不動産 賃貸 マンション等の住宅情報:埼玉住まい情報


茨城県古河市尾崎(古河駅)の土地:物件詳細

  • 物件詳細
  • 情報の見方
  • 印刷用画面
交通
所在地
駅徒歩 価格
坪単価
土地面積(坪数)
私道負担面積
引渡方法
最適用途
建ぺい率
容積率

湘南新宿ライン(宇都宮〜逗子)/古河

茨城県古河市尾崎

13000m

290万円

6.31万円

152.09m² (46.00坪)

現況渡

住宅用地

おすすめコメント

小学校まで徒歩約5分でお子様の通学も楽々♪周辺は落ち着いた住宅地で日当たりも良好。初めての住まいづくりにもおすすめの290万円の土地です。

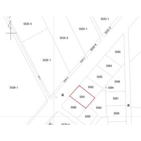
地形図等

地形図等

日当たり良好◎

連絡お待ちしてます♪

その他の画像
  • 地形図等
    • とりあえず保存
    • お問い合わせ
    交通

    湘南新宿ライン(宇都宮〜逗子) 古河駅 徒歩13000m

    その他の交通

    東武日光線 新古河駅 徒歩17000m

    所在地 茨城県古河市尾崎
    物件種目 土地
    価格 290万円 坪単価 6.31万円
    借地期間・地代(月額) 権利金
    敷金または保証金 - / - 維持費等
    その他一時金    
    土地面積 152.09m²(公簿) 坪数 46.00坪
    最適用途 住宅用地 私道負担面積
    土地権利 所有権 都市計画 調整区域
    用途地域 地勢
    建ぺい率 容積率
    接道状況 西 8.0m 公道 地目 宅地
    国土法届出 セットバック
    アピールポイント 古河市立名崎小学校が尾崎エリアに位置。お子さまの通学にも安心です。 
    中学校は古河市立三和東中学校あたりが利用圏で、落ち着いた学区です。 

    *最寄駅は古河駅で通勤・通学ともにアクセスが良好。
    *子育て世代や静かな住宅を求める方にぴったりな落ち着いた閑静な環境。
    *尾崎ファミリースポーツ公園がすぐ近くにありグラウンドや遊具あり!
    *コンビニまで徒歩約8分でいざとゆうときにも安心!

    見学・相談いつでも大歓迎です!
    特記事項
    備考
    TY総研は、2025年に誕生した新しい不動産会社です。
    「新しい会社だからこそ、誠実で丁寧な対応を徹底したい」その想いを胸に、地元・古河エリアに特化した土地売買を中心にサービスを展開しています。

    当社には 元銀行員のローンアドバイザーが在籍し、住宅ローンの選び方から資金計画まで、お客様一人ひとりに寄り添ったサポートが可能です。難しい仕組みも分かりやすくご説明し、無理のない“買って幸せになる計画”をご提案します。

    さらに、保険募集人資格を持つスタッフが、住まいに関わる保険の相談にもしっかり対応。
    ローン・保険・土地という、住まいづくりに欠かせない3つの不安を、TY総研が ワンストップで解決します。

    地元を知り尽くした専門家チームが、土地の魅力や将来性まで丁寧にご説明。
    **「この会社なら任せられる」**を目指し、誠実・迅速・透明な対応をお約束します。
    エネルギー消費性能
    断熱性能
    目安光熱費
    バス・トイレ
    キッチン
    設備・サービス
    その他
    条件等 現況 更地
    引渡し(可能時期/方法) 相談/現況渡 物件番号 6987262201
    仲介手数料 売買代金の3.3%+6万円    
    情報公開日 2025年11月18日 次回更新予定日 2025年12月26日
    ケータイ用バーコード

    QRコード

    スマートフォンでこの物件を見る
    スマートフォンからもこの物件をご覧になれます。
    ※「-」と表示されている項目については、情報提供会社にご確認ください。

    この物件の周辺情報

    周辺施設 うおとみ三和店
    距離 2400m
    周辺施設 ファミリーマート古河名崎店
    距離 600m
    周辺施設 古河市立三和東中学校
    距離 1800m
    周辺施設 古河市立名崎小学校
    距離 600m
    周辺施設 認定こども園さんわ
    距離 1300m
    周辺施設 三和尾崎郵便局
    距離 800m
    周辺施設 コスモ石油名崎
    距離 1969m
    周辺施設 八千代町民公園
    距離 2647m

    クイックお問い合わせ

    ここから簡単にお問い合わせをすることができます。
    (SSLでの暗号化での送信を希望されるお客さまは こちら よりお問い合わせください)

    お問い合わせ内容(必須)
    お名前(必須) 姓  名 
    メールアドレス(必須)
    ※携帯電話のメールアドレスをご入力される方はこちらをご確認ください
    電話番号(必須)
    - -

    ※入力いただいた電話番号へSMSまたは音声でパスワードをご連絡します。

    携帯電話の番号をご入力の方へ

    携帯電話の番号をご入力の方へ
    確認画面にて送信ボタンをクリックするとSMSが携帯電話に届きます。
    そのSMSに記載のパスワード(認証番号)を入力し、お問い合わせを完了してください。
    尚、SMSの送信者番号は 0005 202 760 となります。
    これはアットホームの固定番号です。

    備考欄 希望条件、物件案内希望日、質問などがございましたらご記入ください。
    お問い合わせを行う前に「個人情報の取り扱いについて」を必ずお読みください。
    「個人情報の取り扱いについて」に同意いただいた場合は「上記にご同意の上 確認画面へ進む」のボタンをクリックしてください。

    個人情報の取り扱いについて

    皆さまが送付された個人情報はアットホーム(株)のサーバを経由し、お問い合わせ先の不動産会社にメールまたはFAXにて転送されるためアットホーム(株)にも保管されます。アットホーム(株)で保管された個人情報の取り扱いについては、【こちら】をご覧ください。
    また、本画面でご記入いただいた個人情報は、お問い合わせ先の不動産会社でも保管します。 お問い合わせ先の不動産会社が保管する個人情報の取り扱いについては、不動産会社に直接お問い合わせください。

    情報提供会社

    情報提供会社

    (株)TY総研

    茨城県知事免許(1)第7564号

    交通:
    湘南新宿ライン(宇都宮〜逗子)/古河駅
    茨城県古河市谷貝883 
    TEL:
    0280-79-1111
    所属団体:
    (公社)茨城県宅地建物取引業協会会員
    (公社)首都圏不動産公正取引協議会加盟

    取引態様:一般媒介

    • 会社情報
    • 00276490
    スマートフォンで
    この不動産会社を見る
    QRコード
    • とりあえず保存
    • お問い合わせ
    • 提携サイト等より掲載されている物件情報につきましては、不動産会社詳細情報にリンクされていないものがあります。
    • 物件に関するお問合せは、物件詳細ページの「情報提供会社」に表示されている不動産会社へ直接お願いいたします。
    • 間取図は、現況を優先させていただきます。
    • 映像は物件の一部を撮影したものです。物件の契約にあたっての最終判断はご自身の判断に基づいて行ってください。
    • 仲介手数料について仲介手数料

    アットホームは物件情報の適正化に努めております。 内容に誤りがある場合にはこちらへご連絡ください。

    【埼玉住まい情報】では、日本全国の物件から賃貸マンションや賃貸アパート・賃貸一戸建て等の賃貸住宅情報、新築マンション・分譲マンションや中古マンション等の売買マンション情報、新築一戸建てや中古一戸建てなどの戸建住宅、 土地など、総合的な不動産住宅情報検索サービスを提供致します。
    【埼玉住まい情報】から、選りすぐりの不動産物件を探してみましょう。

    【免責事項】
    このコーナーの運営はアットホーム株式会社(https://www.athome.co.jp/)が行っています。
    このコーナーに掲載している物件情報は、「アットホーム不動産情報ネットワーク」に加盟する不動産会社等(情報提供元)から提供されています。信頼性の高い情報提供が行えるよう、最大限の努力をしておりますが、その内容を保証するものではありません。 利用者のみなさまと各情報提供元との取引に起因する損害および情報が掲載されたことに起因する損害等については、株式会社イーシティ埼玉、およびアットホームは一切責任を負いません。
    各物件情報の内容や画像等はすべて現況を優先させていただきます。
    お取引等(お取引の準備、資金調達等を含みます)の際には、内容や契約条件等について、各情報提供元より十分な説明を受け、ご自身でご確認の上、判断してください。
    このコーナーへの物件情報のご掲載、その他不動産業務ソリューション等についての不動産会社様のお問合せはこちらからお願いいたします。

    物件画像: