岩手県西磐井郡平泉町平泉字北沖(平泉駅)の土地:物件詳細
交通 所在地 |
駅徒歩 |
価格 坪単価 |
土地面積(坪数) 私道負担面積 |
引渡方法 最適用途 |
建ぺい率 容積率 |
|
JR東北本線/平泉
岩手県西磐井郡平泉町平泉字北沖
|
4200m
|
277万円
3.95万円
|
232.31m²
(70.27坪)
有 442.00m²(共有持分1/7)
|
現況渡
住宅用地
|
-
-
|
|
地形図等
|
|
<
その他の画像
>
|
| 交通 | JR東北本線 平泉駅 徒歩4200m |
| 所在地 |
岩手県西磐井郡平泉町平泉字北沖
|
| 物件種目 |
土地 |
| 価格 |
277万円 |
坪単価 |
3.95万円 |
| 借地期間・地代(月額) |
- |
権利金 |
- |
| 敷金または保証金 |
- / - |
維持費等 |
- |
| その他一時金 |
- |
|
|
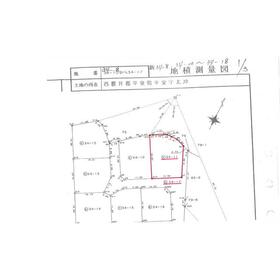
| 土地面積 |
232.31m²(公簿) |
坪数 |
70.27坪 |
| 最適用途 |
住宅用地 |
私道負担面積 |
有 442.00m²(共有持分1/7) |
| 土地権利 |
所有権 |
都市計画 |
区域外 |
| 用途地域 |
- |
地勢 |
- |
| 建ぺい率 |
- |
容積率 |
- |
| 接道状況 |
南 4.0m 私道 接面12.3m
・
東 2.0m 私道 接面13.5m
|
地目 |
宅地 |
| 国土法届出 |
- |
セットバック |
- |
| アピールポイント |
仲介手数料不要
発掘調査不要
都市計画区域外
土地約70坪
地目宅地
平泉小・中学区
平泉小学校まで約3.3㎞(スクールバス有)
景観条例有
浄化槽エリア(補助金あり)
法務局より地積測量図有
分譲地の北側は水路と公衆用道路
水路の為田んぼの時期に水が流れます
管理者/平泉町・照井土地改良区
現況渡し
南側と東側が
分譲地内道路に接道
地目公衆用道路
持分1/7有 |
| 特記事項 |
整形地、分譲地内 |
| 備考 |
区画番号:№2
法令等制限:景観法、宅地造成及び特定盛土規制法
|
| エネルギー消費性能 |
- |
| 断熱性能 |
- |
| 目安光熱費 |
- |
| バス・トイレ |
- |
| キッチン |
- |
| 設備・サービス |
浄化槽、上水道、電気、側溝 |
| その他 |
- |
| 条件等 |
- |
現況 |
更地 |
| 引渡し(可能時期/方法) |
相談/現況渡 |
物件番号 |
6987399873 |
| 仲介手数料 |
不要 |
|
|
| 情報公開日 |
2025年9月30日 |
次回更新予定日 |
2025年12月21日 |
| ケータイ用バーコード |
- スマートフォンでこの物件を見る
- スマートフォンからもこの物件をご覧になれます。
|
※「-」と表示されている項目については、情報提供会社にご確認ください。
ここから簡単にお問い合わせをすることができます。
(SSLでの暗号化での送信を希望されるお客さまは
こちら
よりお問い合わせください)
お問い合わせを行う前に
「個人情報の取り扱いについて」を必ずお読みください。
「個人情報の取り扱いについて」に同意いただいた場合は「上記にご同意の上 確認画面へ進む」のボタンをクリックしてください。
個人情報の取り扱いについて
皆さまが送付された個人情報はアットホーム(株)のサーバを経由し、お問い合わせ先の不動産会社にメールまたはFAXにて転送されるためアットホーム(株)にも保管されます。アットホーム(株)で保管された個人情報の取り扱いについては、【こちら】をご覧ください。
また、本画面でご記入いただいた個人情報は、お問い合わせ先の不動産会社でも保管します。 お問い合わせ先の不動産会社が保管する個人情報の取り扱いについては、不動産会社に直接お問い合わせください。
岩手県知事免許(4)第2395号 |
|---|
- 交通:
- JR東北本線/平泉駅 【バス】 川屋敷 停歩1分
- 岩手県西磐井郡平泉町平泉字高田前90-3
- TEL:
- 0191-46-4788
- FAX:
- 0191-46-4329
- 所属団体:
- (一社)岩手県宅地建物取引業協会会員東北地区不動産公正取引協議会加盟
取引態様:売主  - 20002766
|
- スマートフォンで
この不動産会社を見る

|
- 提携サイト等より掲載されている物件情報につきましては、不動産会社詳細情報にリンクされていないものがあります。
- 物件に関するお問合せは、物件詳細ページの「情報提供会社」に表示されている不動産会社へ直接お願いいたします。
- 間取図は、現況を優先させていただきます。
- 映像は物件の一部を撮影したものです。物件の契約にあたっての最終判断はご自身の判断に基づいて行ってください。
- 仲介手数料について

アットホームは物件情報の適正化に努めております。
内容に誤りがある場合にはこちらへご連絡ください。