静岡県富士宮市万野原新田(富士宮駅)の土地:物件詳細
交通 所在地 |
駅徒歩 |
価格 坪単価 |
土地面積(坪数) 私道負担面積 |
引渡方法 最適用途 |
建ぺい率 容積率 |
|
身延線/富士宮
静岡県富士宮市万野原新田
|
3200m
|
915万円
17.24万円
|
175.54m²
(53.10坪)
なし
|
更地渡
住宅用地
|
60%
150%
|
| 交通 | 身延線 富士宮駅 徒歩3200m |
| 所在地 |
静岡県富士宮市万野原新田
|
| 物件種目 |
土地 |
| 価格 |
915万円 |
坪単価 |
17.24万円 |
| 借地期間・地代(月額) |
- |
権利金 |
- |
| 敷金または保証金 |
- / - |
維持費等 |
- |
| その他一時金 |
- |
|
|
| 土地面積 |
175.54m²(公簿) |
坪数 |
53.10坪 |
| 最適用途 |
住宅用地 |
私道負担面積 |
なし |
| 土地権利 |
所有権 |
都市計画 |
市街化区域 |
| 用途地域 |
1種中高 |
地勢 |
平坦 |
| 建ぺい率 |
60% |
容積率 |
150% |
| 接道状況 |
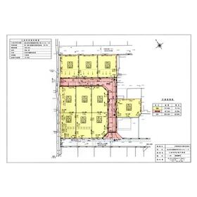
西 6.0m 公道 接面11.9m
|
地目 |
宅地 |
| 国土法届出 |
- |
セットバック |
- |
| アピールポイント |
保育園や小中学校が徒歩圏内にあります。ドラックストアやコンビニ、銀行も近くにあります。登山道や国道139号線にもアクセス良好で、通勤通学に便利な立地です。通りから中に入った閑静な住宅分譲地です。 |
| 特記事項 |
- |
| 備考 |
法令等制限:建基法22条、景観条例
工事完了予定日:2025年12月
開発許可等番号:富都第2-2号の2
万野原新田の第2期分譲10区画。令和7年12月下旬引渡予定。4、8、10号地に電柱及び支線が設置されます。3、4、8,9,10号地は予約済です。残り5区画です。
|
| エネルギー消費性能 |
- |
| 断熱性能 |
- |
| 目安光熱費 |
- |
| バス・トイレ |
- |
| キッチン |
- |
| 設備・サービス |
上水道、下水道、プロパンガス、電気、側溝 |
| その他 |
- |
| 条件等 |
- |
現況 |
その他 |
| 引渡し(可能時期/方法) |
2025年12月下旬予定/更地渡 |
物件番号 |
6986384429 |
| 仲介手数料 |
売買代金の3%+6万円 |
|
|
| 情報公開日 |
2025年5月21日 |
次回更新予定日 |
2025年12月10日 |
| ケータイ用バーコード |
- スマートフォンでこの物件を見る
- スマートフォンからもこの物件をご覧になれます。
|
※「-」と表示されている項目については、情報提供会社にご確認ください。
| 周辺施設 |
マックスバリュ富士宮万野原店 |
| 距離 |
854m |
| 周辺施設 |
セブンイレブン富士宮万野原南店 |
| 距離 |
401m |
| 周辺施設 |
富士宮市立大富士中学校 |
| 距離 |
1197m |
ここから簡単にお問い合わせをすることができます。
(SSLでの暗号化での送信を希望されるお客さまは
こちら
よりお問い合わせください)
お問い合わせを行う前に
「個人情報の取り扱いについて」を必ずお読みください。
「個人情報の取り扱いについて」に同意いただいた場合は「上記にご同意の上 確認画面へ進む」のボタンをクリックしてください。
個人情報の取り扱いについて
皆さまが送付された個人情報はアットホーム(株)のサーバを経由し、お問い合わせ先の不動産会社にメールまたはFAXにて転送されるためアットホーム(株)にも保管されます。アットホーム(株)で保管された個人情報の取り扱いについては、【こちら】をご覧ください。
また、本画面でご記入いただいた個人情報は、お問い合わせ先の不動産会社でも保管します。 お問い合わせ先の不動産会社が保管する個人情報の取り扱いについては、不動産会社に直接お問い合わせください。
静岡県知事免許(1)第14882号 |
|---|
- 交通:
- 身延線/富士宮駅
- 静岡県富士宮市万野原新田3041-19
- TEL:
- 0544-57-9251
- FAX:
- 0544-57-9416
- 所属団体:
- (公社)全日本不動産協会会員東海不動産公正取引協議会加盟
取引態様:一般媒介  - 40411748
|
- スマートフォンで
この不動産会社を見る

|
- 提携サイト等より掲載されている物件情報につきましては、不動産会社詳細情報にリンクされていないものがあります。
- 物件に関するお問合せは、物件詳細ページの「情報提供会社」に表示されている不動産会社へ直接お願いいたします。
- 間取図は、現況を優先させていただきます。
- 映像は物件の一部を撮影したものです。物件の契約にあたっての最終判断はご自身の判断に基づいて行ってください。
- 仲介手数料について

アットホームは物件情報の適正化に努めております。
内容に誤りがある場合にはこちらへご連絡ください。