栃木県那須塩原市太夫塚1丁目(西那須野駅)の土地:物件詳細
交通 所在地 |
駅徒歩 |
価格 坪単価 |
土地面積(坪数) 私道負担面積 |
引渡方法 最適用途 |
建ぺい率 容積率 |
|
JR東北本線/西那須野
栃木県那須塩原市太夫塚1丁目
|
16分
|
1,100万円
7.18万円
|
507.00m²
(153.36坪)
なし
|
更地渡
住宅用地
|
60%
200%
|
|
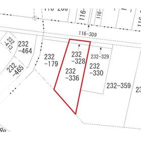
地形図等
公図
|
外観
現地写真
|
その他の画像
|
| 交通 | JR東北本線 西那須野駅 徒歩16分 |
| 所在地 |
栃木県那須塩原市太夫塚1丁目
|
| 物件種目 |
土地 |
| 価格 |
1,100万円 |
坪単価 |
7.18万円 |
| 借地期間・地代(月額) |
- |
権利金 |
- |
| 敷金または保証金 |
- / - |
維持費等 |
- |
| その他一時金 |
- |
|
|
| 土地面積 |
507.00m²(公簿) |
坪数 |
153.36坪 |
| 最適用途 |
住宅用地 |
私道負担面積 |
なし |
| 土地権利 |
所有権 |
都市計画 |
非線引区域 |
| 用途地域 |
1種住居 |
地勢 |
平坦 |
| 建ぺい率 |
60% |
容積率 |
200% |
| 接道状況 |
北 9.1m 公道 接面12.0m
|
地目 |
畑 |
| 国土法届出 |
- |
セットバック |
- |
| アピールポイント |
当該土地の周辺にはスーパーヨークベニマルやTSUTAYA、ダイソー、セブンイレブン
などが500m圏内にあり、とても生活便利な環境です。また、東小学校や西那須野幼稚園も500m圏内にあるので子育て世代もうれしい
環境です。交通に関してはJR西那須野駅まで約940mなので徒歩圏内であること、国道4号線や大田原・西那須野バイパス400号線にも近く交通のアクセスがとても良いです。
住宅用地としてはもちろん、敷地が広いので事業用地としてもおすすめです。
※232-336の地目は畑です。農地転用に掛かる費用は買主負担となります。 |
| 特記事項 |
- |
| 備考 |
前面道路に上下水道管が埋設されておりますが敷地内への引き込みはありません。利用を希望される場合は別途工事費用が掛かります。
|
| エネルギー消費性能 |
- |
| 断熱性能 |
- |
| 目安光熱費 |
- |
| バス・トイレ |
- |
| キッチン |
- |
| 設備・サービス |
上水道、下水道、プロパンガス、電気 |
| その他 |
- |
| 条件等 |
- |
現況 |
更地 |
| 引渡し(可能時期/方法) |
相談/更地渡 |
物件番号 |
6985515717 |
| 仲介手数料 |
42.9万円 |
|
|
| 情報公開日 |
2025年10月9日 |
次回更新予定日 |
2025年12月18日 |
| ケータイ用バーコード |
- スマートフォンでこの物件を見る
- スマートフォンからもこの物件をご覧になれます。
|
※「-」と表示されている項目については、情報提供会社にご確認ください。
| 周辺施設 |
ヨークベニマル西那須野店 |
| 距離 |
592m |
| 周辺施設 |
セブンイレブン那須塩原太夫塚店 |
| 距離 |
204m |
| 周辺施設 |
ローソン那須塩原西大和店 |
| 距離 |
528m |
| 周辺施設 |
認定こども園西那須野幼稚園 |
| 距離 |
167m |
ここから簡単にお問い合わせをすることができます。
(SSLでの暗号化での送信を希望されるお客さまは
こちら
よりお問い合わせください)
お問い合わせを行う前に
「個人情報の取り扱いについて」を必ずお読みください。
「個人情報の取り扱いについて」に同意いただいた場合は「上記にご同意の上 確認画面へ進む」のボタンをクリックしてください。
個人情報の取り扱いについて
皆さまが送付された個人情報はアットホーム(株)のサーバを経由し、お問い合わせ先の不動産会社にメールまたはFAXにて転送されるためアットホーム(株)にも保管されます。アットホーム(株)で保管された個人情報の取り扱いについては、【こちら】をご覧ください。
また、本画面でご記入いただいた個人情報は、お問い合わせ先の不動産会社でも保管します。 お問い合わせ先の不動産会社が保管する個人情報の取り扱いについては、不動産会社に直接お問い合わせください。
栃木県知事免許(14)第905号 |
|---|
- 交通:
- JR東北本線/西那須野駅 徒歩1分
- 栃木県那須塩原市西朝日町13-20
- TEL:
- 0287-39-3210
- FAX:
- 0287-39-3212
- 所属団体:
- (公社)栃木県宅地建物取引業協会会員(公社)首都圏不動産公正取引協議会加盟
取引態様:専任媒介  - 00262950
|
- スマートフォンで
この不動産会社を見る

|
- 提携サイト等より掲載されている物件情報につきましては、不動産会社詳細情報にリンクされていないものがあります。
- 物件に関するお問合せは、物件詳細ページの「情報提供会社」に表示されている不動産会社へ直接お願いいたします。
- 間取図は、現況を優先させていただきます。
- 映像は物件の一部を撮影したものです。物件の契約にあたっての最終判断はご自身の判断に基づいて行ってください。
- 仲介手数料について

アットホームは物件情報の適正化に努めております。
内容に誤りがある場合にはこちらへご連絡ください。