神奈川県横浜市青葉区すすき野1丁目(あざみ野駅)の土地:物件詳細
交通 所在地 |
駅徒歩 |
価格 坪単価 |
土地面積(坪数) 私道負担面積 |
引渡方法 最適用途 |
建ぺい率 容積率 |
|
東急田園都市線/あざみ野 [バス利用可] バス 9分 すすき野一丁目 停歩5分
神奈川県横浜市青葉区すすき野1丁目
|
32分
|
3,300万円
108.06万円
|
100.96m²
(30.54坪)
有 15.89m²
|
相談
住宅用地
|
60%
150%
|
|
地形図等
|
外観
|
その他の画像
|
| 交通 | 東急田園都市線 あざみ野駅 徒歩32分 [バス利用可] バス 9分 すすき野一丁目 停歩5分 |
|---|
| その他の交通 | 東急田園都市線 たまプラーザ駅 徒歩39分 |
| 所在地 |
神奈川県横浜市青葉区すすき野1丁目
|
| 物件種目 |
土地 |
| 価格 |
3,300万円 |
坪単価 |
108.06万円 |
| 借地期間・地代(月額) |
- |
権利金 |
- |
| 敷金または保証金 |
- / - |
維持費等 |
- |
| その他一時金 |
- |
|
|
| 土地面積 |
100.96m²(公簿) |
坪数 |
30.54坪 |
| 最適用途 |
住宅用地 |
私道負担面積 |
有 15.89m² |
| 土地権利 |
所有権 |
都市計画 |
市街化区域 |
| 用途地域 |
1種中高 |
地勢 |
- |
| 建ぺい率 |
60% |
容積率 |
150% |
| 接道状況 |
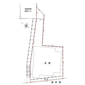
北西 45.0m 私道 位置指定有 接面3.1m
|
地目 |
宅地 |
| 国土法届出 |
- |
セットバック |
- |
| アピールポイント |
■【REDS不動産流通システム】では本物件の仲介手数料は¥768,075です(物件価格の2.025%+3万円+消費税)。
■話題のTVドラマ『正直不動産』で考証を担当した【REDS】不動産流通システムです。「正直な不動産営業」をトコトン目指します。
【REDS不動産流通システムの特徴】
★話題のTVドラマ『正直不動産』で考証を担当。TV・雑誌など多くのメディアで紹介されています。
★REDSでは仲介手数料が必ず『割引』、『最大無料』になります。
★こちらの物件以外でもREDSが物件をお取扱いする場合には必ず『割引』、『最大無料』になります。
★「ローン事務手数料」「ローン代行手数料」等をお客様に請求することは一切ありません。
★豊富な提携先金融機関のご紹介にあたっての「紹介手数料」も無料です!
★REDSの営業担当エージェントは全員『宅建士』の資格を所持。経験を積んだプロフェッショナルな集団です。
★” 現地集合と現地解散 ” でご見学をいただけます。お客様が望まない営業活動は行わず、ご希望を叶えるためのサポートをいたします。 |
| 特記事項 |
- |
| 備考 |
-
|
| エネルギー消費性能 |
- |
| 断熱性能 |
- |
| 目安光熱費 |
- |
| バス・トイレ |
- |
| キッチン |
- |
| 設備・サービス |
上水道、下水道、都市ガス |
| その他 |
- |
| 条件等 |
- |
現況 |
建物有 |
| 引渡し(可能時期/方法) |
相談/相談 |
物件番号 |
6988638989 |
| 仲介手数料 |
77万円 |
|
|
| 情報公開日 |
2025年12月4日 |
次回更新予定日 |
2025年12月18日 |
| ケータイ用バーコード |
- スマートフォンでこの物件を見る
- スマートフォンからもこの物件をご覧になれます。
|
※「-」と表示されている項目については、情報提供会社にご確認ください。
| 周辺施設 |
セブンイレブン横浜すすき野2丁目店 |
| 距離 |
255m |
ここから簡単にお問い合わせをすることができます。
(SSLでの暗号化での送信を希望されるお客さまは
こちら
よりお問い合わせください)
お問い合わせを行う前に
「個人情報の取り扱いについて」を必ずお読みください。
「個人情報の取り扱いについて」に同意いただいた場合は「上記にご同意の上 確認画面へ進む」のボタンをクリックしてください。
個人情報の取り扱いについて
皆さまが送付された個人情報はアットホーム(株)のサーバを経由し、お問い合わせ先の不動産会社にメールまたはFAXにて転送されるためアットホーム(株)にも保管されます。アットホーム(株)で保管された個人情報の取り扱いについては、【こちら】をご覧ください。
また、本画面でご記入いただいた個人情報は、お問い合わせ先の不動産会社でも保管します。 お問い合わせ先の不動産会社が保管する個人情報の取り扱いについては、不動産会社に直接お問い合わせください。
国土交通大臣免許(2)第9770号 |
|---|
- 交通:
- JR山手線/新宿駅 徒歩3分
- 東京都新宿区西新宿1丁目8-1 新宿ビルディング9F
- TEL:
- 03-6281-8401
- FAX:
- 03-6281-8403
- 所属団体:
- (公社)全日本不動産協会会員(公社)首都圏不動産公正取引協議会加盟
取引態様:専任媒介  - 00103780
|
- スマートフォンで
この不動産会社を見る

|
- 提携サイト等より掲載されている物件情報につきましては、不動産会社詳細情報にリンクされていないものがあります。
- 物件に関するお問合せは、物件詳細ページの「情報提供会社」に表示されている不動産会社へ直接お願いいたします。
- 間取図は、現況を優先させていただきます。
- 映像は物件の一部を撮影したものです。物件の契約にあたっての最終判断はご自身の判断に基づいて行ってください。
- 仲介手数料について

アットホームは物件情報の適正化に努めております。
内容に誤りがある場合にはこちらへご連絡ください。