神奈川県横浜市鶴見区上末吉1丁目(鶴見駅)の土地:物件詳細
交通 所在地 |
駅徒歩 |
価格 坪単価 |
土地面積(坪数) 私道負担面積 |
引渡方法 最適用途 |
建ぺい率 容積率 |
|
JR京浜東北線/鶴見 【バス】9分 末吉不動前 停歩4分
神奈川県横浜市鶴見区上末吉1丁目
|
-
|
3,410万円
109.11万円
|
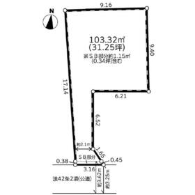
103.32m²
(31.25坪)
-
|
相談
住宅用地
|
60%
150%
|
|
地形図等
|
外観
古屋解体前です。
|
その他の画像
|
| 交通 | JR京浜東北線 鶴見駅 【バス】 9分 末吉不動前 停歩4分 |
|---|
| その他の交通 | 東急東横線 綱島駅 【バス】 15分 末吉不動前 停歩4分 JR横浜線 新横浜駅 【バス】 24分 末吉不動前 停歩4分 |
| 所在地 |
神奈川県横浜市鶴見区上末吉1丁目
|
| 物件種目 |
土地 |
| 価格 |
3,410万円 |
坪単価 |
109.11万円 |
| 借地期間・地代(月額) |
- |
権利金 |
- |
| 敷金または保証金 |
- / - |
維持費等 |
- |
| その他一時金 |
- |
|
|
| 土地面積 |
103.32m² |
坪数 |
31.25坪 |
| 最適用途 |
住宅用地 |
私道負担面積 |
- |
| 土地権利 |
所有権 |
都市計画 |
市街化区域 |
| 用途地域 |
2種中高 |
地勢 |
平坦 |
| 建ぺい率 |
60% |
容積率 |
150% |
| 接道状況 |
南 3.2m 公道
|
地目 |
宅地 |
| 国土法届出 |
- |
セットバック |
要 0.34m² |
| アピールポイント |
◆---おすすめポイント---◆
《周辺環境》
末吉小学校・・・徒歩2分
末吉中学校・・・徒歩6分
ユーコープ・・・徒歩3分
ファミリーマート・・・徒歩3分
《建物参考プラン》
・構造:木造2階建て
・延床面積:100.19㎡
・建物価格:1480万円(税込)~ |
| 特記事項 |
- |
| 備考 |
この土地は、土地売買契約後3ヵ月以内に売主会社と建物の建築請負契約を締結することを条件に販売します。この期間内に建築請負契約を締結されなかった場合は、土地売買契約は白紙となり、受領した手付金等の土地代金は全てお返しします。
|
| エネルギー消費性能 |
- |
| 断熱性能 |
- |
| 目安光熱費 |
- |
| バス・トイレ |
- |
| キッチン |
- |
| 設備・サービス |
上水道、下水道、都市ガス、電気 |
| その他 |
- |
| 条件等 |
建築条件付き |
現況 |
建物有 |
| 引渡し(可能時期/方法) |
相談/相談 |
物件番号 |
6988664828 |
| 情報公開日 |
2025年12月6日 |
次回更新予定日 |
2025年12月20日 |
| ケータイ用バーコード |
- スマートフォンでこの物件を見る
- スマートフォンからもこの物件をご覧になれます。
|
※「-」と表示されている項目については、情報提供会社にご確認ください。
| 周辺施設 |
ユーコープミアクチーナ末吉店 |
| 距離 |
226m |
| 周辺施設 |
ファミリーマート鶴見上末吉店 |
| 距離 |
209m |
写真を見る |
| 周辺施設 |
横浜市立末吉中学校 |
| 距離 |
460m |
写真を見る |
| 周辺施設 |
横浜市立末吉小学校 |
| 距離 |
279m |
写真を見る |
| 周辺施設 |
社会福祉法人恩賜財団済生会横浜市東部病院 |
| 距離 |
870m |
写真を見る |
| 周辺施設 |
横浜上末吉郵便局 |
| 距離 |
709m |
写真を見る |
| 周辺施設 |
三ツ池都市緑地2号 |
| 距離 |
615m |
写真を見る |
ここから簡単にお問い合わせをすることができます。
(SSLでの暗号化での送信を希望されるお客さまは
こちら
よりお問い合わせください)
お問い合わせを行う前に
「個人情報の取り扱いについて」を必ずお読みください。
「個人情報の取り扱いについて」に同意いただいた場合は「上記にご同意の上 確認画面へ進む」のボタンをクリックしてください。
個人情報の取り扱いについて
皆さまが送付された個人情報はアットホーム(株)のサーバを経由し、お問い合わせ先の不動産会社にメールまたはFAXにて転送されるためアットホーム(株)にも保管されます。アットホーム(株)で保管された個人情報の取り扱いについては、【こちら】をご覧ください。
また、本画面でご記入いただいた個人情報は、お問い合わせ先の不動産会社でも保管します。 お問い合わせ先の不動産会社が保管する個人情報の取り扱いについては、不動産会社に直接お問い合わせください。
神奈川県知事免許(4)第27655号 |
|---|
- 交通:
- JR横浜線/大口駅 徒歩6分
- 神奈川県横浜市神奈川区大口通16-8
- TEL:
- 045-642-6405
- FAX:
- 045-642-6505
- 所属団体:
- (公社)神奈川県宅地建物取引業協会会員(公社)首都圏不動産公正取引協議会加盟
取引態様:媒介  - 00103890
|
- スマートフォンで
この不動産会社を見る

|
- 提携サイト等より掲載されている物件情報につきましては、不動産会社詳細情報にリンクされていないものがあります。
- 物件に関するお問合せは、物件詳細ページの「情報提供会社」に表示されている不動産会社へ直接お願いいたします。
- 間取図は、現況を優先させていただきます。
- 映像は物件の一部を撮影したものです。物件の契約にあたっての最終判断はご自身の判断に基づいて行ってください。
- 仲介手数料について

アットホームは物件情報の適正化に努めております。
内容に誤りがある場合にはこちらへご連絡ください。