兵庫県明石市大久保町江井島(江井ヶ島駅)の土地:物件詳細
交通 所在地 |
駅徒歩 |
価格 坪単価 |
土地面積(坪数) 私道負担面積 |
引渡方法 最適用途 |
建ぺい率 容積率 |
|
山陽電鉄本線/江井ヶ島
兵庫県明石市大久保町江井島
|
10分
|
1,590万円
37.82万円
|
139.01m²
(42.05坪)
なし
|
更地渡
住宅用地
|
60%
200%
|
| 交通 | 山陽電鉄本線 江井ヶ島駅 徒歩10分 |
|---|
| その他の交通 | 山陽電鉄本線 西江井ヶ島駅 徒歩13分 山陽電鉄本線 山陽魚住駅 徒歩24分 |
| 所在地 |
兵庫県明石市大久保町江井島
|
| 物件種目 |
土地 |
| 価格 |
1,590万円 |
坪単価 |
37.82万円 |
| 借地期間・地代(月額) |
- |
権利金 |
- |
| 敷金または保証金 |
- / - |
維持費等 |
- |
| その他一時金 |
- |
|
|
| 土地面積 |
139.01m²(公簿) |
坪数 |
42.05坪 |
| 最適用途 |
住宅用地 |
私道負担面積 |
なし |
| 土地権利 |
所有権 |
都市計画 |
市街化区域 |
| 用途地域 |
1種住居 |
地勢 |
平坦 |
| 建ぺい率 |
60% |
容積率 |
200% |
| 接道状況 |
南 6.0m 公道
|
地目 |
宅地 |
| 国土法届出 |
- |
セットバック |
- |
| アピールポイント |
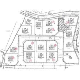
明石市大久保町江井ヶ島に、全16区画の大型分譲地が誕生しました。建築条件無のため、ハウスメーカー・工務店は自由に選択可能。間取りや仕様にこだわりたい方にもおすすめの分譲地です。
分譲地内は整形地中心で、将来にわたって統一感のある街並みが形成される計画。新しいコミュニティで安心して暮らせる住環境が魅力です。
周辺は住宅地として落ち着いた環境で、生活利便施設や交通アクセスも良好。子育て世帯からご夫婦世帯まで、幅広いライフスタイルに対応できる立地です。
ぜひ現地をご覧いただき、住環境や土地の雰囲気をご確認ください。 |
| 特記事項 |
整形地、分譲地内 |
| 備考 |
-
|
| エネルギー消費性能 |
- |
| 断熱性能 |
- |
| 目安光熱費 |
- |
| バス・トイレ |
- |
| キッチン |
- |
| 設備・サービス |
上水道、下水道、都市ガス、側溝 |
| その他 |
- |
| 条件等 |
- |
現況 |
更地 |
| 引渡し(可能時期/方法) |
即時/更地渡 |
物件番号 |
6989316656 |
| 仲介手数料 |
売買代金の3%+6万円 |
|
|
| 情報公開日 |
2026年1月31日 |
次回更新予定日 |
2026年2月14日 |
| ケータイ用バーコード |
- スマートフォンでこの物件を見る
- スマートフォンからもこの物件をご覧になれます。
|
※「-」と表示されている項目については、情報提供会社にご確認ください。
ここから簡単にお問い合わせをすることができます。
(SSLでの暗号化での送信を希望されるお客さまは
こちら
よりお問い合わせください)
お問い合わせを行う前に
「個人情報の取り扱いについて」を必ずお読みください。
「個人情報の取り扱いについて」に同意いただいた場合は「上記にご同意の上 確認画面へ進む」のボタンをクリックしてください。
個人情報の取り扱いについて
皆さまが送付された個人情報はアットホーム(株)のサーバを経由し、お問い合わせ先の不動産会社にメールまたはFAXにて転送されるためアットホーム(株)にも保管されます。アットホーム(株)で保管された個人情報の取り扱いについては、【こちら】をご覧ください。
また、本画面でご記入いただいた個人情報は、お問い合わせ先の不動産会社でも保管します。 お問い合わせ先の不動産会社が保管する個人情報の取り扱いについては、不動産会社に直接お問い合わせください。
兵庫県知事免許(1)第451758号 |
|---|
- 交通:
- JR山陽本線/姫路駅
- 兵庫県姫路市元町75番11 元町東ビル2階9号室
- TEL:
- 079-241-8830
- FAX:
- 079-241-8889
- 所属団体:
- (一社)兵庫県宅地建物取引業協会会員(公社)近畿地区不動産公正取引協議会加盟
取引態様:媒介  - 50110149
|
- スマートフォンで
この不動産会社を見る

|
- 提携サイト等より掲載されている物件情報につきましては、不動産会社詳細情報にリンクされていないものがあります。
- 物件に関するお問合せは、物件詳細ページの「情報提供会社」に表示されている不動産会社へ直接お願いいたします。
- 間取図は、現況を優先させていただきます。
- 映像は物件の一部を撮影したものです。物件の契約にあたっての最終判断はご自身の判断に基づいて行ってください。
- 仲介手数料について

アットホームは物件情報の適正化に努めております。
内容に誤りがある場合にはこちらへご連絡ください。