福岡県行橋市泉中央8丁目(南行橋駅)の土地:物件詳細
交通 所在地 |
駅徒歩 |
価格 坪単価 |
土地面積(坪数) 私道負担面積 |
引渡方法 最適用途 |
建ぺい率 容積率 |
|
JR日豊本線/南行橋
福岡県行橋市泉中央8丁目
|
17分
|
1,121.2万円
12.49万円
|
296.78m²
(89.77坪)
なし
|
更地渡
住宅用地
|
70%
200%
|
|
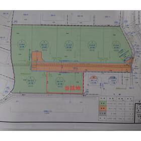
地形図等
|
|
その他の画像
|
| 交通 | JR日豊本線 南行橋駅 徒歩17分 |
| 所在地 |
福岡県行橋市泉中央8丁目
|
| 物件種目 |
土地 |
| 価格 |
1,121.2万円 |
坪単価 |
12.49万円 |
| 借地期間・地代(月額) |
- |
権利金 |
- |
| 敷金または保証金 |
- / - |
維持費等 |
- |
| その他一時金 |
水路利用料:50,000円、水道負担金:165,000円 |
|
|
| 土地面積 |
296.78m²(実測) |
坪数 |
89.77坪 |
| 最適用途 |
住宅用地 |
私道負担面積 |
なし |
| 土地権利 |
所有権 |
都市計画 |
非線引区域 |
| 用途地域 |
無指定 |
地勢 |
平坦 |
| 建ぺい率 |
70% |
容積率 |
200% |
| 接道状況 |
北 6.0m 公道 位置指定有 接面22.0m
|
地目 |
宅地 |
| 国土法届出 |
- |
セットバック |
- |
| 特記事項 |
- |
| 備考 |
区画番号:7号地
工事完了予定日:2026年6月
開発面積:2,563.32m²・販売総面積:2,172.38m²
※この土地は現況有姿分譲地ですから、住宅等を建築して生活するために必要とされる施設はありません。
電気を供給するため、宅地内に電柱を建柱する場合があります。
土地購入者は、農地法の規定により土地売買契約後おおむね3ヶ月以内に、任意の建設会社と建築請負契約を締結する必要があります。
|
| エネルギー消費性能 |
- |
| 断熱性能 |
- |
| 目安光熱費 |
- |
| バス・トイレ |
- |
| キッチン |
- |
| 設備・サービス |
上水道、プロパンガス、電気、側溝 |
| その他 |
- |
| 条件等 |
- |
現況 |
更地 |
| 引渡し(可能時期/方法) |
2026年6月中旬予定/更地渡 |
物件番号 |
6988376327 |
| 情報公開日 |
2025年11月17日 |
次回更新予定日 |
2025年12月23日 |
| ケータイ用バーコード |
- スマートフォンでこの物件を見る
- スマートフォンからもこの物件をご覧になれます。
|
※「-」と表示されている項目については、情報提供会社にご確認ください。
| 周辺施設 |
ローソン行橋泉中央四丁目店 |
| 距離 |
843m |
| 周辺施設 |
セブンイレブン行橋西泉4丁目店 |
| 距離 |
897m |
| 周辺施設 |
スーパーセンタートライアル行橋店 |
| 距離 |
1358m |
ここから簡単にお問い合わせをすることができます。
(SSLでの暗号化での送信を希望されるお客さまは
こちら
よりお問い合わせください)
お問い合わせを行う前に
「個人情報の取り扱いについて」を必ずお読みください。
「個人情報の取り扱いについて」に同意いただいた場合は「上記にご同意の上 確認画面へ進む」のボタンをクリックしてください。
個人情報の取り扱いについて
皆さまが送付された個人情報はアットホーム(株)のサーバを経由し、お問い合わせ先の不動産会社にメールまたはFAXにて転送されるためアットホーム(株)にも保管されます。アットホーム(株)で保管された個人情報の取り扱いについては、【こちら】をご覧ください。
また、本画面でご記入いただいた個人情報は、お問い合わせ先の不動産会社でも保管します。 お問い合わせ先の不動産会社が保管する個人情報の取り扱いについては、不動産会社に直接お問い合わせください。
福岡県知事免許(2)第18497号 |
|---|
- 交通:
- JR日豊本線/南行橋駅
- 福岡県行橋市泉中央5丁目2番22号
- TEL:
- 0930-55-2145
- 所属団体:
- (公社)福岡県宅地建物取引業協会会員(一社)九州不動産公正取引協議会加盟
取引態様:売主  - 80504585
|
- スマートフォンで
この不動産会社を見る

|
- 提携サイト等より掲載されている物件情報につきましては、不動産会社詳細情報にリンクされていないものがあります。
- 物件に関するお問合せは、物件詳細ページの「情報提供会社」に表示されている不動産会社へ直接お願いいたします。
- 間取図は、現況を優先させていただきます。
- 映像は物件の一部を撮影したものです。物件の契約にあたっての最終判断はご自身の判断に基づいて行ってください。
- 仲介手数料について

アットホームは物件情報の適正化に努めております。
内容に誤りがある場合にはこちらへご連絡ください。