埼玉県春日部市赤沼(せんげん台駅)の土地:物件詳細
交通 所在地 |
駅徒歩 |
価格 坪単価 |
土地面積(坪数) 私道負担面積 |
引渡方法 最適用途 |
建ぺい率 容積率 |
|
東武伊勢崎線/せんげん台 【バス】10分 赤沼 停歩8分
埼玉県春日部市赤沼
|
-
|
800万円
8.81万円
|
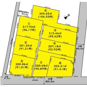
300.48m²
(90.89坪)
-
|
現況渡
住宅用地
|
70%
200%
|
|
地形図等
春日部市の市街化調整区域で、建築をご検討中の方はライブリック不動産にお任せ下さい!
|
春日部市の市街化調整区域で、建築をご検討中の方はライブリック不動産にお任せ下さい!
|
その他の画像
|
| 交通 | 東武伊勢崎線 せんげん台駅 【バス】 10分 赤沼 停歩8分 |
| 所在地 |
埼玉県春日部市赤沼
|
| 物件種目 |
土地 |
| 価格 |
800万円 |
坪単価 |
8.81万円 |
| 借地期間・地代(月額) |
- |
権利金 |
- |
| 敷金または保証金 |
- / - |
維持費等 |
- |
| その他一時金 |
- |
|
|
| 土地面積 |
300.48m²(公簿) |
坪数 |
90.89坪 |
| 最適用途 |
住宅用地 |
私道負担面積 |
- |
| 土地権利 |
所有権 |
都市計画 |
調整区域 |
| 用途地域 |
無指定 |
地勢 |
平坦 |
| 建ぺい率 |
70% |
容積率 |
200% |
| 接道状況 |
北東 6.0m 公道 接面4.5m
・
南東 5.8m 公道 接面12.1m
|
地目 |
畑 |
| 国土法届出 |
- |
セットバック |
要 |
| アピールポイント |
【フルス(住)マイル紹介キャンペーン実施中】
お知り合いの方をご紹介下さい!!誠心誠意、誠実にご対応します。
お知り合いをご紹介いただき、ご成約になりますと素敵な特典をプレゼント。
ご紹介者様には10万円、ご契約者様には成約特典として3~5万円分相当のギフト等をプレゼント!(特典は当社一定基準を設けており、当社規定によります。詳細はお問い合わせください)
【買取保証付き売却】
お客様の大切な不動産をライブリック不動産にお任せください。
「仲介」での販売、「買取」、「賃貸管理」何でも出来ます、やります!
お客様のご希望等や状況等を丁寧にお伺いし、ご要望にお応え出来るよう最善の提案を致します。
買取は当社のみではなく他社(同業者)とも連携し、高価買取且つスピーディーな対応を致します。早期現金化が可能です。
ご希望期間で成約に至らなかった場合、予め設定させて頂きました金額で買取致します。
戸建、土地(農地含む)、マンション売却の販売及び買取はライブリック不動産まで! |
| 特記事項 |
- |
| 備考 |
☆全8区画
☆全区画300㎡超え
☆建築条件なし
☆お好きなハウスメーカーで建築可能
☆ローソン約110m
☆カインズ約850m
☆豊野小学校約1.5㎞
☆豊野中学校約2.2㎞
※①②③区画要セットバック(上記接道はセットバック後の寸法で表記しています)
※要農地転用・開発許可(買主負担66万円)
※水道引込工事・水道分担金・造成工事(買主負担)
※①区画は40m、②区画は約25m先の本管より取出工事が必要です。なお、他の区画は前面道路より取出ができます。
※南側に水路があります。
※分筆登記前につき有効面積が増減する場合があります。
※電柱が敷地内に埋設される場合があります。
※土地家屋調査士・司法書士売主指定
※図面と現況が異なる場合は、現況を優先します
※本物件は、市街化調整区域につき原則建築不可。
但し、春日部市及び隣接する市町村(さいたま市、越谷市、松伏町、白岡市、杉戸町、宮代町、千葉県野田市)の市街化調整区域に継続して20年以上居住する3親等以内の親族を有する方は専用住宅の建築が可能です。
詳しくはお尋ね下さい。
|
| エネルギー消費性能 |
- |
| 断熱性能 |
- |
| 目安光熱費 |
- |
| バス・トイレ |
- |
| キッチン |
- |
| 設備・サービス |
浄化槽、上水道、プロパンガス、電気 |
| その他 |
- |
| 条件等 |
- |
現況 |
更地 |
| 引渡し(可能時期/方法) |
相談/現況渡 |
物件番号 |
6988633589 |
| 情報公開日 |
2025年12月5日 |
次回更新予定日 |
2026年2月23日 |
| ケータイ用バーコード |
- スマートフォンでこの物件を見る
- スマートフォンからもこの物件をご覧になれます。
|
※「-」と表示されている項目については、情報提供会社にご確認ください。
ここから簡単にお問い合わせをすることができます。
(SSLでの暗号化での送信を希望されるお客さまは
こちら
よりお問い合わせください)
お問い合わせを行う前に
「個人情報の取り扱いについて」を必ずお読みください。
「個人情報の取り扱いについて」に同意いただいた場合は「上記にご同意の上 確認画面へ進む」のボタンをクリックしてください。
個人情報の取り扱いについて
皆さまが送付された個人情報はアットホーム(株)のサーバを経由し、お問い合わせ先の不動産会社にメールまたはFAXにて転送されるためアットホーム(株)にも保管されます。アットホーム(株)で保管された個人情報の取り扱いについては、【こちら】をご覧ください。
また、本画面でご記入いただいた個人情報は、お問い合わせ先の不動産会社でも保管します。 お問い合わせ先の不動産会社が保管する個人情報の取り扱いについては、不動産会社に直接お問い合わせください。
埼玉県知事免許(1)第24750号 |
|---|
- 交通:
- 東武伊勢崎線/越谷駅 徒歩11分
- 埼玉県越谷市越ヶ谷本町5番24号
- TEL:
- 048-940-0980
- FAX:
- 048-940-0981
- 所属団体:
- (公社)埼玉県宅地建物取引業協会会員(公社)首都圏不動産公正取引協議会加盟
取引態様:代理  - 00272279
|
- スマートフォンで
この不動産会社を見る

|
- 提携サイト等より掲載されている物件情報につきましては、不動産会社詳細情報にリンクされていないものがあります。
- 物件に関するお問合せは、物件詳細ページの「情報提供会社」に表示されている不動産会社へ直接お願いいたします。
- 間取図は、現況を優先させていただきます。
- 映像は物件の一部を撮影したものです。物件の契約にあたっての最終判断はご自身の判断に基づいて行ってください。
- 仲介手数料について

アットホームは物件情報の適正化に努めております。
内容に誤りがある場合にはこちらへご連絡ください。