不動産 賃貸 マンション等の住宅情報:埼玉住まい情報


静岡県磐田市福田(磐田駅)の土地:物件詳細

  • 物件詳細
  • 情報の見方
  • 印刷用画面
交通
所在地
駅徒歩 価格
坪単価
土地面積(坪数)
私道負担面積
引渡方法
最適用途
建ぺい率
容積率

東海道本線/磐田

静岡県磐田市福田

67分

620万円

11.33万円

180.98m² (54.74坪)

なし

更地渡

住宅用地

80%

200%

おすすめコメント

「磐田市福田(本通り) 売土地」のここがイチオシ。磐田市立福田図書館が家から39mのところにあります。本好きの方にオススメです。建築プランの自由度が高い、平坦な地勢です。

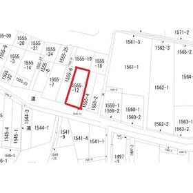
地形図等

地形図等

  • とりあえず保存
  • お問い合わせ
交通

東海道本線 磐田駅 徒歩67分

所在地 静岡県磐田市福田
物件種目 土地
価格 620万円 坪単価 11.33万円
借地期間・地代(月額) 権利金
敷金または保証金 - / - 維持費等
その他一時金    
土地面積 180.98m²(公簿) 坪数 54.74坪
最適用途 住宅用地 私道負担面積 なし
土地権利 所有権 都市計画 市街化区域
用途地域 近隣商業 地勢 平坦
建ぺい率 80% 容積率 200%
接道状況 南 6.0m 公道 接面9.0m 地目 宅地
国土法届出 セットバック
アピールポイント 「磐田市福田(本通り) 売土地」のここがイチオシ。セブンイレブン 磐田福田西店まで徒歩5分と近場にコンビニがあるのもポイント。立地している近隣商業地域とは、地元の商店街のように近隣の住民が日用品の買い物をする店舗などのために定められる地域です。傾斜地より建築が楽な平坦地です。東海道本線磐田周辺で土地をお探しなら、0538-31-3308までお問い合わせください。富士ヶ丘サービスがお客様の土地探しのサポートを致します。
特記事項
備考
ぜひ一度見ていただきたい、「磐田市福田(本通り) 売土地」です。平坦地なので、工事自体も進めやすく、工事時間も短くなりやすいですよ。購入価格820万円と好条件です。ぜひご検討してみてはいかがでしょうか。当社が不動産探しから新生活を始めるまで、お客様をしっかりトータルサポートいたします。まずはお客様の住まいに求めるこだわりをお聞かせください。ご連絡をお待ちしております。
エネルギー消費性能
断熱性能
目安光熱費
バス・トイレ
キッチン
設備・サービス 上水道、下水道、プロパンガス、電気、側溝
その他
条件等 現況 建物有
引渡し(可能時期/方法) 相談/更地渡 物件番号 6988835740
情報公開日 2026年2月19日 次回更新予定日 2026年5月13日
ケータイ用バーコード

QRコード

スマートフォンでこの物件を見る
スマートフォンからもこの物件をご覧になれます。
※「-」と表示されている項目については、情報提供会社にご確認ください。

この物件の周辺情報

周辺施設 磐田市立福田図書館
距離 137m
周辺施設 福田方面隊第1分団コミュニティー消防センター
距離 184m
周辺施設 ワークマン福田店
距離 430m
周辺施設 セブンイレブン磐田福田西店
距離 335m
周辺施設 セブンイレブン磐田福田店
距離 509m
周辺施設 ジョイフル磐田福田店
距離 411m
周辺施設 ローソン磐田福田店
距離 406m
周辺施設 ほっともっと磐田福田店
距離 497m

クイックお問い合わせ

ここから簡単にお問い合わせをすることができます。
(SSLでの暗号化での送信を希望されるお客さまは こちら よりお問い合わせください)

お問い合わせ内容(必須)
お名前(必須) 姓  名 
メールアドレス(必須)
※携帯電話のメールアドレスをご入力される方はこちらをご確認ください
電話番号(必須)
- -

※入力いただいた電話番号へSMSまたは音声でパスワードをご連絡します。

携帯電話の番号をご入力の方へ

携帯電話の番号をご入力の方へ
確認画面にて送信ボタンをクリックするとSMSが携帯電話に届きます。
そのSMSに記載のパスワード(認証番号)を入力し、お問い合わせを完了してください。
尚、SMSの送信者番号は 0005 202 760 となります。
これはアットホームの固定番号です。

備考欄 希望条件、物件案内希望日、質問などがございましたらご記入ください。
お問い合わせを行う前に「個人情報の取り扱いについて」を必ずお読みください。
「個人情報の取り扱いについて」に同意いただいた場合は「上記にご同意の上 確認画面へ進む」のボタンをクリックしてください。

個人情報の取り扱いについて

皆さまが送付された個人情報はアットホーム(株)のサーバを経由し、お問い合わせ先の不動産会社にメールまたはFAXにて転送されるためアットホーム(株)にも保管されます。アットホーム(株)で保管された個人情報の取り扱いについては、【こちら】をご覧ください。
また、本画面でご記入いただいた個人情報は、お問い合わせ先の不動産会社でも保管します。 お問い合わせ先の不動産会社が保管する個人情報の取り扱いについては、不動産会社に直接お問い合わせください。

情報提供会社

情報提供会社

富士ヶ丘サービス(株)

静岡県知事免許(2)第14083号

交通:
東海道本線/磐田駅 徒歩20分 【バス】5分 新加茂川橋 停歩1分
静岡県磐田市見付5789-1 
TEL:
0538-31-3308
FAX:
0538-31-3307
所属団体:
(公社)全日本不動産協会会員
東海不動産公正取引協議会加盟

取引態様:一般媒介

  • 会社情報
  • 40407249
スマートフォンで
この不動産会社を見る
QRコード
  • とりあえず保存
  • お問い合わせ
  • 提携サイト等より掲載されている物件情報につきましては、不動産会社詳細情報にリンクされていないものがあります。
  • 物件に関するお問合せは、物件詳細ページの「情報提供会社」に表示されている不動産会社へ直接お願いいたします。
  • 間取図は、現況を優先させていただきます。
  • 映像は物件の一部を撮影したものです。物件の契約にあたっての最終判断はご自身の判断に基づいて行ってください。
  • 仲介手数料について仲介手数料

アットホームは物件情報の適正化に努めております。 内容に誤りがある場合にはこちらへご連絡ください。

【埼玉住まい情報】では、日本全国の物件から賃貸マンションや賃貸アパート・賃貸一戸建て等の賃貸住宅情報、新築マンション・分譲マンションや中古マンション等の売買マンション情報、新築一戸建てや中古一戸建てなどの戸建住宅、 土地など、総合的な不動産住宅情報検索サービスを提供致します。
【埼玉住まい情報】から、選りすぐりの不動産物件を探してみましょう。

【免責事項】
このコーナーの運営はアットホーム株式会社(https://www.athome.co.jp/)が行っています。
このコーナーに掲載している物件情報は、「アットホーム不動産情報ネットワーク」に加盟する不動産会社等(情報提供元)から提供されています。信頼性の高い情報提供が行えるよう、最大限の努力をしておりますが、その内容を保証するものではありません。 利用者のみなさまと各情報提供元との取引に起因する損害および情報が掲載されたことに起因する損害等については、株式会社イーシティ埼玉、およびアットホームは一切責任を負いません。
各物件情報の内容や画像等はすべて現況を優先させていただきます。
お取引等(お取引の準備、資金調達等を含みます)の際には、内容や契約条件等について、各情報提供元より十分な説明を受け、ご自身でご確認の上、判断してください。
このコーナーへの物件情報のご掲載、その他不動産業務ソリューション等についての不動産会社様のお問合せはこちらからお願いいたします。

物件画像: