東京都大田区鵜の木1丁目(鵜の木駅)の土地:物件詳細
交通 所在地 |
駅徒歩 |
価格 坪単価 |
土地面積(坪数) 私道負担面積 |
引渡方法 最適用途 |
建ぺい率 容積率 |
|
東急多摩川線/鵜の木
東京都大田区鵜の木1丁目
|
3分
|
8,680万円
232.54万円
|
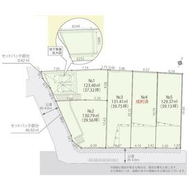
123.40m²
(37.32坪)
-
|
更地渡
住宅用地
|
50%
100%
|
|
地形図等
37.32坪・車並列2台
|
外観
鵜の木駅まで徒歩3分売地
|
<
その他の画像
>
|
| 交通 | 東急多摩川線 鵜の木駅 徒歩3分 |
|---|
| その他の交通 | 東急多摩川線 下丸子駅 徒歩9分 東急池上線 久が原駅 徒歩11分 |
| 所在地 |
東京都大田区鵜の木1丁目
|
| 物件種目 |
土地 |
| 価格 |
8,680万円 |
坪単価 |
232.54万円 |
| 借地期間・地代(月額) |
- |
権利金 |
- |
| 敷金または保証金 |
- / - |
維持費等 |
- |
| その他一時金 |
- |
|
|
| 土地面積 |
123.40m² |
坪数 |
37.32坪 |
| 最適用途 |
住宅用地 |
私道負担面積 |
- |
| 土地権利 |
所有権 |
都市計画 |
市街化区域 |
| 用途地域 |
1種低層 |
地勢 |
- |
| 建ぺい率 |
50% |
容積率 |
100% |
| 接道状況 |
西 4.0m 公道
|
地目 |
宅地 |
| 国土法届出 |
- |
セットバック |
- |
| アピールポイント |
駅チカ徒歩3分・全5区画35坪以上確保!
お好きなハウスメーカーで建築できます
最終3区画になりました。
現地ご案内いたします。
---------
駅周辺毎日のお買い物便利大型スーパーあります♪
◆インフォメーション
・マルエツ鵜の木店徒歩4分
・スーパーライフ鵜の木店8分
・スギ薬局鵜の木店徒歩9分
・東調布第三小学校徒歩6分
・大森第七中学校徒歩11分
・目蒲病院徒歩15分
---------
◆現地ご案内◆
ご自宅前までのお迎え・最寄り駅等でお待ち合わせなどもお気軽にお申しつけください。
周辺環境資料や、お客様の希望に合わせた物件をご準備させて頂きます。
◆資金計画について◆
ご相談、無料で行っております。(弊社住宅ローンアドバイザー)
-------
お客様には、実際の現地をご覧いただく販売活動を心がけております。
住宅ロ-ンお気軽にご相談ください。
資料請求はお気軽にどうぞ。 |
| 特記事項 |
- |
| 備考 |
区画番号:全5区NO.1
|
| エネルギー消費性能 |
- |
| 断熱性能 |
- |
| 目安光熱費 |
- |
| バス・トイレ |
- |
| キッチン |
- |
| 設備・サービス |
上水道、下水道、都市ガス、電気 |
| その他 |
- |
| 条件等 |
- |
現況 |
更地 |
| 引渡し(可能時期/方法) |
相談/更地渡 |
物件番号 |
6988216389 |
| 情報公開日 |
2025年10月31日 |
次回更新予定日 |
2025年11月14日 |
| ケータイ用バーコード |
- スマートフォンでこの物件を見る
- スマートフォンからもこの物件をご覧になれます。
|
※「-」と表示されている項目については、情報提供会社にご確認ください。
| 周辺施設 |
マルエツ鵜の木店 |
| 距離 |
287m |
写真を見る |
| 周辺施設 |
大田区立東調布第三小学校 |
| 距離 |
450m |
写真を見る |
| 周辺施設 |
スーパーライフ鵜の木店 |
| 距離 |
627m |
写真を見る |
| 周辺施設 |
大田区立大森第七中学校 |
| 距離 |
850m |
写真を見る |
| 周辺施設 |
大田区立大田図書館 |
| 距離 |
1087m |
写真を見る |
| 周辺施設 |
医療法人社団秀輝会目蒲病院 |
| 距離 |
1160m |
写真を見る |
ここから簡単にお問い合わせをすることができます。
(SSLでの暗号化での送信を希望されるお客さまは
こちら
よりお問い合わせください)
お問い合わせを行う前に
「個人情報の取り扱いについて」を必ずお読みください。
「個人情報の取り扱いについて」に同意いただいた場合は「上記にご同意の上 確認画面へ進む」のボタンをクリックしてください。
個人情報の取り扱いについて
皆さまが送付された個人情報はアットホーム(株)のサーバを経由し、お問い合わせ先の不動産会社にメールまたはFAXにて転送されるためアットホーム(株)にも保管されます。アットホーム(株)で保管された個人情報の取り扱いについては、【こちら】をご覧ください。
また、本画面でご記入いただいた個人情報は、お問い合わせ先の不動産会社でも保管します。 お問い合わせ先の不動産会社が保管する個人情報の取り扱いについては、不動産会社に直接お問い合わせください。
東京都知事免許(8)第63818号 |
|---|
- 交通:
- 東急多摩川線/矢口渡駅 徒歩2分
- 東京都大田区多摩川1丁目9-1 アーバンハイムZEN1F
- TEL:
- 0120-971-752
- FAX:
- 03-5482-1723
- 所属団体:
- (公社)全日本不動産協会会員(公社)首都圏不動産公正取引協議会加盟
取引態様:媒介  - 00121094
|
- スマートフォンで
この不動産会社を見る

|
- 提携サイト等より掲載されている物件情報につきましては、不動産会社詳細情報にリンクされていないものがあります。
- 物件に関するお問合せは、物件詳細ページの「情報提供会社」に表示されている不動産会社へ直接お願いいたします。
- 間取図は、現況を優先させていただきます。
- 映像は物件の一部を撮影したものです。物件の契約にあたっての最終判断はご自身の判断に基づいて行ってください。
- 仲介手数料について

アットホームは物件情報の適正化に努めております。
内容に誤りがある場合にはこちらへご連絡ください。