愛知県津島市宇治町字茶ノ里(勝幡駅)の土地:物件詳細
交通 所在地 |
駅徒歩 |
価格 坪単価 |
土地面積(坪数) 私道負担面積 |
引渡方法 最適用途 |
建ぺい率 容積率 |
|
名鉄津島線/勝幡
愛知県津島市宇治町字茶ノ里
|
24分
|
850万円
10.96万円
|
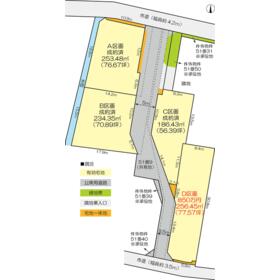
256.45m²
(77.57坪)
有 78.48m²(共有持分3/18)
|
現況渡
住宅用地
|
60%
160%
|
| 交通 | 名鉄津島線 勝幡駅 徒歩24分 |
| 所在地 |
愛知県津島市宇治町字茶ノ里
|
| 物件種目 |
土地 |
| 価格 |
850万円 |
坪単価 |
10.96万円 |
| 借地期間・地代(月額) |
- |
権利金 |
- |
| 敷金または保証金 |
- / - |
維持費等 |
- |
| その他一時金 |
- |
|
|
| 土地面積 |
256.45m²(実測) |
坪数 |
77.57坪 |
| 最適用途 |
住宅用地 |
私道負担面積 |
有 78.48m²(共有持分3/18) |
| 土地権利 |
所有権 |
都市計画 |
調整区域 |
| 用途地域 |
無指定 |
地勢 |
- |
| 建ぺい率 |
60% |
容積率 |
160% |
| 接道状況 |
南 3.5m 公道
|
地目 |
宅地 |
| 国土法届出 |
- |
セットバック |
要 |
| アピールポイント |
旧既存宅地:有効256.45㎡(77.57坪) |
| 特記事項 |
分譲地内 |
| 備考 |
法令等制限:都市計画法
|
| エネルギー消費性能 |
- |
| 断熱性能 |
- |
| 目安光熱費 |
- |
| バス・トイレ |
- |
| キッチン |
- |
| 設備・サービス |
上水道、都市ガス、電気、側溝 |
| その他 |
- |
| 条件等 |
- |
現況 |
更地 |
| 引渡し(可能時期/方法) |
相談/現況渡 |
物件番号 |
6986752249 |
| 情報公開日 |
2025年6月22日 |
次回更新予定日 |
2025年12月20日 |
| ケータイ用バーコード |
- スマートフォンでこの物件を見る
- スマートフォンからもこの物件をご覧になれます。
|
※「-」と表示されている項目については、情報提供会社にご確認ください。
| 周辺施設 |
MEGAドン・キホーテUNY勝幡店 |
| 距離 |
1911m |
| 周辺施設 |
セブンイレブン津島蛭間町店 |
| 距離 |
827m |
| 周辺施設 |
ファミリーマート愛西古瀬店 |
| 距離 |
985m |
| 周辺施設 |
JAあいち海部神守支店 |
| 距離 |
1766m |
ここから簡単にお問い合わせをすることができます。
(SSLでの暗号化での送信を希望されるお客さまは
こちら
よりお問い合わせください)
お問い合わせを行う前に
「個人情報の取り扱いについて」を必ずお読みください。
「個人情報の取り扱いについて」に同意いただいた場合は「上記にご同意の上 確認画面へ進む」のボタンをクリックしてください。
個人情報の取り扱いについて
皆さまが送付された個人情報はアットホーム(株)のサーバを経由し、お問い合わせ先の不動産会社にメールまたはFAXにて転送されるためアットホーム(株)にも保管されます。アットホーム(株)で保管された個人情報の取り扱いについては、【こちら】をご覧ください。
また、本画面でご記入いただいた個人情報は、お問い合わせ先の不動産会社でも保管します。 お問い合わせ先の不動産会社が保管する個人情報の取り扱いについては、不動産会社に直接お問い合わせください。
愛知県知事免許(4)第20793号 |
|---|
- 交通:
- 【バス】 七宝町桂 停歩4分
- 愛知県あま市七宝町桂城之堀28番地
- TEL:
- 052-441-3747
- FAX:
- 052-485-5818
取引態様:媒介  - 40401530
|
- スマートフォンで
この不動産会社を見る

|
- 提携サイト等より掲載されている物件情報につきましては、不動産会社詳細情報にリンクされていないものがあります。
- 物件に関するお問合せは、物件詳細ページの「情報提供会社」に表示されている不動産会社へ直接お願いいたします。
- 間取図は、現況を優先させていただきます。
- 映像は物件の一部を撮影したものです。物件の契約にあたっての最終判断はご自身の判断に基づいて行ってください。
- 仲介手数料について

アットホームは物件情報の適正化に努めております。
内容に誤りがある場合にはこちらへご連絡ください。