山梨県笛吹市石和町東高橋(南甲府駅)の土地:物件詳細
交通 所在地 |
駅徒歩 |
価格 坪単価 |
土地面積(坪数) 私道負担面積 |
引渡方法 最適用途 |
建ぺい率 容積率 |
|
身延線/南甲府 [バス利用可] バス 12分 東高橋 山梨交通 停歩3分
山梨県笛吹市石和町東高橋
|
52分
|
790万円
10.44万円
|
250.19m²
(75.68坪)
なし
|
現況渡
住宅用地
|
70%
200%
|
|
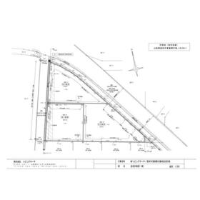
地形図等
NO③C
|
地形図等
|
<
その他の画像
>
|
| 交通 | 身延線 南甲府駅 徒歩52分 [バス利用可] バス 12分 東高橋 山梨交通 停歩3分 |
|---|
| その他の交通 | JR中央線 石和温泉駅 徒歩52分 [バス利用可] バス 山梨交通 東高橋 停歩3分 身延線 南甲府駅 徒歩65分 |
| 所在地 |
山梨県笛吹市石和町東高橋
|
| 物件種目 |
土地 |
| 価格 |
790万円 |
坪単価 |
10.44万円 |
| 借地期間・地代(月額) |
- |
権利金 |
- |
| 敷金または保証金 |
- / - |
維持費等 |
- |
| その他一時金 |
なし |
|
|
| 土地面積 |
250.19m²(実測) |
坪数 |
75.68坪 |
| 最適用途 |
住宅用地 |
私道負担面積 |
なし |
| 土地権利 |
所有権 |
都市計画 |
非線引区域 |
| 用途地域 |
無指定 |
地勢 |
平坦 |
| 建ぺい率 |
70% |
容積率 |
200% |
| 接道状況 |
西 4.1m 公道 接面17.3m
|
地目 |
畑 |
| 国土法届出 |
- |
セットバック |
済 |
| アピールポイント |
金融機関 山梨信用金庫 石和南支店は 200m 隣です。
金融機関 富士見郵便局は 330m
コンビニ ローソン石和河内店 は 172m
内科・小児科 三枝クリニックは 300m
歯科医 いさわスマイル歯科は 250m
笛吹市立富士見小学校は 400m
富士見警察官駐在所は 450m
業務スーパー 1550m
おかじま食品館笛吹河内店 1600m |
| 特記事項 |
分譲地内 |
| 備考 |
法令等制限:農地法第五条・許可 山梨県指令 峡東農第4846号
工事完了予定日:2025年10月
開発許可等番号:「笛まち第3972号 令和7年3月12日」
|
| エネルギー消費性能 |
- |
| 断熱性能 |
- |
| 目安光熱費 |
- |
| バス・トイレ |
- |
| キッチン |
- |
| 設備・サービス |
浄化槽、上水道、プロパンガス、電気、側溝 |
| その他 |
- |
| 条件等 |
建築条件付き |
現況 |
更地 |
| 引渡し(可能時期/方法) |
相談/現況渡 |
物件番号 |
6985630528 |
| 情報公開日 |
2025年5月12日 |
次回更新予定日 |
2025年11月15日 |
| ケータイ用バーコード |
- スマートフォンでこの物件を見る
- スマートフォンからもこの物件をご覧になれます。
|
※「-」と表示されている項目については、情報提供会社にご確認ください。
| 周辺施設 |
山梨信用金庫 石和南支店 |
| 距離 |
186m |
写真を見る |
| 周辺施設 |
おかじま食品館笛吹河内店 |
| 距離 |
1300m |
写真を見る |
| 周辺施設 |
ローソン 笛吹石和河内店 |
| 距離 |
172m |
写真を見る |
| 周辺施設 |
いさわスマイル歯科 |
| 距離 |
161m |
写真を見る |
| 周辺施設 |
笛吹警察署 富士見警察官駐在所 |
| 距離 |
450m |
写真を見る |
| 周辺施設 |
三枝クリニック 内科・小児科 |
| 距離 |
204m |
写真を見る |
| 周辺施設 |
富士見郵便局 |
| 距離 |
322m |
写真を見る |
| 周辺施設 |
笛吹市立 富士見小学校 |
| 距離 |
410m |
写真を見る |
ここから簡単にお問い合わせをすることができます。
(SSLでの暗号化での送信を希望されるお客さまは
こちら
よりお問い合わせください)
お問い合わせを行う前に
「個人情報の取り扱いについて」を必ずお読みください。
「個人情報の取り扱いについて」に同意いただいた場合は「上記にご同意の上 確認画面へ進む」のボタンをクリックしてください。
個人情報の取り扱いについて
皆さまが送付された個人情報はアットホーム(株)のサーバを経由し、お問い合わせ先の不動産会社にメールまたはFAXにて転送されるためアットホーム(株)にも保管されます。アットホーム(株)で保管された個人情報の取り扱いについては、【こちら】をご覧ください。
また、本画面でご記入いただいた個人情報は、お問い合わせ先の不動産会社でも保管します。 お問い合わせ先の不動産会社が保管する個人情報の取り扱いについては、不動産会社に直接お問い合わせください。
山梨県知事免許(3)第2316号 |
|---|
- 交通:
- 身延線/東花輪駅 徒歩50分
- 山梨県南アルプス市西南湖4087
- TEL:
- 055-284-0202
- FAX:
- 055-284-0203
- 所属団体:
- (公社)山梨県宅地建物取引業協会会員(公社)首都圏不動産公正取引協議会加盟
取引態様:売主  - 00107129
|
- スマートフォンで
この不動産会社を見る

|
- 提携サイト等より掲載されている物件情報につきましては、不動産会社詳細情報にリンクされていないものがあります。
- 物件に関するお問合せは、物件詳細ページの「情報提供会社」に表示されている不動産会社へ直接お願いいたします。
- 間取図は、現況を優先させていただきます。
- 映像は物件の一部を撮影したものです。物件の契約にあたっての最終判断はご自身の判断に基づいて行ってください。
- 仲介手数料について

アットホームは物件情報の適正化に努めております。
内容に誤りがある場合にはこちらへご連絡ください。