岡山県瀬戸内市邑久町山田庄(邑久駅)の土地:物件詳細
交通 所在地 |
駅徒歩 |
価格 坪単価 |
土地面積(坪数) 私道負担面積 |
引渡方法 最適用途 |
建ぺい率 容積率 |
|
JR赤穂線/邑久
岡山県瀬戸内市邑久町山田庄
|
13分
|
21,500万円
10.78万円
|
6,597.06m²
(1995.60坪)
なし
|
更地渡
事業用地
|
60%
200%
|
|
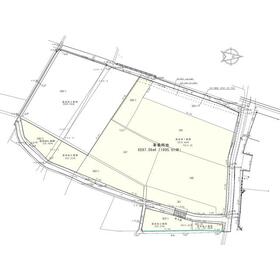
地形図等
6597.06㎡(1995.61坪)
|
外観
事業用地・物流拠点に最適です
|
<
その他の画像
>
|
| 交通 | JR赤穂線 邑久駅 徒歩13分 |
| 所在地 |
岡山県瀬戸内市邑久町山田庄
|
| 物件種目 |
土地 |
| 価格 |
21,500万円 |
坪単価 |
10.78万円 |
| 借地期間・地代(月額) |
- |
権利金 |
- |
| 敷金または保証金 |
- / - |
維持費等 |
- |
| その他一時金 |
- |
|
|
| 土地面積 |
6,597.06m² |
坪数 |
1995.60坪 |
| 最適用途 |
事業用地 |
私道負担面積 |
なし |
| 土地権利 |
所有権 |
都市計画 |
区域外 |
| 用途地域 |
無指定 |
地勢 |
平坦 |
| 建ぺい率 |
60% |
容積率 |
200% |
| 接道状況 |
東 11.8m 公道
|
地目 |
田 |
| 国土法届出 |
- |
セットバック |
- |
| アピールポイント |
邑久町山田庄の2200坪超の敷地です!
事業用地・物流拠点に最適です!
開発許可取得・造成工事完了後の引き渡しとなります。
売買対象地の一部が埋蔵文化財エリアに含まれている為、市との協議を要します。
売買対象面積は実施設計により増減します。(坪単価10.78万円にて清算)
北西隣地343-1を含めた2249坪での売却も検討可能です。
◇お問合せは◇
【メールでお問い合わせ】ボタンまたは【0869-24-0333】までお電話ください♪ |
| 特記事項 |
- |
| 備考 |
法令等制限:景観法・文化財保護法
|
| エネルギー消費性能 |
- |
| 断熱性能 |
- |
| 目安光熱費 |
- |
| バス・トイレ |
- |
| キッチン |
- |
| 設備・サービス |
浄化槽、上水道、プロパンガス、電気 |
| その他 |
- |
| 条件等 |
- |
現況 |
その他 |
| 引渡し(可能時期/方法) |
相談/更地渡 |
物件番号 |
6986366235 |
| 情報公開日 |
2026年3月23日 |
次回更新予定日 |
2026年5月23日 |
| ケータイ用バーコード |
- スマートフォンでこの物件を見る
- スマートフォンからもこの物件をご覧になれます。
|
※「-」と表示されている項目については、情報提供会社にご確認ください。
| 周辺施設 |
ゆめタウン邑久 |
| 距離 |
1460m |
写真を見る |
| 周辺施設 |
ハローズ邑久店 |
| 距離 |
1700m |
写真を見る |
| 周辺施設 |
ファミリーマート邑久山田庄店 |
| 距離 |
610m |
写真を見る |
| 周辺施設 |
エディオン瀬戸内店 |
| 距離 |
1230m |
写真を見る |
| 周辺施設 |
瀬戸内市立邑久小学校 |
| 距離 |
1330m |
写真を見る |
| 周辺施設 |
瀬戸内市立邑久中学校 |
| 距離 |
1930m |
写真を見る |
| 周辺施設 |
瀬戸内市立瀬戸内市民病院 |
| 距離 |
2020m |
写真を見る |
| 周辺施設 |
瀬戸内市役所 |
| 距離 |
1530m |
写真を見る |
ここから簡単にお問い合わせをすることができます。
(SSLでの暗号化での送信を希望されるお客さまは
こちら
よりお問い合わせください)
お問い合わせを行う前に
「個人情報の取り扱いについて」を必ずお読みください。
「個人情報の取り扱いについて」に同意いただいた場合は「上記にご同意の上 確認画面へ進む」のボタンをクリックしてください。
個人情報の取り扱いについて
皆さまが送付された個人情報はアットホーム(株)のサーバを経由し、お問い合わせ先の不動産会社にメールまたはFAXにて転送されるためアットホーム(株)にも保管されます。アットホーム(株)で保管された個人情報の取り扱いについては、【こちら】をご覧ください。
また、本画面でご記入いただいた個人情報は、お問い合わせ先の不動産会社でも保管します。 お問い合わせ先の不動産会社が保管する個人情報の取り扱いについては、不動産会社に直接お問い合わせください。
岡山県知事免許(2)第5654号 |
|---|
- 交通:
- JR赤穂線/邑久駅 徒歩4分
- 岡山県瀬戸内市邑久町尾張288-2
- TEL:
- 0869-24-0333
- FAX:
- 0869-24-2882
- 所属団体:
- (公社)全日本不動産協会会員中国地区不動産公正取引協議会加盟
取引態様:売主  - 50102708
|
- スマートフォンで
この不動産会社を見る

|
- 提携サイト等より掲載されている物件情報につきましては、不動産会社詳細情報にリンクされていないものがあります。
- 物件に関するお問合せは、物件詳細ページの「情報提供会社」に表示されている不動産会社へ直接お願いいたします。
- 間取図は、現況を優先させていただきます。
- 映像は物件の一部を撮影したものです。物件の契約にあたっての最終判断はご自身の判断に基づいて行ってください。
- 仲介手数料について

アットホームは物件情報の適正化に努めております。
内容に誤りがある場合にはこちらへご連絡ください。