福岡県北九州市小倉南区蜷田若園1丁目(安部山公園駅)の土地:物件詳細
交通 所在地 |
駅徒歩 |
価格 坪単価 |
土地面積(坪数) 私道負担面積 |
引渡方法 最適用途 |
建ぺい率 容積率 |
|
JR日豊本線/安部山公園
福岡県北九州市小倉南区蜷田若園1丁目
|
19分
|
7,800万円
18.62万円
|
1,385.53m²
(419.12坪)
-
|
現況渡
アパート用地
|
60%
200%
|
|
地形図等
|
外観
|
<
その他の画像
>
|
| 交通 | JR日豊本線 安部山公園駅 徒歩19分 |
|---|
| その他の交通 | 【バス】 八重洲町団地下 停歩4分 |
| 所在地 |
福岡県北九州市小倉南区蜷田若園1丁目
|
| 物件種目 |
土地 |
| 価格 |
7,800万円 |
坪単価 |
18.62万円 |
| 借地期間・地代(月額) |
- |
権利金 |
- |
| 敷金または保証金 |
- / - |
維持費等 |
- |
| その他一時金 |
- |
|
|
| 土地面積 |
1,385.53m²(実測) |
坪数 |
419.12坪 |
| 最適用途 |
アパート用地 |
私道負担面積 |
- |
| 土地権利 |
所有権 |
都市計画 |
市街化区域 |
| 用途地域 |
1種中高、1種住居 |
地勢 |
平坦 |
| 建ぺい率 |
60% |
容積率 |
200% |
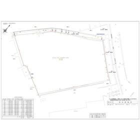
| 接道状況 |
北東 6.0m 公道 接面22.7m
・
北西 2.2m 私道 接面50.5m
|
地目 |
宅地 |
| 国土法届出 |
- |
セットバック |
要 |
| アピールポイント |
【ローンがどのぐらい組めるのか、今後の資金計画等親身にご対応いたします!
まずはお気軽にご連絡ください♪】
◎公式LINEやショートメール、メールでもやりとり可能です!
◎建築プランの提案や概算見積もりも承ります!
◎建築条件無し!お好きな建築業者で建築可能です!
◎各建築業者の比較・ご紹介もサポート出来ます!
◎各融資先ご紹介出来ます!
不安を感じる方も多いと思います。お客様一人ひとりのご要望に寄り添い、ライフスタイルやニーズに合った最適な物件・資金計画をご提案いたします! |
| 特記事項 |
- |
| 備考 |
若園小学校 徒歩約8分
企救中学校 徒歩約11分
幅員5mの橋をかけてのお渡し予定です。
ガス管は前面道路近接まで整備されていますが、本物件前面にはありません。引込管もありません。
|
| エネルギー消費性能 |
- |
| 断熱性能 |
- |
| 目安光熱費 |
- |
| バス・トイレ |
- |
| キッチン |
- |
| 設備・サービス |
上水道、下水道、電気、側溝 |
| その他 |
- |
| 条件等 |
- |
現況 |
更地 |
| 引渡し(可能時期/方法) |
相談/現況渡 |
物件番号 |
6987173477 |
| 情報公開日 |
2025年7月30日 |
次回更新予定日 |
2026年1月1日 |
| ケータイ用バーコード |
- スマートフォンでこの物件を見る
- スマートフォンからもこの物件をご覧になれます。
|
※「-」と表示されている項目については、情報提供会社にご確認ください。
| 周辺施設 |
ゆめマート若園店 |
| 距離 |
1095m |
写真を見る |
| 周辺施設 |
ハローデイ横代店 |
| 距離 |
1231m |
写真を見る |
| 周辺施設 |
ローソン小倉蜷田若園店 |
| 距離 |
200m |
写真を見る |
| 周辺施設 |
スーパーセンタートライアル石田店 |
| 距離 |
487m |
写真を見る |
| 周辺施設 |
北九州市立企救中学校 |
| 距離 |
890m |
写真を見る |
| 周辺施設 |
北九州市立若園小学校 |
| 距離 |
609m |
写真を見る |
| 周辺施設 |
でんき幼稚園 |
| 距離 |
485m |
写真を見る |
| 周辺施設 |
北九州市立総合療育センター |
| 距離 |
1232m |
写真を見る |
ここから簡単にお問い合わせをすることができます。
(SSLでの暗号化での送信を希望されるお客さまは
こちら
よりお問い合わせください)
お問い合わせを行う前に
「個人情報の取り扱いについて」を必ずお読みください。
「個人情報の取り扱いについて」に同意いただいた場合は「上記にご同意の上 確認画面へ進む」のボタンをクリックしてください。
個人情報の取り扱いについて
皆さまが送付された個人情報はアットホーム(株)のサーバを経由し、お問い合わせ先の不動産会社にメールまたはFAXにて転送されるためアットホーム(株)にも保管されます。アットホーム(株)で保管された個人情報の取り扱いについては、【こちら】をご覧ください。
また、本画面でご記入いただいた個人情報は、お問い合わせ先の不動産会社でも保管します。 お問い合わせ先の不動産会社が保管する個人情報の取り扱いについては、不動産会社に直接お問い合わせください。
福岡県知事免許(2)第18764号 |
|---|
- 交通:
- JR鹿児島本線/西小倉駅 【バス】 停歩10分
- 福岡県北九州市小倉北区竪町1丁目6-17-401号
- TEL:
- 093-967-6566
- FAX:
- 093-967-6599
- 所属団体:
- (公社)福岡県宅地建物取引業協会会員(一社)九州不動産公正取引協議会加盟
取引態様:売主  - 80503837
|
- スマートフォンで
この不動産会社を見る

|
- 提携サイト等より掲載されている物件情報につきましては、不動産会社詳細情報にリンクされていないものがあります。
- 物件に関するお問合せは、物件詳細ページの「情報提供会社」に表示されている不動産会社へ直接お願いいたします。
- 間取図は、現況を優先させていただきます。
- 映像は物件の一部を撮影したものです。物件の契約にあたっての最終判断はご自身の判断に基づいて行ってください。
- 仲介手数料について

アットホームは物件情報の適正化に努めております。
内容に誤りがある場合にはこちらへご連絡ください。