埼玉県川越市大字南田島(新河岸駅)の土地:物件詳細
交通 所在地 |
駅徒歩 |
価格 坪単価 |
土地面積(坪数) 私道負担面積 |
引渡方法 最適用途 |
建ぺい率 容積率 |
|
東武東上線/新河岸
埼玉県川越市大字南田島
|
30分
|
1,280万円
12.79万円
|
331.00m²
(100.12坪)
-
|
更地渡
住宅用地
|
-
-
|
|
地形図等
|
|
その他の画像
|
| 交通 | 東武東上線 新河岸駅 徒歩30分 |
| 所在地 |
埼玉県川越市大字南田島
|
| 物件種目 |
土地 |
| 価格 |
1,280万円 |
坪単価 |
12.79万円 |
| 借地期間・地代(月額) |
- |
権利金 |
- |
| 敷金または保証金 |
- / - |
維持費等 |
- |
| その他一時金 |
- |
|
|
| 土地面積 |
331.00m²(公簿) |
坪数 |
100.12坪 |
| 最適用途 |
住宅用地 |
私道負担面積 |
- |
| 土地権利 |
所有権 |
都市計画 |
調整区域 |
| 用途地域 |
- |
地勢 |
平坦 |
| 建ぺい率 |
- |
容積率 |
- |
| 接道状況 |
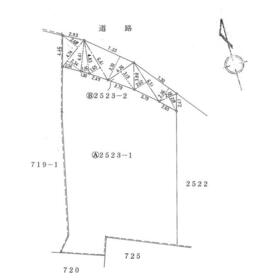
北 7.0m 公道 接面16.0m
|
地目 |
田 |
| 国土法届出 |
- |
セットバック |
- |
| 特記事項 |
- |
| 備考 |
●市街化調整区域につき、宅地造成及び建築はできません。但し、都市計画34条12号の規定を満たし、開発許可を取得
する事により建築が可能です。(川越市に隣接する市町村の市街化調整区域に20年以上お住いの親族を有し、自己所有の
お住まいがない方)※農地法●別途開発造成工事費用が必要です●上水道、側溝、合併浄化槽●造成工事、開発申請については、売主指定業者
|
| エネルギー消費性能 |
- |
| 断熱性能 |
- |
| 目安光熱費 |
- |
| バス・トイレ |
- |
| キッチン |
- |
| 設備・サービス |
- |
| その他 |
- |
| 条件等 |
- |
現況 |
更地 |
| 引渡し(可能時期/方法) |
相談/更地渡 |
物件番号 |
6987703226 |
| 情報公開日 |
2025年9月19日 |
次回更新予定日 |
2025年11月12日 |
| ケータイ用バーコード |
- スマートフォンでこの物件を見る
- スマートフォンからもこの物件をご覧になれます。
|
※「-」と表示されている項目については、情報提供会社にご確認ください。
| 周辺施設 |
ファミリーマート川越牛子店 |
| 距離 |
855m |
| 周辺施設 |
マクドナルド川越木野目店 |
| 距離 |
1107m |
| 周辺施設 |
幼保連携型認定こども園星和幼稚園 |
| 距離 |
1501m |
ここから簡単にお問い合わせをすることができます。
(SSLでの暗号化での送信を希望されるお客さまは
こちら
よりお問い合わせください)
お問い合わせを行う前に
「個人情報の取り扱いについて」を必ずお読みください。
「個人情報の取り扱いについて」に同意いただいた場合は「上記にご同意の上 確認画面へ進む」のボタンをクリックしてください。
個人情報の取り扱いについて
皆さまが送付された個人情報はアットホーム(株)のサーバを経由し、お問い合わせ先の不動産会社にメールまたはFAXにて転送されるためアットホーム(株)にも保管されます。アットホーム(株)で保管された個人情報の取り扱いについては、【こちら】をご覧ください。
また、本画面でご記入いただいた個人情報は、お問い合わせ先の不動産会社でも保管します。 お問い合わせ先の不動産会社が保管する個人情報の取り扱いについては、不動産会社に直接お問い合わせください。
埼玉県知事免許(4)第21950号 |
|---|
- 交通:
- 東武東上線/川越市駅 徒歩7分
- 埼玉県川越市三光町9-6
- TEL:
- 049-226-8877
- FAX:
- 049-299-4377
- 所属団体:
- (公社)埼玉県宅地建物取引業協会会員(公社)首都圏不動産公正取引協議会加盟
取引態様:専任媒介  - 00989936
|
- スマートフォンで
この不動産会社を見る

|
- 提携サイト等より掲載されている物件情報につきましては、不動産会社詳細情報にリンクされていないものがあります。
- 物件に関するお問合せは、物件詳細ページの「情報提供会社」に表示されている不動産会社へ直接お願いいたします。
- 間取図は、現況を優先させていただきます。
- 映像は物件の一部を撮影したものです。物件の契約にあたっての最終判断はご自身の判断に基づいて行ってください。
- 仲介手数料について

アットホームは物件情報の適正化に努めております。
内容に誤りがある場合にはこちらへご連絡ください。