不動産 賃貸 マンション等の住宅情報:埼玉住まい情報


静岡県伊豆の国市奈古谷(原木駅)の土地:物件詳細

  • 物件詳細
  • 情報の見方
  • 印刷用画面
交通
所在地
駅徒歩 価格
坪単価
土地面積(坪数)
私道負担面積
引渡方法
最適用途
建ぺい率
容積率

伊豆箱根鉄道駿豆線/原木

静岡県伊豆の国市奈古谷

30分

1,280万円

9.66万円

438.13m² (132.53坪)

なし

現況渡

住宅用地

50%

80%

おすすめコメント

南面道路沿いのため 日当たり良好!約132坪の広い敷地です。家族の一員の犬のドッグラン・優雅にウッドデッキでお友達とティータイムはいかがでしょうか 夢が広がります!!

地形図等

地形図等

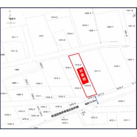
公図一部抜粋 赤枠が対象物件となります。

地形図等

地形図等

敷地広々132.53坪!

<
その他の画像
  • 外観
  • 外観
  • 外観
  • 周辺環境
  • 周辺環境
  • ショッピング施設
  • コンビニ
  • コンビニ
  • 小学校
  • 幼稚園、保育園
  • 病院
  • レジャー・観光
  • レジャー・観光
>
    • とりあえず保存
    • お問い合わせ
    交通

    伊豆箱根鉄道駿豆線 原木駅 徒歩30分

    所在地 静岡県伊豆の国市奈古谷
    物件種目 土地
    価格 1,280万円 坪単価 9.66万円
    借地期間・地代(月額) 権利金
    敷金または保証金 - / - 維持費等
    その他一時金    
    土地面積 438.13m²(実測) 坪数 132.53坪
    最適用途 住宅用地 私道負担面積 なし
    土地権利 所有権 都市計画 調整区域
    用途地域 無指定 地勢 平坦
    建ぺい率 50% 容積率 80%
    接道状況 南 10.0m 公道 接面9.8m 地目 宅地
    国土法届出 セットバック
    アピールポイント 南面道路沿いのため 日当たり良好!約132坪の広い敷地です。建築条件は付いておりませんので お気に入りの建築会社・ハウスメーカーで建築していただけます。
    家族の一員の犬のドッグラン!優雅にウッドデッキでお友達とティータイム! 子供たちと自家菜園で新鮮な無農薬野菜を育てるのも楽しいですね! 敷地が広いので色々な 夢が広がります!! 前面道路の県道ですが道なりに北方向に行きますと函南町の畑毛温泉地を抜け熱海方面の熱函道路や三島市・長泉・裾野市・沼津東名高速道路方面の伊豆縦貫道へのアクセスがとても楽です。なぜなら信号機が少なくスムースに抜けることができます。
    ★子育て応援!! 伊豆の国市では 奈古谷エリアの小学生は バス通学が認められています.家計にも優しく通学バス料金は伊豆の国市から子供たちに支給されるのでとてもありがたいお話しですね。★奈古谷にも 知る人ぞ知る温泉があります! 奈古谷はのどかで良いところです!ぜひ一度足を運んでみてください!
    特記事項 整形地
    備考
    法令等制限:住宅建築計画時都市計画法第43条申請必要。既存宅地認定あり。
    ★設備・機能欄の・プロパンガス・電気・上水道・浄化槽・側溝は引き込み及び設置が可能となります。★北側の市道を利用したい場合、敷地と市道の間に水路がある為河川占用許可申請が必要となります。★市街化調整区域のため住宅等を建築する場合 都市計画法第43条申請が必要となります。★既存宅地認定あり。取得日:平成13年6月18日 沼土都第5-682号★建築できる建物は 一般住宅・店舗付住宅(市に要相談)・共同住宅等になります。工場・倉庫・事務所等の建築は不可。★市街化調整区域のため 県・市の指導規制がありますので
    必ず伊豆の国市都市計画課及び建設課に事前相談が必須となります。●区画は2つの筆を一対での販売となります。
    エネルギー消費性能
    断熱性能
    目安光熱費
    バス・トイレ
    キッチン
    設備・サービス 浄化槽、上水道、プロパンガス、電気、側溝
    その他
    条件等 現況 更地
    引渡し(可能時期/方法) 即時/現況渡 物件番号 6988294954
    仲介手数料 売買代金の3%+6万円    
    情報公開日 2025年11月9日 次回更新予定日 2025年12月16日
    ケータイ用バーコード

    QRコード

    スマートフォンでこの物件を見る
    スマートフォンからもこの物件をご覧になれます。
    ※「-」と表示されている項目については、情報提供会社にご確認ください。

    この物件の周辺情報

    周辺施設 マックスバリュエクスプレス韮山店
    距離 2793m
    周辺施設 ファミリーマート函南畑毛店
    距離 2020m
    周辺施設 セブンイレブン伊豆の国四日町北店
    距離 2348m
    周辺施設 伊豆の国市立韮山小学校
    距離 3042m
    周辺施設 伊豆の国市立富士美幼稚園
    距離 1644m
    周辺施設 NTT東日本伊豆病院
    距離 2967m
    周辺施設 韮山運動公園
    距離 1300m
    周辺施設 畑毛温泉
    距離 1199m

    クイックお問い合わせ

    ここから簡単にお問い合わせをすることができます。
    (SSLでの暗号化での送信を希望されるお客さまは こちら よりお問い合わせください)

    お問い合わせ内容(必須)
    お名前(必須) 姓  名 
    メールアドレス(必須)
    ※携帯電話のメールアドレスをご入力される方はこちらをご確認ください
    電話番号(必須)
    - -

    ※入力いただいた電話番号へSMSまたは音声でパスワードをご連絡します。

    携帯電話の番号をご入力の方へ

    携帯電話の番号をご入力の方へ
    確認画面にて送信ボタンをクリックするとSMSが携帯電話に届きます。
    そのSMSに記載のパスワード(認証番号)を入力し、お問い合わせを完了してください。
    尚、SMSの送信者番号は 0005 202 760 となります。
    これはアットホームの固定番号です。

    備考欄 希望条件、物件案内希望日、質問などがございましたらご記入ください。
    お問い合わせを行う前に「個人情報の取り扱いについて」を必ずお読みください。
    「個人情報の取り扱いについて」に同意いただいた場合は「上記にご同意の上 確認画面へ進む」のボタンをクリックしてください。

    個人情報の取り扱いについて

    皆さまが送付された個人情報はアットホーム(株)のサーバを経由し、お問い合わせ先の不動産会社にメールまたはFAXにて転送されるためアットホーム(株)にも保管されます。アットホーム(株)で保管された個人情報の取り扱いについては、【こちら】をご覧ください。
    また、本画面でご記入いただいた個人情報は、お問い合わせ先の不動産会社でも保管します。 お問い合わせ先の不動産会社が保管する個人情報の取り扱いについては、不動産会社に直接お問い合わせください。

    情報提供会社

    情報提供会社

    ベリー不動産 (株)フゲン

    国土交通大臣免許(1)第10251号

    交通:
    【バス】 宮下入口 停歩14分
    静岡県沼津市岡宮1354-10 ベニヤ第3ビル1F
    TEL:
    055-957-6007
    FAX:
    055-957-6117
    所属団体:
    (公社)全日本不動産協会会員
    東海不動産公正取引協議会加盟

    取引態様:一般媒介

    • 会社情報
    • 40408032
    スマートフォンで
    この不動産会社を見る
    QRコード
    • とりあえず保存
    • お問い合わせ
    • 提携サイト等より掲載されている物件情報につきましては、不動産会社詳細情報にリンクされていないものがあります。
    • 物件に関するお問合せは、物件詳細ページの「情報提供会社」に表示されている不動産会社へ直接お願いいたします。
    • 間取図は、現況を優先させていただきます。
    • 映像は物件の一部を撮影したものです。物件の契約にあたっての最終判断はご自身の判断に基づいて行ってください。
    • 仲介手数料について仲介手数料

    アットホームは物件情報の適正化に努めております。 内容に誤りがある場合にはこちらへご連絡ください。

    【埼玉住まい情報】では、日本全国の物件から賃貸マンションや賃貸アパート・賃貸一戸建て等の賃貸住宅情報、新築マンション・分譲マンションや中古マンション等の売買マンション情報、新築一戸建てや中古一戸建てなどの戸建住宅、 土地など、総合的な不動産住宅情報検索サービスを提供致します。
    【埼玉住まい情報】から、選りすぐりの不動産物件を探してみましょう。

    【免責事項】
    このコーナーの運営はアットホーム株式会社(https://www.athome.co.jp/)が行っています。
    このコーナーに掲載している物件情報は、「アットホーム不動産情報ネットワーク」に加盟する不動産会社等(情報提供元)から提供されています。信頼性の高い情報提供が行えるよう、最大限の努力をしておりますが、その内容を保証するものではありません。 利用者のみなさまと各情報提供元との取引に起因する損害および情報が掲載されたことに起因する損害等については、株式会社イーシティ埼玉、およびアットホームは一切責任を負いません。
    各物件情報の内容や画像等はすべて現況を優先させていただきます。
    お取引等(お取引の準備、資金調達等を含みます)の際には、内容や契約条件等について、各情報提供元より十分な説明を受け、ご自身でご確認の上、判断してください。
    このコーナーへの物件情報のご掲載、その他不動産業務ソリューション等についての不動産会社様のお問合せはこちらからお願いいたします。

    物件画像: