山梨県中巨摩郡昭和町西条(常永駅)の土地:物件詳細
交通 所在地 |
駅徒歩 |
価格 坪単価 |
土地面積(坪数) 私道負担面積 |
引渡方法 最適用途 |
建ぺい率 容積率 |
|
身延線/常永 [バス利用可] バス 山交バス 昭和町役場 停歩7分
山梨県中巨摩郡昭和町西条
|
26分
|
1,541万円
16万円
|
318.54m²
(96.35坪)
なし
|
相談
住宅用地
|
60%
200%
|
|
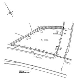
地形図等
区画①拡張後
|
地形図等
|
その他の画像
|
| 交通 | 身延線 常永駅 徒歩26分 [バス利用可] バス 山交バス 昭和町役場 停歩7分 |
| 所在地 |
山梨県中巨摩郡昭和町西条
|
| 物件種目 |
土地 |
| 価格 |
1,541万円 |
坪単価 |
16万円 |
| 借地期間・地代(月額) |
- |
権利金 |
- |
| 敷金または保証金 |
- / - |
維持費等 |
- |
| その他一時金 |
- |
|
|
| 土地面積 |
318.54m²(実測) |
坪数 |
96.35坪 |
| 最適用途 |
住宅用地 |
私道負担面積 |
なし |
| 土地権利 |
所有権 |
都市計画 |
調整区域 |
| 用途地域 |
無指定 |
地勢 |
平坦 |
| 建ぺい率 |
60% |
容積率 |
200% |
| 接道状況 |
東 6.0m 公道 接面17.6m
・
南 10.3m 公道 接面28.2m
・
二方道路
|
地目 |
田 |
| 国土法届出 |
- |
セットバック |
- |
| アピールポイント |
MYCITY西条24区画
本下水利用可
イオンモール甲府昭和まで 車5分1.4㎞、イトーヨーカドーまで車7分2㎞
西条小学校区域、徒歩13分(約1.3㎞)押原中学校区域 徒歩9分(約700m) |
| 特記事項 |
- |
| 備考 |
区画番号:①
工事完了予定日:2025年4月
開発許可等番号:昭都指令 第1号
|
| エネルギー消費性能 |
- |
| 断熱性能 |
- |
| 目安光熱費 |
- |
| バス・トイレ |
- |
| キッチン |
- |
| 設備・サービス |
上水道、下水道、電気、側溝 |
| その他 |
- |
| 条件等 |
- |
現況 |
更地 |
| 引渡し(可能時期/方法) |
相談/相談 |
物件番号 |
6986580993 |
| 情報公開日 |
2025年6月6日 |
次回更新予定日 |
2025年12月31日 |
| ケータイ用バーコード |
- スマートフォンでこの物件を見る
- スマートフォンからもこの物件をご覧になれます。
|
※「-」と表示されている項目については、情報提供会社にご確認ください。
| 周辺施設 |
いちやまマート竜王アルプス通り店 |
| 距離 |
1124m |
| 周辺施設 |
イオンスタイル甲府昭和 |
| 距離 |
1496m |
| 周辺施設 |
セブンイレブン昭和バイパス店 |
| 距離 |
468m |
| 周辺施設 |
エネオスDr.Drive昭和バイパス店 |
| 距離 |
418m |
ここから簡単にお問い合わせをすることができます。
(SSLでの暗号化での送信を希望されるお客さまは
こちら
よりお問い合わせください)
お問い合わせを行う前に
「個人情報の取り扱いについて」を必ずお読みください。
「個人情報の取り扱いについて」に同意いただいた場合は「上記にご同意の上 確認画面へ進む」のボタンをクリックしてください。
個人情報の取り扱いについて
皆さまが送付された個人情報はアットホーム(株)のサーバを経由し、お問い合わせ先の不動産会社にメールまたはFAXにて転送されるためアットホーム(株)にも保管されます。アットホーム(株)で保管された個人情報の取り扱いについては、【こちら】をご覧ください。
また、本画面でご記入いただいた個人情報は、お問い合わせ先の不動産会社でも保管します。 お問い合わせ先の不動産会社が保管する個人情報の取り扱いについては、不動産会社に直接お問い合わせください。
山梨県知事免許(9)第1457号 |
|---|
- 交通:
- JR中央線/甲府駅 【バス】12分 徳行南 停歩2分
- 山梨県甲府市徳行4丁目15-29
- TEL:
- 055-226-8411
- FAX:
- 055-226-9300
- 所属団体:
- (公社)山梨県宅地建物取引業協会会員(公社)首都圏不動産公正取引協議会加盟
取引態様:売主  - 00014754
|
- スマートフォンで
この不動産会社を見る

|
- 提携サイト等より掲載されている物件情報につきましては、不動産会社詳細情報にリンクされていないものがあります。
- 物件に関するお問合せは、物件詳細ページの「情報提供会社」に表示されている不動産会社へ直接お願いいたします。
- 間取図は、現況を優先させていただきます。
- 映像は物件の一部を撮影したものです。物件の契約にあたっての最終判断はご自身の判断に基づいて行ってください。
- 仲介手数料について

アットホームは物件情報の適正化に努めております。
内容に誤りがある場合にはこちらへご連絡ください。