栃木県塩谷郡高根沢町大字宝積寺(宝積寺駅)の土地:物件詳細
交通 所在地 |
駅徒歩 |
価格 坪単価 |
土地面積(坪数) 私道負担面積 |
引渡方法 最適用途 |
建ぺい率 容積率 |
|
JR東北本線/宝積寺
栃木県塩谷郡高根沢町大字宝積寺
|
11分
|
1,250万円
16.90万円
|
244.52m²
(73.96坪)
なし
|
-
住宅用地
|
70%
200%
|
|
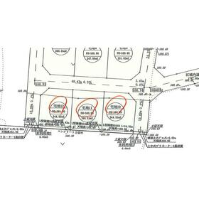
地形図等
12号地
|
外観
徒歩圏内商業施設多数♪
|
その他の画像
|
| 交通 | JR東北本線 宝積寺駅 徒歩11分 |
|---|
| その他の交通 | JR烏山線 宝積寺駅 徒歩11分 |
| 所在地 |
栃木県塩谷郡高根沢町大字宝積寺
|
| 物件種目 |
土地 |
| 価格 |
1,250万円 |
坪単価 |
16.90万円 |
| 借地期間・地代(月額) |
- |
権利金 |
- |
| 敷金または保証金 |
- / - |
維持費等 |
- |
| その他一時金 |
- |
|
|
| 土地面積 |
244.52m²(公簿) |
坪数 |
73.96坪 |
| 最適用途 |
住宅用地 |
私道負担面積 |
なし |
| 土地権利 |
所有権 |
都市計画 |
市街化区域 |
| 用途地域 |
1種中高 |
地勢 |
平坦 |
| 建ぺい率 |
70% |
容積率 |
200% |
| 接道状況 |
北西 6.0m 公道 位置指定有
・
西 6.0m 公道 位置指定有
|
地目 |
畑 |
| 国土法届出 |
- |
セットバック |
- |
| アピールポイント |
■おすすめPoint■
\今ならカラーセレクトできます/
厳選された基本プランをベースにライフスタイルにあわせた自分らしい住まいに♪
外観デザインはそのままに、プランをカスタマイズ♪
より理想の住まいを実現できます。
〇阿久津小学校まで徒歩13分
〇阿久津中学校まで徒歩7分
■土地面積73坪以上!
■商業施設多数
■低層住居エリアの閑静な住宅街
■耐震等級、劣化対策等級 耐風等級等の6項目最高等級取得 |
| 特記事項 |
整形地、分譲地内 |
| 備考 |
区画番号:12号地
|
| エネルギー消費性能 |
- |
| 断熱性能 |
- |
| 目安光熱費 |
- |
| バス・トイレ |
- |
| キッチン |
- |
| 設備・サービス |
上水道、下水道、プロパンガス、電気 |
| その他 |
- |
| 条件等 |
建築条件付き |
現況 |
更地 |
| 引渡し(可能時期/方法) |
相談/- |
物件番号 |
6988048790 |
| 仲介手数料 |
売買代金の3%+6万円 |
|
|
| 情報公開日 |
2025年10月26日 |
次回更新予定日 |
2025年11月9日 |
| ケータイ用バーコード |
- スマートフォンでこの物件を見る
- スマートフォンからもこの物件をご覧になれます。
|
※「-」と表示されている項目については、情報提供会社にご確認ください。
| 周辺施設 |
中津川循環器科内科クリニック |
| 距離 |
1170m |
| 周辺施設 |
フードオアシスオータニ高根沢店 |
| 距離 |
2070m |
| 周辺施設 |
セブンイレブン宝積寺店 |
| 距離 |
1070m |
ここから簡単にお問い合わせをすることができます。
(SSLでの暗号化での送信を希望されるお客さまは
こちら
よりお問い合わせください)
お問い合わせを行う前に
「個人情報の取り扱いについて」を必ずお読みください。
「個人情報の取り扱いについて」に同意いただいた場合は「上記にご同意の上 確認画面へ進む」のボタンをクリックしてください。
個人情報の取り扱いについて
皆さまが送付された個人情報はアットホーム(株)のサーバを経由し、お問い合わせ先の不動産会社にメールまたはFAXにて転送されるためアットホーム(株)にも保管されます。アットホーム(株)で保管された個人情報の取り扱いについては、【こちら】をご覧ください。
また、本画面でご記入いただいた個人情報は、お問い合わせ先の不動産会社でも保管します。 お問い合わせ先の不動産会社が保管する個人情報の取り扱いについては、不動産会社に直接お問い合わせください。
茨城県知事免許(1)第7430号 |
|---|
- 交通:
- JR東北本線/古河駅 徒歩95分
- 茨城県古河市水海字白山台2346-3
- TEL:
- 0280-33-3633
- FAX:
- 0280-33-3637
- 所属団体:
- (公社)全日本不動産協会会員(公社)首都圏不動産公正取引協議会加盟
取引態様:一般媒介  - 00270409
|
- スマートフォンで
この不動産会社を見る

|
- 提携サイト等より掲載されている物件情報につきましては、不動産会社詳細情報にリンクされていないものがあります。
- 物件に関するお問合せは、物件詳細ページの「情報提供会社」に表示されている不動産会社へ直接お願いいたします。
- 間取図は、現況を優先させていただきます。
- 映像は物件の一部を撮影したものです。物件の契約にあたっての最終判断はご自身の判断に基づいて行ってください。
- 仲介手数料について

アットホームは物件情報の適正化に努めております。
内容に誤りがある場合にはこちらへご連絡ください。