山口県山陽小野田市大字東高泊(小野田駅)の土地:物件詳細
交通 所在地 |
駅徒歩 |
価格 坪単価 |
土地面積(坪数) 私道負担面積 |
引渡方法 最適用途 |
建ぺい率 容積率 |
|
小野田線/小野田
山口県山陽小野田市大字東高泊
|
13分
|
700万円
9.21万円
|
251.43m²
(76.05坪)
なし
|
更地渡
住宅用地
|
60%
100%
|
|
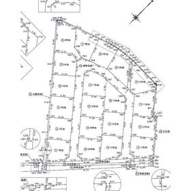
地形図等
|
|
その他の画像
|
| 交通 | 小野田線 小野田駅 徒歩13分 |
| 所在地 |
山口県山陽小野田市大字東高泊
|
| 物件種目 |
土地 |
| 価格 |
700万円 |
坪単価 |
9.21万円 |
| 借地期間・地代(月額) |
- |
権利金 |
- |
| 敷金または保証金 |
- / - |
維持費等 |
- |
| その他一時金 |
- |
|
|
| 土地面積 |
251.43m²(実測) |
坪数 |
76.05坪 |
| 最適用途 |
住宅用地 |
私道負担面積 |
なし |
| 土地権利 |
所有権 |
都市計画 |
非線引区域 |
| 用途地域 |
無指定 |
地勢 |
平坦 |
| 建ぺい率 |
60% |
容積率 |
100% |
| 接道状況 |
南 6.0m 公道
|
地目 |
雑種地 |
| 国土法届出 |
- |
セットバック |
- |
| アピールポイント |
全20区画/残り18区画(2026年3月30日現在)
1号地/成約済
2号地/75.96坪/928万円
3号地/76.02坪/928万円(買付あり)
4号地/76.09坪/930万円
5号地/76.12坪/930万円
6号地/96.73坪/938万円/建築条件付
7号地/76.12坪/869万円
8号地/76.03坪/913万円
9号地/75.96坪/868万円
10号地/76.06坪/700万円/建築条件付
11号地/76.10坪/930万円
12号地/76.00坪/929万円/建築条件付
13号地/76.01坪/967万円/建築条件付
14号地/75.96坪/890万円
15号地/75.96坪/890万円
16号地/76.04坪/890万円
17号地/77.19坪/943万円
18号地/成約済
19号地/76.02坪/928万円/建築条件付
20号地/76.01坪/967万円/建築条件付 |
| 特記事項 |
- |
| 備考 |
開発許可等番号:山都第1318号
高千帆20区画
一部建築条件付
現在造成工事中
|
| エネルギー消費性能 |
- |
| 断熱性能 |
- |
| 目安光熱費 |
- |
| バス・トイレ |
- |
| キッチン |
- |
| 設備・サービス |
- |
| その他 |
- |
| 条件等 |
- |
現況 |
更地 |
| 引渡し(可能時期/方法) |
相談/更地渡 |
物件番号 |
6988964959 |
| 情報公開日 |
2026年1月5日 |
次回更新予定日 |
2026年5月22日 |
| ケータイ用バーコード |
- スマートフォンでこの物件を見る
- スマートフォンからもこの物件をご覧になれます。
|
※「-」と表示されている項目については、情報提供会社にご確認ください。
| 周辺施設 |
イオン小野田ショッピングセンター |
| 距離 |
1387m |
| 周辺施設 |
セブンイレブン小野田萩森口店 |
| 距離 |
703m |
| 周辺施設 |
クスリ岩崎チェーンイオン小野田店 |
| 距離 |
1438m |
| 周辺施設 |
山陽小野田市立高千帆中学校 |
| 距離 |
1040m |
| 周辺施設 |
山陽小野田市立高千帆小学校 |
| 距離 |
1018m |
| 周辺施設 |
山陽小野田市立山陽小野田市民病院 |
| 距離 |
2398m |
ここから簡単にお問い合わせをすることができます。
(SSLでの暗号化での送信を希望されるお客さまは
こちら
よりお問い合わせください)
お問い合わせを行う前に
「個人情報の取り扱いについて」を必ずお読みください。
「個人情報の取り扱いについて」に同意いただいた場合は「上記にご同意の上 確認画面へ進む」のボタンをクリックしてください。
個人情報の取り扱いについて
皆さまが送付された個人情報はアットホーム(株)のサーバを経由し、お問い合わせ先の不動産会社にメールまたはFAXにて転送されるためアットホーム(株)にも保管されます。アットホーム(株)で保管された個人情報の取り扱いについては、【こちら】をご覧ください。
また、本画面でご記入いただいた個人情報は、お問い合わせ先の不動産会社でも保管します。 お問い合わせ先の不動産会社が保管する個人情報の取り扱いについては、不動産会社に直接お問い合わせください。
山口県知事免許(3)第3484号 |
|---|
- 交通:
- 山口線/山口駅
- 山口県山口市大内長野825-1
- TEL:
- 083-902-2710
- 所属団体:
- (公社)山口県宅地建物取引業協会会員中国地区不動産公正取引協議会加盟
取引態様:売主  - 50109709
|
- スマートフォンで
この不動産会社を見る

|
- 提携サイト等より掲載されている物件情報につきましては、不動産会社詳細情報にリンクされていないものがあります。
- 物件に関するお問合せは、物件詳細ページの「情報提供会社」に表示されている不動産会社へ直接お願いいたします。
- 間取図は、現況を優先させていただきます。
- 映像は物件の一部を撮影したものです。物件の契約にあたっての最終判断はご自身の判断に基づいて行ってください。
- 仲介手数料について

アットホームは物件情報の適正化に努めております。
内容に誤りがある場合にはこちらへご連絡ください。