東京都目黒区大岡山1丁目(大岡山駅)の土地:物件詳細
交通 所在地 |
駅徒歩 |
価格 坪単価 |
土地面積(坪数) 私道負担面積 |
引渡方法 最適用途 |
建ぺい率 容積率 |
東急大井町線/大岡山
東京都目黒区大岡山1丁目
|
7分
|
13,170万円
574.38万円
|
75.80m²
(22.92坪)
なし
|
現況渡
住宅用地
|
60%
150%
|
地形図等
A区画
|
地形図等
B区画
|
<
その他の画像
>
|
交通 | 東急大井町線 大岡山駅 徒歩7分 |
---|
その他の交通 | 東急東横線 都立大学駅 徒歩16分 東急目黒線 洗足駅 徒歩17分 |
所在地 |
東京都目黒区大岡山1丁目
|
物件種目 |
土地 |
価格 |
13,170万円 |
坪単価 |
574.38万円 |
借地期間・地代(月額) |
- |
権利金 |
- |
敷金または保証金 |
- / - |
維持費等 |
- |
その他一時金 |
- |
|
|
土地面積 |
75.80m² |
坪数 |
22.92坪 |
最適用途 |
住宅用地 |
私道負担面積 |
なし |
土地権利 |
所有権 |
都市計画 |
市街化区域 |
用途地域 |
1種低層 |
地勢 |
- |
建ぺい率 |
60% |
容積率 |
150% |
接道状況 |
北 4.9m
・
西 4.0m
・
東 4.5m
|
地目 |
宅地 |
国土法届出 |
- |
セットバック |
- |
アピールポイント |
≪建物ベースプラン≫
・準耐火構造
・耐震等級2
・床暖房付
・ハイブリッド給湯器
≪特徴≫
大岡山駅を北側に進み、商店街を抜けた先の住宅街エリアです。
駅前にはスーパーやドラッグストア、飲食店なども豊富にあります。
◇◆建物参考プラン◆◇
■A区画■
建物価格・3230万円
建物面積・115.01㎡
間取・4LDK+P
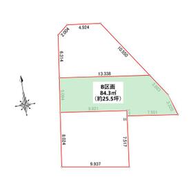
■B区画■
建物価格・2820万円
建物面積・100.60㎡
間取・3LDK+P
■C区画■
建物価格・2800万円
建物面積・99.98㎡
間取・4LDK+P
≪通学域≫
大岡山小学校
目黒西中学校 |
特記事項 |
- |
備考 |
総区画数:3区画
販売区画数:3区画
販売価格帯
A区画:13170万円
B区画:12180万円
C区画:12200万円
土地面積帯
A区画:75.80平米
B区画:84.37平米
C区画:80.63平米
建物参考プラン
A区画:建物価格・3230万円 建物面積・115㎡ 間取・4LDK+P
B区画:建物価格・2820万円 建物面積・100.60㎡ 間取・3LDK+P
C区画:建物価格・2800万円 建物面積・99.98㎡ 間取・4LDK+P
取引条件有効期限:2025年11月30日
|
エネルギー消費性能 |
- |
断熱性能 |
- |
目安光熱費 |
- |
バス・トイレ |
- |
キッチン |
- |
設備・サービス |
上水道、下水道、都市ガス、電気 |
その他 |
- |
条件等 |
建築条件付き |
現況 |
更地 |
引渡し(可能時期/方法) |
相談/現況渡 |
物件番号 |
6987456596 |
情報公開日 |
2025年8月31日 |
次回更新予定日 |
2025年10月30日 |
ケータイ用バーコード |
- スマートフォンでこの物件を見る
- スマートフォンからもこの物件をご覧になれます。
|
※「-」と表示されている項目については、情報提供会社にご確認ください。
周辺施設 |
東急ストア大岡山店 |
距離 |
600m |
写真を見る |
周辺施設 |
目黒区立大岡山小学校 |
距離 |
550m |
写真を見る |
ここから簡単にお問い合わせをすることができます。
(SSLでの暗号化での送信を希望されるお客さまは
こちら
よりお問い合わせください)
お問い合わせを行う前に
「個人情報の取り扱いについて」を必ずお読みください。
「個人情報の取り扱いについて」に同意いただいた場合は「上記にご同意の上 確認画面へ進む」のボタンをクリックしてください。
個人情報の取り扱いについて
皆さまが送付された個人情報はアットホーム(株)のサーバを経由し、お問い合わせ先の不動産会社にメールまたはFAXにて転送されるためアットホーム(株)にも保管されます。アットホーム(株)で保管された個人情報の取り扱いについては、【こちら】をご覧ください。
また、本画面でご記入いただいた個人情報は、お問い合わせ先の不動産会社でも保管します。 お問い合わせ先の不動産会社が保管する個人情報の取り扱いについては、不動産会社に直接お問い合わせください。
東京都知事免許(3)第95745号 |
---|
- 交通:
- 東急東横線/学芸大学駅 徒歩10分
- 東京都目黒区碑文谷5丁目14-16
- TEL:
- 03-5768-7638
- FAX:
- 03-5768-7637
- 所属団体:
- (公社)全日本不動産協会会員(公社)首都圏不動産公正取引協議会加盟
取引態様:媒介  - 00109728
|
- スマートフォンで
この不動産会社を見る

|
- 提携サイト等より掲載されている物件情報につきましては、不動産会社詳細情報にリンクされていないものがあります。
- 物件に関するお問合せは、物件詳細ページの「情報提供会社」に表示されている不動産会社へ直接お願いいたします。
- 間取図は、現況を優先させていただきます。
- 映像は物件の一部を撮影したものです。物件の契約にあたっての最終判断はご自身の判断に基づいて行ってください。
- 仲介手数料について

アットホームは物件情報の適正化に努めております。
内容に誤りがある場合にはこちらへご連絡ください。