宮城県多賀城市高崎3丁目(多賀城駅)の土地:物件詳細
交通 所在地 |
駅徒歩 |
価格 坪単価 |
土地面積(坪数) 私道負担面積 |
引渡方法 最適用途 |
建ぺい率 容積率 |
|
JR仙石線/多賀城
宮城県多賀城市高崎3丁目
|
14分
|
2,580万円
32.73万円
|
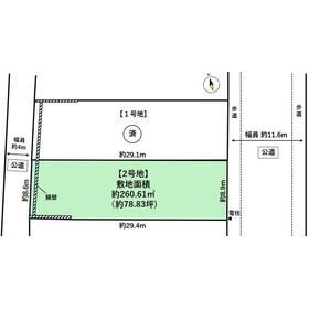
260.61m²
(78.83坪)
-
|
更地渡
住宅用地
|
60%
200%
|
|
地形図等
|
|
<
その他の画像
>
|
| 交通 | JR仙石線 多賀城駅 徒歩14分 |
|---|
| その他の交通 | JR東北本線 国府多賀城駅 徒歩16分 JR東北本線 塩釜駅 徒歩24分 |
| 所在地 |
宮城県多賀城市高崎3丁目
|
| 物件種目 |
土地 |
| 価格 |
2,580万円 |
坪単価 |
32.73万円 |
| 借地期間・地代(月額) |
- |
権利金 |
- |
| 敷金または保証金 |
- / - |
維持費等 |
- |
| その他一時金 |
- |
|
|
| 土地面積 |
260.61m² |
坪数 |
78.83坪 |
| 最適用途 |
住宅用地 |
私道負担面積 |
- |
| 土地権利 |
所有権 |
都市計画 |
市街化区域 |
| 用途地域 |
1種中高 |
地勢 |
- |
| 建ぺい率 |
60% |
容積率 |
200% |
| 接道状況 |
東 11.6m 公道 接面8.9m
|
地目 |
宅地 |
| 国土法届出 |
- |
セットバック |
- |
| アピールポイント |
■本物件における登記申請業務(司法書士に依頼する移転登記・設定登記、家屋調査士に依頼する表題登記)、及び外構工事は、売主指定業者にてお願いいたします。
■本物件上に建築する新築住宅に掛ける火災保険は、売主指定の業者にてご提案をさせてください。
■本物件は売主負担にて、建物解体後のお引渡しとなります。
■本物件は売主負担にて、確定測量・分筆登記完了後のお引渡しとなります。なお、測量・分筆後の面積に差異が生じる場合がございます。
■本物件は埋蔵文化財包蔵地内にあるため、建築を行う場合は届出が必要になります。
■本物件は買主負担にて新たに上下水道管の引込みが必要となります。なお、新規水道加入金が発生致します。
■本物件南側土留が一部空中越境(約47㎜)あり。売主にて解消予定となっております。
■本物件は、囲障負担範囲の指定がございます。
■仲介業者様ご紹介できません。 |
| 特記事項 |
整形地 |
| 備考 |
法令等制限:埋蔵文化財包蔵地
区画番号:2号地
|
| エネルギー消費性能 |
- |
| 断熱性能 |
- |
| 目安光熱費 |
- |
| バス・トイレ |
- |
| キッチン |
- |
| 設備・サービス |
側溝 |
| その他 |
- |
| 条件等 |
- |
現況 |
建物有 |
| 引渡し(可能時期/方法) |
2026年1月予定/更地渡 |
物件番号 |
6987809535 |
| 情報公開日 |
2025年10月2日 |
次回更新予定日 |
2025年12月14日 |
| ケータイ用バーコード |
- スマートフォンでこの物件を見る
- スマートフォンからもこの物件をご覧になれます。
|
※「-」と表示されている項目については、情報提供会社にご確認ください。
| 周辺施設 |
ヤマザワ多賀城店 |
| 距離 |
1080m |
写真を見る |
| 周辺施設 |
ミニストップ多賀城高崎店 |
| 距離 |
250m |
写真を見る |
| 周辺施設 |
マツモトキヨシ多賀城城南店 |
| 距離 |
990m |
写真を見る |
| 周辺施設 |
多賀城市立高崎中学校 |
| 距離 |
660m |
写真を見る |
| 周辺施設 |
多賀城市立城南小学校 |
| 距離 |
1070m |
写真を見る |
| 周辺施設 |
多賀城郵便局 |
| 距離 |
730m |
写真を見る |
| 周辺施設 |
七十七銀行多賀城支店 |
| 距離 |
1610m |
写真を見る |
ここから簡単にお問い合わせをすることができます。
(SSLでの暗号化での送信を希望されるお客さまは
こちら
よりお問い合わせください)
お問い合わせを行う前に
「個人情報の取り扱いについて」を必ずお読みください。
「個人情報の取り扱いについて」に同意いただいた場合は「上記にご同意の上 確認画面へ進む」のボタンをクリックしてください。
個人情報の取り扱いについて
皆さまが送付された個人情報はアットホーム(株)のサーバを経由し、お問い合わせ先の不動産会社にメールまたはFAXにて転送されるためアットホーム(株)にも保管されます。アットホーム(株)で保管された個人情報の取り扱いについては、【こちら】をご覧ください。
また、本画面でご記入いただいた個人情報は、お問い合わせ先の不動産会社でも保管します。 お問い合わせ先の不動産会社が保管する個人情報の取り扱いについては、不動産会社に直接お問い合わせください。
国土交通大臣免許(1)第9999号 |
|---|
- 交通:
- JR東北本線/新利府駅 徒歩12分
- 宮城県宮城郡利府町新中道3丁目1-1 イオンモール新利府南館1階
- TEL:
- 050-3615-4137
- 所属団体:
- (一社)全国賃貸不動産管理業協会会員東北地区不動産公正取引協議会加盟
取引態様:媒介  - 20006314
|
- スマートフォンで
この不動産会社を見る

|
- 提携サイト等より掲載されている物件情報につきましては、不動産会社詳細情報にリンクされていないものがあります。
- 物件に関するお問合せは、物件詳細ページの「情報提供会社」に表示されている不動産会社へ直接お願いいたします。
- 間取図は、現況を優先させていただきます。
- 映像は物件の一部を撮影したものです。物件の契約にあたっての最終判断はご自身の判断に基づいて行ってください。
- 仲介手数料について

アットホームは物件情報の適正化に努めております。
内容に誤りがある場合にはこちらへご連絡ください。