大阪府大阪市旭区今市2丁目(太子橋今市駅)の土地:物件詳細
交通 所在地 |
駅徒歩 |
価格 坪単価 |
土地面積(坪数) 私道負担面積 |
引渡方法 最適用途 |
建ぺい率 容積率 |
|
地下鉄谷町線/太子橋今市
大阪府大阪市旭区今市2丁目
|
2分
|
3,100万円
146.78万円
|
69.82m²
(21.12坪)
なし
|
現況渡
住宅用地
|
80%
300%
|
|
地形図等
|
|
その他の画像
|
| 交通 | 地下鉄谷町線 太子橋今市駅 徒歩2分 |
|---|
| その他の交通 | 地下鉄今里筋線 太子橋今市駅 徒歩4分 京阪本線 滝井駅 徒歩7分 |
| 所在地 |
大阪府大阪市旭区今市2丁目
|
| 物件種目 |
土地 |
| 価格 |
3,100万円 |
坪単価 |
146.78万円 |
| 借地期間・地代(月額) |
- |
権利金 |
- |
| 敷金または保証金 |
- / - |
維持費等 |
- |
| その他一時金 |
- |
|
|
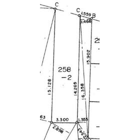
| 土地面積 |
69.82m²(公簿) |
坪数 |
21.12坪 |
| 最適用途 |
住宅用地 |
私道負担面積 |
なし |
| 土地権利 |
所有権 |
都市計画 |
市街化区域 |
| 用途地域 |
1種住居 |
地勢 |
平坦 |
| 建ぺい率 |
80% |
容積率 |
300% |
| 接道状況 |
東 4.9m 公道 接面5.0m
|
地目 |
宅地 |
| 国土法届出 |
- |
セットバック |
- |
| アピールポイント |
弊社新築プランで理想のお家を作りませんか?大阪最大の都心部梅田周辺までも乗り換え無しで行けちゃいます。京阪滝井駅も徒歩約7分と京都も乗り換え無しです。 |
| 特記事項 |
- |
| 備考 |
■現状建物は賃貸中ですが、6ヵ月以内の退去予定です。
■登記上は地番258番1(21.49㎡)と、258番2(48.33㎡)の登
記名義人は別々ですが、合わせての売却となります。
|
| エネルギー消費性能 |
- |
| 断熱性能 |
- |
| 目安光熱費 |
- |
| バス・トイレ |
- |
| キッチン |
- |
| 設備・サービス |
- |
| その他 |
- |
| 条件等 |
- |
現況 |
建物有 |
| 引渡し(可能時期/方法) |
相談/現況渡 |
物件番号 |
6988677307 |
| 情報公開日 |
2025年12月7日 |
次回更新予定日 |
2026年1月4日 |
| ケータイ用バーコード |
- スマートフォンでこの物件を見る
- スマートフォンからもこの物件をご覧になれます。
|
※「-」と表示されている項目については、情報提供会社にご確認ください。
| 周辺施設 |
セブンイレブン大阪太子橋1丁目店 |
| 距離 |
364m |
| 周辺施設 |
マクドナルド1号線太子橋店 |
| 距離 |
458m |
| 周辺施設 |
認定こども園あけのほし幼稚園 |
| 距離 |
398m |
| 周辺施設 |
関西医科大学総合医療センター |
| 距離 |
269m |
ここから簡単にお問い合わせをすることができます。
(SSLでの暗号化での送信を希望されるお客さまは
こちら
よりお問い合わせください)
お問い合わせを行う前に
「個人情報の取り扱いについて」を必ずお読みください。
「個人情報の取り扱いについて」に同意いただいた場合は「上記にご同意の上 確認画面へ進む」のボタンをクリックしてください。
個人情報の取り扱いについて
皆さまが送付された個人情報はアットホーム(株)のサーバを経由し、お問い合わせ先の不動産会社にメールまたはFAXにて転送されるためアットホーム(株)にも保管されます。アットホーム(株)で保管された個人情報の取り扱いについては、【こちら】をご覧ください。
また、本画面でご記入いただいた個人情報は、お問い合わせ先の不動産会社でも保管します。 お問い合わせ先の不動産会社が保管する個人情報の取り扱いについては、不動産会社に直接お問い合わせください。
大阪府知事免許(1)第63989号 |
|---|
- 交通:
- 地下鉄長堀鶴見緑地線/玉造駅 徒歩5分
- 大阪府大阪市中央区上町1丁目6-11 清水谷ビル2階
- TEL:
- 06-4963-3459
- FAX:
- 06-7635-8215
- 所属団体:
- (公社)全日本不動産協会会員(公社)近畿地区不動産公正取引協議会加盟
取引態様:専任媒介  - 50107963
|
- スマートフォンで
この不動産会社を見る

|
- 提携サイト等より掲載されている物件情報につきましては、不動産会社詳細情報にリンクされていないものがあります。
- 物件に関するお問合せは、物件詳細ページの「情報提供会社」に表示されている不動産会社へ直接お願いいたします。
- 間取図は、現況を優先させていただきます。
- 映像は物件の一部を撮影したものです。物件の契約にあたっての最終判断はご自身の判断に基づいて行ってください。
- 仲介手数料について

アットホームは物件情報の適正化に努めております。
内容に誤りがある場合にはこちらへご連絡ください。