群馬県邑楽郡大泉町大字寄木戸(西小泉駅)の土地:物件詳細
交通 所在地 |
駅徒歩 |
価格 坪単価 |
土地面積(坪数) 私道負担面積 |
引渡方法 最適用途 |
建ぺい率 容積率 |
東武小泉線/西小泉
群馬県邑楽郡大泉町大字寄木戸
|
33分
|
628万円
12.51万円
|
166.00m²
(50.21坪)
-
|
更地渡
住宅用地
|
60%
200%
|
地形図等
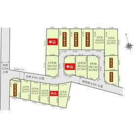
〈区割図〉全18邸のビッグコミュニティ!
|
〈現地写真〉お気軽にお問い合わせください!モデルハウスの内覧も受付中☆
|
<
その他の画像
>
|
交通 | 東武小泉線 西小泉駅 徒歩33分 |
所在地 |
群馬県邑楽郡大泉町大字寄木戸
|
物件種目 |
土地 |
価格 |
628万円 |
坪単価 |
12.51万円 |
借地期間・地代(月額) |
- |
権利金 |
- |
敷金または保証金 |
- / - |
維持費等 |
- |
その他一時金 |
- |
|
|
土地面積 |
166.00m²(公簿) |
坪数 |
50.21坪 |
最適用途 |
住宅用地 |
私道負担面積 |
- |
土地権利 |
所有権 |
都市計画 |
市街化区域 |
用途地域 |
2種中高 |
地勢 |
- |
建ぺい率 |
60% |
容積率 |
200% |
接道状況 |
北 4.2m 公道
|
地目 |
宅地 |
国土法届出 |
- |
セットバック |
- |
アピールポイント |
【POINT】
○建築条件なし!
お好みのハウスメーカーをお選びいただけます♪
○子育て環境に最適な立地!
中学校や保育園が近いのでお子様の送迎や登下校も安心です♪
〇国道407号線まで車で1分!
通勤やお出かけも多方面に行きやすい立地♪
〇車で5分圏内にスーパーやドラッグストアがあり、日々のお買い物も充実します☆彡
○大型分譲地のため子育て世代同士交流が深まり、お子様同士も仲良くなれますね☆彡
○即建築可能!!
■【0120-82-3388】へお気軽にお問い合わせください■
■【ララハウス 太田】で検索♪
最新情報を毎日更新中です!
弊社ホームページをご利用くださいませ☆☆ |
特記事項 |
分譲地内 |
備考 |
【備考】
・造成済み(水道引込、境界ブロック、フェンス)
・水道加入金別途(20mmメーター:90000円)
※外壁後退1m以上となります
※新築住宅の高さは2階建てまでとなります
|
エネルギー消費性能 |
- |
断熱性能 |
- |
目安光熱費 |
- |
バス・トイレ |
- |
キッチン |
- |
設備・サービス |
浄化槽、上水道、プロパンガス、電気 |
その他 |
- |
条件等 |
- |
現況 |
更地 |
引渡し(可能時期/方法) |
即時/更地渡 |
物件番号 |
6987979238 |
情報公開日 |
2025年10月11日 |
次回更新予定日 |
2025年10月25日 |
ケータイ用バーコード |
- スマートフォンでこの物件を見る
- スマートフォンからもこの物件をご覧になれます。
|
※「-」と表示されている項目については、情報提供会社にご確認ください。
周辺施設 |
セブンイレブン太田市古戸町店 |
距離 |
1252m |
写真を見る |
周辺施設 |
大泉町立西中学校 |
距離 |
816m |
写真を見る |
周辺施設 |
大泉町立西小学校 |
距離 |
1620m |
写真を見る |
周辺施設 |
大泉坂田郵便局 |
距離 |
1593m |
写真を見る |
周辺施設 |
ベスタ大泉 |
距離 |
2315m |
写真を見る |
周辺施設 |
とりせん東矢島店 |
距離 |
2129m |
写真を見る |
周辺施設 |
ローソン太田高林東店 |
距離 |
1850m |
写真を見る |
周辺施設 |
認定こども園みよし第二幼稚園 |
距離 |
577m |
ここから簡単にお問い合わせをすることができます。
(SSLでの暗号化での送信を希望されるお客さまは
こちら
よりお問い合わせください)
お問い合わせを行う前に
「個人情報の取り扱いについて」を必ずお読みください。
「個人情報の取り扱いについて」に同意いただいた場合は「上記にご同意の上 確認画面へ進む」のボタンをクリックしてください。
個人情報の取り扱いについて
皆さまが送付された個人情報はアットホーム(株)のサーバを経由し、お問い合わせ先の不動産会社にメールまたはFAXにて転送されるためアットホーム(株)にも保管されます。アットホーム(株)で保管された個人情報の取り扱いについては、【こちら】をご覧ください。
また、本画面でご記入いただいた個人情報は、お問い合わせ先の不動産会社でも保管します。 お問い合わせ先の不動産会社が保管する個人情報の取り扱いについては、不動産会社に直接お問い合わせください。
国土交通大臣免許(1)第9970号 |
---|
- 交通:
- 東武伊勢崎線/太田駅 徒歩14分
- 群馬県太田市新井町520-10
- TEL:
- 0120-82-3388
- FAX:
- 0276-47-3389
- 所属団体:
- (一社)群馬県宅地建物取引業協会会員(公社)首都圏不動産公正取引協議会加盟
取引態様:売主  - 00160680
|
- スマートフォンで
この不動産会社を見る

|
- 提携サイト等より掲載されている物件情報につきましては、不動産会社詳細情報にリンクされていないものがあります。
- 物件に関するお問合せは、物件詳細ページの「情報提供会社」に表示されている不動産会社へ直接お願いいたします。
- 間取図は、現況を優先させていただきます。
- 映像は物件の一部を撮影したものです。物件の契約にあたっての最終判断はご自身の判断に基づいて行ってください。
- 仲介手数料について

アットホームは物件情報の適正化に努めております。
内容に誤りがある場合にはこちらへご連絡ください。