不動産 賃貸 マンション等の住宅情報:埼玉住まい情報


広島県広島市安佐北区小河原町の土地:物件詳細

  • 物件詳細
  • 情報の見方
  • 印刷用画面
交通
所在地
駅徒歩 価格
坪単価
土地面積(坪数)
私道負担面積
引渡方法
最適用途
建ぺい率
容積率

山陽自動車道 広島東ICから 車で7分

広島県広島市安佐北区小河原町


6,500万円

16.55万円

1,299.11m² (392.97坪)

なし

更地渡

倉庫用地

60%

200%

おすすめコメント

資材置き場、駐車場として速やかに利用可能。一種住居地域となる為、自家用倉庫、事務所等の建築計画も可能です。

地形図等

地形図等

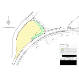
土地利用計画平面図

外観

外観

敷地全景(空撮)

その他の画像
  • 外観
  • 外観
  • 外観
  • 外観
    • とりあえず保存
    • お問い合わせ
    交通

    山陽自動車道 広島東ICから 車で7分

    その他の交通

    芸備線 上深川駅 徒歩25分
    [バス利用可] バス 5分 住田橋北~小河原車庫 停歩3分

    所在地 広島県広島市安佐北区小河原町
    物件種目 土地
    価格 6,500万円 坪単価 16.55万円
    借地期間・地代(月額) 権利金
    敷金または保証金 - / - 維持費等
    その他一時金 なし    
    土地面積 1,299.11m²(実測) 坪数 392.97坪
    最適用途 倉庫用地 私道負担面積 なし
    土地権利 所有権 都市計画 市街化区域
    用途地域 1種住居 地勢 平坦
    建ぺい率 60% 容積率 200%
    接道状況 北西 6.0m 公道 接面70.7m 地目 雑種地
    国土法届出 セットバック
    アピールポイント 本物件は駐車場用地、資材置き場用地としての利用は速やかに利用可能です。
    また、用途地域は第一種住居地域となり、事業用とでの建築計画も可能な土地になります。
    ※建築を計画する場合にはその他許認可等の取得・協議が必要となる場合もあります。まずはご相談ください。
    特記事項 整形地
    備考
    法令等制限:宅地造成工事規制区域、土砂災害警戒区域(土石流)、他備考欄
    工事完了予定日:2025年8月
    【その他法令制限等】
    宅地造成工事規制区域、土砂災害警戒区域(土石流)、汚水共用開始区域
    景観計画重点地区・一般区域(景観計画関係)
    【特記事項】
    ●1,000㎡を超える建築物の建築を計画する場合に都市計画法29条の宅地開発許可に関する協議が必要となります。
    ●上下水道の引き込み可能。引き込み工事等が別途必要となります。
    ●電気利用は別途中国電力との協議が必要となります。
    ●本物件の売買は㈱BIMの仲介によるものとなります。
    エネルギー消費性能
    断熱性能
    目安光熱費
    バス・トイレ
    キッチン
    設備・サービス
    その他
    条件等 現況 更地
    引渡し(可能時期/方法) 相談/更地渡 物件番号 6986063440
    情報公開日 2026年1月13日 次回更新予定日 2026年5月19日
    ケータイ用バーコード

    QRコード

    スマートフォンでこの物件を見る
    スマートフォンからもこの物件をご覧になれます。
    ※「-」と表示されている項目については、情報提供会社にご確認ください。

    クイックお問い合わせ

    ここから簡単にお問い合わせをすることができます。
    (SSLでの暗号化での送信を希望されるお客さまは こちら よりお問い合わせください)

    お問い合わせ内容(必須)
    お名前(必須) 姓  名 
    メールアドレス(必須)
    ※携帯電話のメールアドレスをご入力される方はこちらをご確認ください
    電話番号(必須)
    - -

    ※入力いただいた電話番号へSMSまたは音声でパスワードをご連絡します。

    携帯電話の番号をご入力の方へ

    携帯電話の番号をご入力の方へ
    確認画面にて送信ボタンをクリックするとSMSが携帯電話に届きます。
    そのSMSに記載のパスワード(認証番号)を入力し、お問い合わせを完了してください。
    尚、SMSの送信者番号は 0005 202 760 となります。
    これはアットホームの固定番号です。

    備考欄 希望条件、物件案内希望日、質問などがございましたらご記入ください。
    お問い合わせを行う前に「個人情報の取り扱いについて」を必ずお読みください。
    「個人情報の取り扱いについて」に同意いただいた場合は「上記にご同意の上 確認画面へ進む」のボタンをクリックしてください。

    個人情報の取り扱いについて

    皆さまが送付された個人情報はアットホーム(株)のサーバを経由し、お問い合わせ先の不動産会社にメールまたはFAXにて転送されるためアットホーム(株)にも保管されます。アットホーム(株)で保管された個人情報の取り扱いについては、【こちら】をご覧ください。
    また、本画面でご記入いただいた個人情報は、お問い合わせ先の不動産会社でも保管します。 お問い合わせ先の不動産会社が保管する個人情報の取り扱いについては、不動産会社に直接お問い合わせください。

    情報提供会社

    情報提供会社

    (株)BIM産業立地

    広島県知事免許(1)第11520号

    交通:
    芸備線/玖村駅 徒歩5分
    広島県広島市安佐北区落合2丁目19-5 
    TEL:
    082-557-9815
    FAX:
    082-557-9819
    所属団体:
    (公社)広島県宅地建物取引業協会会員
    中国地区不動産公正取引協議会加盟

    取引態様:売主

    • 会社情報
    • 50111041
    スマートフォンで
    この不動産会社を見る
    QRコード
    • とりあえず保存
    • お問い合わせ
    • 提携サイト等より掲載されている物件情報につきましては、不動産会社詳細情報にリンクされていないものがあります。
    • 物件に関するお問合せは、物件詳細ページの「情報提供会社」に表示されている不動産会社へ直接お願いいたします。
    • 間取図は、現況を優先させていただきます。
    • 映像は物件の一部を撮影したものです。物件の契約にあたっての最終判断はご自身の判断に基づいて行ってください。
    • 仲介手数料について仲介手数料

    アットホームは物件情報の適正化に努めております。 内容に誤りがある場合にはこちらへご連絡ください。

    【埼玉住まい情報】では、日本全国の物件から賃貸マンションや賃貸アパート・賃貸一戸建て等の賃貸住宅情報、新築マンション・分譲マンションや中古マンション等の売買マンション情報、新築一戸建てや中古一戸建てなどの戸建住宅、 土地など、総合的な不動産住宅情報検索サービスを提供致します。
    【埼玉住まい情報】から、選りすぐりの不動産物件を探してみましょう。

    【免責事項】
    このコーナーの運営はアットホーム株式会社(https://www.athome.co.jp/)が行っています。
    このコーナーに掲載している物件情報は、「アットホーム不動産情報ネットワーク」に加盟する不動産会社等(情報提供元)から提供されています。信頼性の高い情報提供が行えるよう、最大限の努力をしておりますが、その内容を保証するものではありません。 利用者のみなさまと各情報提供元との取引に起因する損害および情報が掲載されたことに起因する損害等については、株式会社イーシティ埼玉、およびアットホームは一切責任を負いません。
    各物件情報の内容や画像等はすべて現況を優先させていただきます。
    お取引等(お取引の準備、資金調達等を含みます)の際には、内容や契約条件等について、各情報提供元より十分な説明を受け、ご自身でご確認の上、判断してください。
    このコーナーへの物件情報のご掲載、その他不動産業務ソリューション等についての不動産会社様のお問合せはこちらからお願いいたします。

    物件画像: