福岡県北九州市八幡西区浅川日の峯1丁目(折尾駅)の土地:物件詳細
交通 所在地 |
駅徒歩 |
価格 坪単価 |
土地面積(坪数) 私道負担面積 |
引渡方法 最適用途 |
建ぺい率 容積率 |
|
JR鹿児島本線/折尾
福岡県北九州市八幡西区浅川日の峯1丁目
|
29分
|
1,790万円
26.34万円
|
224.71m²
(67.97坪)
-
|
現況渡
住宅用地
|
60%
200%
|
|
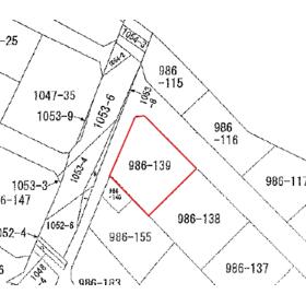
地形図等
上物あり(軽量鉄骨造スレート葺2階建、110.8㎡)
|
外観
人気の浅川小学校・浅川中学校エリアです。
|
<
その他の画像
>
|
| 交通 | JR鹿児島本線 折尾駅 徒歩29分 |
| 所在地 |
福岡県北九州市八幡西区浅川日の峯1丁目
|
| 物件種目 |
土地 |
| 価格 |
1,790万円 |
坪単価 |
26.34万円 |
| 借地期間・地代(月額) |
- |
権利金 |
- |
| 敷金または保証金 |
- / - |
維持費等 |
- |
| その他一時金 |
なし |
|
|
| 土地面積 |
224.71m²(公簿) |
坪数 |
67.97坪 |
| 最適用途 |
住宅用地 |
私道負担面積 |
- |
| 土地権利 |
所有権 |
都市計画 |
市街化区域 |
| 用途地域 |
1種住居 |
地勢 |
- |
| 建ぺい率 |
60% |
容積率 |
200% |
| 接道状況 |
北 8.0m 公道 接面14.0m
・
東 8.0m 公道 接面15.6m
・
二方道路
|
地目 |
宅地 |
| 国土法届出 |
- |
セットバック |
- |
| アピールポイント |
人気の浅川小・浅川中エリア、68坪の土地です!
角地のため、風通し、日当たり良好です。
建築条件が無いためお好きなハウスメーカーでお家を建てることができますよ。
業務スーパー折尾店まで車で2分の好立地!
・上物あり(軽量鉄骨造スレート葺2階建、110.8m2)
◆◆この物件を検討する方へ
現地でご一緒に確認をすることも可能です。
営業時間 10時~16時(休:水曜日、第2、3火曜日)
この時間帯はお電話でのお問い合わせがスムーズにご案内できます。
下の電話ボタンをタッチ!
もしくはお気軽にお電話ください。
◆◆良い物件があれば購入したい方へ
HPの無料 会員登録をおススメします。
お探しのエリアの情報はもちろん、ネット掲載前・査定中物件情報をメールで送信します。
関連サイト「ひろた売買HP」で登録できます。 |
| 特記事項 |
- |
| 備考 |
・浅川小学校・浅川中学校エリア
・建築条件なし
・上物あり(軽量鉄骨造スレート葺2階建、110.8m2)
・業務スーパー折尾店まで車で2分
□□━━━━━━━━━━━━━━━━━━━━━
現地でご一緒に確認をすることもできます。
営業時間 10時~16時(休:水曜日、第2、3火曜日)
この時間帯はお電話でのお問い合わせがスムーズにご案内できます。
━━━━━━━━━━━━━━━━━━━━━━□□
|
| エネルギー消費性能 |
- |
| 断熱性能 |
- |
| 目安光熱費 |
- |
| バス・トイレ |
- |
| キッチン |
- |
| 設備・サービス |
上水道、下水道、都市ガス |
| その他 |
- |
| 条件等 |
- |
現況 |
建物有 |
| 引渡し(可能時期/方法) |
即時/現況渡 |
物件番号 |
6988697843 |
| 情報公開日 |
2025年12月9日 |
次回更新予定日 |
2025年12月27日 |
| ケータイ用バーコード |
- スマートフォンでこの物件を見る
- スマートフォンからもこの物件をご覧になれます。
|
※「-」と表示されている項目については、情報提供会社にご確認ください。
| 周辺施設 |
北九州市立浅川小学校 |
| 距離 |
573m |
写真を見る |
| 周辺施設 |
折尾浅川郵便局 |
| 距離 |
780m |
写真を見る |
| 周辺施設 |
ファミリーマート若松高須東三丁目店 |
| 距離 |
856m |
写真を見る |
| 周辺施設 |
北九州市立浅川中学校 |
| 距離 |
1020m |
写真を見る |
| 周辺施設 |
私立九州共立大学 |
| 距離 |
1052m |
写真を見る |
ここから簡単にお問い合わせをすることができます。
(SSLでの暗号化での送信を希望されるお客さまは
こちら
よりお問い合わせください)
お問い合わせを行う前に
「個人情報の取り扱いについて」を必ずお読みください。
「個人情報の取り扱いについて」に同意いただいた場合は「上記にご同意の上 確認画面へ進む」のボタンをクリックしてください。
個人情報の取り扱いについて
皆さまが送付された個人情報はアットホーム(株)のサーバを経由し、お問い合わせ先の不動産会社にメールまたはFAXにて転送されるためアットホーム(株)にも保管されます。アットホーム(株)で保管された個人情報の取り扱いについては、【こちら】をご覧ください。
また、本画面でご記入いただいた個人情報は、お問い合わせ先の不動産会社でも保管します。 お問い合わせ先の不動産会社が保管する個人情報の取り扱いについては、不動産会社に直接お問い合わせください。
国土交通大臣免許(5)第6432号 |
|---|
- 交通:
- JR鹿児島本線/スペースワールド駅 徒歩15分
- 福岡県北九州市八幡東区山王1丁目11-1
- TEL:
- 093-661-3333
- FAX:
- 093-662-3339
- 所属団体:
- (公社)福岡県宅地建物取引業協会会員不動産公正取引協議会加盟
取引態様:専任媒介  - 80900536
|
- スマートフォンで
この不動産会社を見る

|
- 提携サイト等より掲載されている物件情報につきましては、不動産会社詳細情報にリンクされていないものがあります。
- 物件に関するお問合せは、物件詳細ページの「情報提供会社」に表示されている不動産会社へ直接お願いいたします。
- 間取図は、現況を優先させていただきます。
- 映像は物件の一部を撮影したものです。物件の契約にあたっての最終判断はご自身の判断に基づいて行ってください。
- 仲介手数料について

アットホームは物件情報の適正化に努めております。
内容に誤りがある場合にはこちらへご連絡ください。