茨城県那珂郡東海村大字村松(東海駅)の土地:物件詳細
交通 所在地 |
駅徒歩 |
価格 坪単価 |
土地面積(坪数) 私道負担面積 |
引渡方法 最適用途 |
建ぺい率 容積率 |
|
JR常磐線/東海
茨城県那珂郡東海村大字村松
|
18分
|
1,650万円
17.95万円
|
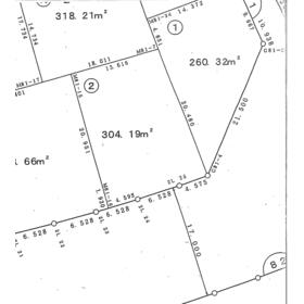
304.00m²
(91.95坪)
-
|
現況渡
住宅用地
|
60%
200%
|
|
地形図等
|
外観
空撮による画像
|
<
その他の画像
>
|
| 交通 | JR常磐線 東海駅 徒歩18分 |
| 所在地 |
茨城県那珂郡東海村大字村松
|
| 物件種目 |
土地 |
| 価格 |
1,650万円 |
坪単価 |
17.95万円 |
| 借地期間・地代(月額) |
- |
権利金 |
- |
| 敷金または保証金 |
- / - |
維持費等 |
- |
| その他一時金 |
- |
|
|
| 土地面積 |
304.00m² |
坪数 |
91.95坪 |
| 最適用途 |
住宅用地 |
私道負担面積 |
- |
| 土地権利 |
所有権 |
都市計画 |
市街化区域 |
| 用途地域 |
1種中高 |
地勢 |
平坦 |
| 建ぺい率 |
60% |
容積率 |
200% |
| 接道状況 |
南東 17.0m 公道 接面15.7m
|
地目 |
宅地 |
| 国土法届出 |
- |
セットバック |
- |
| アピールポイント |
区画整理地内の住環境の整った住宅地です、お買物はヨークベニマル東海店とカスミフードスクエア東海中央店が便利。近くに村立東海病院が通院にも安心な距離です。
村松小学校まで850mお子様の通学も安心な距離です。 |
| 特記事項 |
区画整理地内、整形地 |
| 備考 |
法令等制限:区画整理地内 仮換地街区81符号2 地区計画あり
区画整理本換地後に精算金あり
公共下水受益者負担金免除区域
埋蔵文化財包蔵地(荒谷台C遺跡)埋蔵文化財の所在
及びその扱いについて(照会)の提出が必要となります
|
| エネルギー消費性能 |
- |
| 断熱性能 |
- |
| 目安光熱費 |
- |
| バス・トイレ |
- |
| キッチン |
- |
| 設備・サービス |
上水道、下水道、プロパンガス、電気、側溝 |
| その他 |
- |
| 条件等 |
- |
現況 |
更地 |
| 引渡し(可能時期/方法) |
即時/現況渡 |
物件番号 |
6985965368 |
| 仲介手数料 |
55.5万円 |
|
|
| 情報公開日 |
2025年4月14日 |
次回更新予定日 |
2025年12月18日 |
| ケータイ用バーコード |
- スマートフォンでこの物件を見る
- スマートフォンからもこの物件をご覧になれます。
|
※「-」と表示されている項目については、情報提供会社にご確認ください。
| 周辺施設 |
東海村立村松幼稚園 |
| 距離 |
572m |
写真を見る |
| 周辺施設 |
東海村立村松小学校 |
| 距離 |
773m |
写真を見る |
| 周辺施設 |
東海村立東海中学校 |
| 距離 |
778m |
写真を見る |
| 周辺施設 |
グルービー樅の木公園 |
| 距離 |
850m |
写真を見る |
| 周辺施設 |
ヨークベニマル東海店 |
| 距離 |
761m |
写真を見る |
| 周辺施設 |
イオン東海店 |
| 距離 |
1400m |
写真を見る |
| 周辺施設 |
村立東海病院 |
| 距離 |
1092m |
写真を見る |
| 周辺施設 |
常陽銀行東海支店 |
| 距離 |
1177m |
写真を見る |
ここから簡単にお問い合わせをすることができます。
(SSLでの暗号化での送信を希望されるお客さまは
こちら
よりお問い合わせください)
お問い合わせを行う前に
「個人情報の取り扱いについて」を必ずお読みください。
「個人情報の取り扱いについて」に同意いただいた場合は「上記にご同意の上 確認画面へ進む」のボタンをクリックしてください。
個人情報の取り扱いについて
皆さまが送付された個人情報はアットホーム(株)のサーバを経由し、お問い合わせ先の不動産会社にメールまたはFAXにて転送されるためアットホーム(株)にも保管されます。アットホーム(株)で保管された個人情報の取り扱いについては、【こちら】をご覧ください。
また、本画面でご記入いただいた個人情報は、お問い合わせ先の不動産会社でも保管します。 お問い合わせ先の不動産会社が保管する個人情報の取り扱いについては、不動産会社に直接お問い合わせください。
茨城県知事免許(2)第7346号 |
|---|
- 交通:
- JR常磐線/勝田駅 徒歩10分
- 茨城県ひたちなか市東石川1丁目16-1
- TEL:
- 029-352-2815
- FAX:
- 029-352-2816
- 所属団体:
- (公社)全日本不動産協会会員(公社)首都圏不動産公正取引協議会加盟
取引態様:専任媒介  - 00270255
|
- スマートフォンで
この不動産会社を見る

|
- 提携サイト等より掲載されている物件情報につきましては、不動産会社詳細情報にリンクされていないものがあります。
- 物件に関するお問合せは、物件詳細ページの「情報提供会社」に表示されている不動産会社へ直接お願いいたします。
- 間取図は、現況を優先させていただきます。
- 映像は物件の一部を撮影したものです。物件の契約にあたっての最終判断はご自身の判断に基づいて行ってください。
- 仲介手数料について

アットホームは物件情報の適正化に努めております。
内容に誤りがある場合にはこちらへご連絡ください。