃木県小山市西城南4丁目
|
| 物件種目 |
土地 |
| 価格 |
1,907万円 |
坪単価 |
25万円 |
| 借地期間・地代(月額) |
- |
権利金 |
- |
| 敷金または保証金 |
- / - |
維持費等 |
- |
| その他一時金 |
- |
|
|
| 土地面積 |
252.20m²(実測) |
坪数 |
76.29坪 |
| 最適用途 |
住宅用地 |
私道負担面積 |
- |
| 土地権利 |
所有権 |
都市計画 |
市街化区域 |
| 用途地域 |
1種低層 |
地勢 |
平坦 |
| 建ぺい率 |
50% |
容積率 |
80% |
| 接道状況 |
南 6.0m 公道 接面9.9m
|
地目 |
宅地 |
| 国土法届出 |
- |
セットバック |
- |
| アピールポイント |
当社の企業理念「DCT」、“あなた様の夢・目的を叶える事により当社の夢・目的が叶う”をスローガンに、起業し16年業務に勤しんできました。
未だ未だ皆様の満足行く結果に辿り着いて居ませんが、これからも
DCTマッチングシステムを強化し
①夢の不動産ユーザーニーズ
⇒希望の土地を探して欲しい・予算に合った土地建物を探して等々
②資産運用オーナーニーズ
⇒売りたい・貸したい・ベストな資産運用がしたい等々
③夢・目的具現化ビルダー・ディーラー
⇒希望・予算に応じたコンサルティング業者・安心な資金計画提案
*①②③三者のベストパートナー紹介マッチングに尽力していく所存です。 |
| 特記事項 |
区画整理地内、整形地 |
| 備考 |
-
|
| エネルギー消費性能 |
- |
| 断熱性能 |
- |
| 目安光熱費 |
- |
| バス・トイレ |
- |
| キッチン |
- |
| 設備・サービス |
上水道、下水道、都市ガス、電気 |
| その他 |
- |
| 条件等 |
- |
現況 |
更地 |
| 引渡し(可能時期/方法) |
即時/現況渡 |
物件番号 |
6985267192 |
| 仲介手数料 |
売買代金の3%+6万円 |
|
|
| 情報公開日 |
2025年2月17日 |
次回更新予定日 |
2026年4月14日 |
| ケータイ用バーコード |
- スマートフォンでこの物件を見る
- スマートフォンからもこの物件をご覧になれます。
|
※「-」と表示されている項目については、情報提供会社にご確認ください。
| 周辺施設 |
ファッションセンターしまむら城南店 |
| 距離 |
332m |
| 周辺施設 |
ベビー・子供用品バースデイ城南店 |
| 距離 |
368m |
ここから簡単にお問い合わせをすることができます。
(SSLでの暗号化での送信を希望されるお客さまは
こちら
よりお問い合わせください)
お問い合わせを行う前に
「個人情報の取り扱いについて」を必ずお読みください。
「個人情報の取り扱いについて」に同意いただいた場合は「上記にご同意の上 確認画面へ進む」のボタンをクリックしてください。
個人情報の取り扱いについて
皆さまが送付された個人情報はアットホーム(株)のサーバを経由し、お問い合わせ先の不動産会社にメールまたはFAXにて転送されるためアットホーム(株)にも保管されます。アットホーム(株)で保管された個人情報の取り扱いについては、【こちら】をご覧ください。
また、本画面でご記入いただいた個人情報は、お問い合わせ先の不動産会社でも保管します。 お問い合わせ先の不動産会社が保管する個人情報の取り扱いについては、不動産会社に直接お問い合わせください。
栃木県知事免許(4)第4607号 |
|---|
- 交通:
- 東武宇都宮線/新栃木駅 徒歩7分
- 栃木県栃木市昭和町2-22 朝日屋ビル1F
- TEL:
- 0282-25-5870
- FAX:
- 0282-25-5871
- 所属団体:
- (公社)栃木県宅地建物取引業協会会員(公社)首都圏不動産公正取引協議会加盟
取引態様:専任媒介  - 00017547
|
- スマートフォンで
この不動産会社を見る

|
- 提携サイト等より掲載されている物件情報につきましては、不動産会社詳細情報にリンクされていないものがあります。
- 物件に関するお問合せは、物件詳細ページの「情報提供会社」に表示されている不動産会社へ直接お願いいたします。
- 間取図は、現況を優先させていただきます。
- 映像は物件の一部を撮影したものです。物件の契約にあたっての最終判断はご自身の判断に基づいて行ってください。
- 仲介手数料について

アットホームは物件情報の適正化に努めております。
内容に誤りがある場合にはこちらへご連絡ください。