大分県速見郡日出町大字豊岡(暘谷駅)の土地:物件詳細
交通 所在地 |
駅徒歩 |
価格 坪単価 |
土地面積(坪数) 私道負担面積 |
引渡方法 最適用途 |
建ぺい率 容積率 |
|
JR日豊本線/暘谷
大分県速見郡日出町大字豊岡
|
20分
|
500万円
7.92万円
|
208.76m²
(63.14坪)
-
|
更地渡
住宅用地
|
50%
100%
|
|
地形図等
|
外観
|
その他の画像
|
| 交通 | JR日豊本線 暘谷駅 徒歩20分 |
|---|
| その他の交通 | JR日豊本線 豊後豊岡駅 徒歩24分 |
| 所在地 |
大分県速見郡日出町大字豊岡
|
| 物件種目 |
土地 |
| 価格 |
500万円 |
坪単価 |
7.92万円 |
| 借地期間・地代(月額) |
- |
権利金 |
- |
| 敷金または保証金 |
- / - |
維持費等 |
- |
| その他一時金 |
- |
|
|
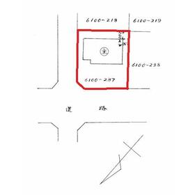
| 土地面積 |
208.76m²(公簿) |
坪数 |
63.14坪 |
| 最適用途 |
住宅用地 |
私道負担面積 |
- |
| 土地権利 |
所有権 |
都市計画 |
市街化区域 |
| 用途地域 |
1種低層 |
地勢 |
- |
| 建ぺい率 |
50% |
容積率 |
100% |
| 接道状況 |
南東 7.0m 公道 接面9.0m
・
南西 5.0m 公道 接面14.0m
・
二方道路
|
地目 |
宅地 |
| 国土法届出 |
- |
セットバック |
- |
| アピールポイント |
「ハローキティとくらすまち」日出町。
閑静な住宅街のとても明るい南向き角地の宅地です!
高台なので津波の心配が少なく、安心ですね。
近くには楽しい遊具のある広々とした児童公園、
Google口コミ★4.6のパン屋さんなどがあり、
落ち着いた暮らしにぴったりのエリアです。
解体業者・建築業者も紹介できます。お気軽にご相談ください。
……この街を「イルミネイト」する。……
テラスバ社員の保有資格は20資格以上!
宅地建物取引士はもちろん、CPM(米国不動産経営管理士)といった
不動産の専門性の高い資格と合わせ、
インテリアコーディネーター、保育士など
バラエティーに富んだ資格を持ったスタッフがそろっており、
[不動産の専門性]×[多方面の知識経験]のハイブリッドで、
お客様にとって本当に必要なご提案をさせていただきます。
お気軽に【テラスバ TEL:097-574-6890】までお問合せください。 |
| 特記事項 |
- |
| 備考 |
-
|
| エネルギー消費性能 |
- |
| 断熱性能 |
- |
| 目安光熱費 |
- |
| バス・トイレ |
- |
| キッチン |
- |
| 設備・サービス |
上水道、下水道 |
| その他 |
- |
| 条件等 |
- |
現況 |
更地 |
| 引渡し(可能時期/方法) |
相談/更地渡 |
物件番号 |
6987869331 |
| 情報公開日 |
2025年10月2日 |
次回更新予定日 |
2025年10月30日 |
| ケータイ用バーコード |
- スマートフォンでこの物件を見る
- スマートフォンからもこの物件をご覧になれます。
|
※「-」と表示されている項目については、情報提供会社にご確認ください。
| 周辺施設 |
ファミリーマート日出豊岡店 |
| 距離 |
892m |
| 周辺施設 |
トキハインダストリー日出町店 |
| 距離 |
1820m |
| 周辺施設 |
ほっともっと大分日出店 |
| 距離 |
1813m |
ここから簡単にお問い合わせをすることができます。
(SSLでの暗号化での送信を希望されるお客さまは
こちら
よりお問い合わせください)
お問い合わせを行う前に
「個人情報の取り扱いについて」を必ずお読みください。
「個人情報の取り扱いについて」に同意いただいた場合は「上記にご同意の上 確認画面へ進む」のボタンをクリックしてください。
個人情報の取り扱いについて
皆さまが送付された個人情報はアットホーム(株)のサーバを経由し、お問い合わせ先の不動産会社にメールまたはFAXにて転送されるためアットホーム(株)にも保管されます。アットホーム(株)で保管された個人情報の取り扱いについては、【こちら】をご覧ください。
また、本画面でご記入いただいた個人情報は、お問い合わせ先の不動産会社でも保管します。 お問い合わせ先の不動産会社が保管する個人情報の取り扱いについては、不動産会社に直接お問い合わせください。
大分県知事免許(3)第3189号 |
|---|
- 交通:
- JR日豊本線/大分駅 徒歩18分
- 大分県大分市中島西1丁目7番14号
- TEL:
- 097-574-6890
- FAX:
- 097-574-6891
- 所属団体:
- (公社)大分県宅地建物取引業協会会員(公財)日本賃貸住宅管理協会会員(一社)全国賃貸不動産管理業協会会員(一社)九州不動産公正取引協議会加盟
取引態様:専任媒介  - 80401793
|
- スマートフォンで
この不動産会社を見る

|
- 提携サイト等より掲載されている物件情報につきましては、不動産会社詳細情報にリンクされていないものがあります。
- 物件に関するお問合せは、物件詳細ページの「情報提供会社」に表示されている不動産会社へ直接お願いいたします。
- 間取図は、現況を優先させていただきます。
- 映像は物件の一部を撮影したものです。物件の契約にあたっての最終判断はご自身の判断に基づいて行ってください。
- 仲介手数料について

アットホームは物件情報の適正化に努めております。
内容に誤りがある場合にはこちらへご連絡ください。