千葉県松戸市高塚新田(市川大野駅)の土地:物件詳細
交通 所在地 |
駅徒歩 |
価格 坪単価 |
土地面積(坪数) 私道負担面積 |
引渡方法 最適用途 |
建ぺい率 容積率 |
|
JR武蔵野線/市川大野
千葉県松戸市高塚新田
|
25分
|
2,088万円
55.16万円
|
125.15m²
(37.85坪)
-
|
更地渡
住宅用地
|
50%
100%
|
|
地形図等
|
外観
|
<
その他の画像
>
|
| 交通 | JR武蔵野線 市川大野駅 徒歩25分 |
|---|
| その他の交通 | 北総線 秋山駅 徒歩25分 成田スカイアクセス 東松戸駅 徒歩32分 |
| 所在地 |
千葉県松戸市高塚新田
|
| 物件種目 |
土地 |
| 価格 |
2,088万円 |
坪単価 |
55.16万円 |
| 借地期間・地代(月額) |
- |
権利金 |
- |
| 敷金または保証金 |
- / - |
維持費等 |
- |
| その他一時金 |
- |
|
|
| 土地面積 |
125.15m²(実測) |
坪数 |
37.85坪 |
| 最適用途 |
住宅用地 |
私道負担面積 |
- |
| 土地権利 |
所有権 |
都市計画 |
市街化区域 |
| 用途地域 |
1種低層、1種住居 |
地勢 |
- |
| 建ぺい率 |
50% |
容積率 |
100% |
| 接道状況 |
北東 21.6m 公道
・
南西 5.5m 公道
|
地目 |
畑 |
| 国土法届出 |
- |
セットバック |
- |
| 特記事項 |
区画整理地内 |
| 備考 |
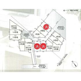
他所在地:4号地
法令等制限:景観法 農地法 宅地造成及び特定盛土等規制法第一種高度地区他
区画番号:高塚新田第17
|
| エネルギー消費性能 |
- |
| 断熱性能 |
- |
| 目安光熱費 |
- |
| バス・トイレ |
- |
| キッチン |
- |
| 設備・サービス |
浄化槽、上水道、都市ガス、電気 |
| その他 |
- |
| 条件等 |
- |
現況 |
更地 |
| 引渡し(可能時期/方法) |
2026年6月下旬予定/更地渡 |
物件番号 |
6989030308 |
| 情報公開日 |
2026年1月10日 |
次回更新予定日 |
2026年5月31日 |
| ケータイ用バーコード |
- スマートフォンでこの物件を見る
- スマートフォンからもこの物件をご覧になれます。
|
※「-」と表示されている項目については、情報提供会社にご確認ください。
| 周辺施設 |
高塚わかば幼稚園 |
| 距離 |
1000m |
写真を見る |
| 周辺施設 |
松戸市立梨香台小学校 |
| 距離 |
1000m |
写真を見る |
| 周辺施設 |
市川市立第五中学校 |
| 距離 |
2200m |
写真を見る |
| 周辺施設 |
マミーマート高塚店 |
| 距離 |
500m |
写真を見る |
| 周辺施設 |
ローソン松戸高塚新田店 |
| 距離 |
550m |
写真を見る |
| 周辺施設 |
ジョーシン市川大野店 |
| 距離 |
500m |
写真を見る |
| 周辺施設 |
医療法人社団嵐川大野中央病院 |
| 距離 |
1800m |
写真を見る |
ここから簡単にお問い合わせをすることができます。
(SSLでの暗号化での送信を希望されるお客さまは
こちら
よりお問い合わせください)
お問い合わせを行う前に
「個人情報の取り扱いについて」を必ずお読みください。
「個人情報の取り扱いについて」に同意いただいた場合は「上記にご同意の上 確認画面へ進む」のボタンをクリックしてください。
個人情報の取り扱いについて
皆さまが送付された個人情報はアットホーム(株)のサーバを経由し、お問い合わせ先の不動産会社にメールまたはFAXにて転送されるためアットホーム(株)にも保管されます。アットホーム(株)で保管された個人情報の取り扱いについては、【こちら】をご覧ください。
また、本画面でご記入いただいた個人情報は、お問い合わせ先の不動産会社でも保管します。 お問い合わせ先の不動産会社が保管する個人情報の取り扱いについては、不動産会社に直接お問い合わせください。
千葉県知事免許(4)第16010号 |
|---|
- 交通:
- つくばエクスプレス/南流山駅 徒歩12分
- 千葉県流山市南流山7丁目1-9
- TEL:
- 04-7157-3820
- FAX:
- 04-7157-3821
- 所属団体:
- (一社)千葉県宅地建物取引業協会会員(公社)首都圏不動産公正取引協議会加盟
取引態様:媒介  - 00102996
|
- スマートフォンで
この不動産会社を見る

|
- 提携サイト等より掲載されている物件情報につきましては、不動産会社詳細情報にリンクされていないものがあります。
- 物件に関するお問合せは、物件詳細ページの「情報提供会社」に表示されている不動産会社へ直接お願いいたします。
- 間取図は、現況を優先させていただきます。
- 映像は物件の一部を撮影したものです。物件の契約にあたっての最終判断はご自身の判断に基づいて行ってください。
- 仲介手数料について

アットホームは物件情報の適正化に努めております。
内容に誤りがある場合にはこちらへご連絡ください。