兵庫県加古川市加古川町稲屋(尾上の松駅)の土地:物件詳細
交通 所在地 |
駅徒歩 |
価格 坪単価 |
土地面積(坪数) 私道負担面積 |
引渡方法 最適用途 |
建ぺい率 容積率 |
|
山陽電鉄本線/尾上の松
兵庫県加古川市加古川町稲屋
|
23分
|
1,410万円
30.84万円
|
151.18m²
(45.73坪)
なし
|
現況渡
住宅用地
|
60%
200%
|
|
地形図等
|
|
その他の画像
|
| 交通 | 山陽電鉄本線 尾上の松駅 徒歩23分 |
| 所在地 |
兵庫県加古川市加古川町稲屋
|
| 物件種目 |
土地 |
| 価格 |
1,410万円 |
坪単価 |
30.84万円 |
| 借地期間・地代(月額) |
- |
権利金 |
- |
| 敷金または保証金 |
- / - |
維持費等 |
- |
| その他一時金 |
- |
|
|
| 土地面積 |
151.18m²(公簿) |
坪数 |
45.73坪 |
| 最適用途 |
住宅用地 |
私道負担面積 |
なし |
| 土地権利 |
所有権 |
都市計画 |
市街化区域 |
| 用途地域 |
1種中高 |
地勢 |
平坦 |
| 建ぺい率 |
60% |
容積率 |
200% |
| 接道状況 |
北西 4.3m 公道
|
地目 |
宅地 |
| 国土法届出 |
- |
セットバック |
- |
| アピールポイント |
当社売主につき、仲介手数料不要です。
明姫幹線北側の好立地。JR加古川駅圏内。分譲地です。
他の区画も販売中です。
【掲載不動産会社】より当社HPへアクセス頂き、
詳細をご確認ください。
詳細な写真や情報が必要であれば、お気軽にお問合せ下さいませ! |
| 特記事項 |
整形地、分譲地内 |
| 備考 |
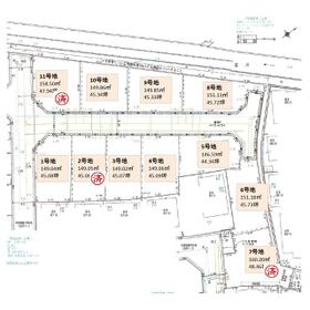
法令等制限:第2-1高度利用地区 絶対高さ12m
区画番号:6号地
|
| エネルギー消費性能 |
- |
| 断熱性能 |
- |
| 目安光熱費 |
- |
| バス・トイレ |
- |
| キッチン |
- |
| 設備・サービス |
上水道、下水道、都市ガス、電気、側溝 |
| その他 |
- |
| 条件等 |
- |
現況 |
更地 |
| 引渡し(可能時期/方法) |
即時/現況渡 |
物件番号 |
6989472788 |
| 仲介手数料 |
不要 |
|
|
| 情報公開日 |
2026年3月3日 |
次回更新予定日 |
2026年5月21日 |
| ケータイ用バーコード |
- スマートフォンでこの物件を見る
- スマートフォンからもこの物件をご覧になれます。
|
※「-」と表示されている項目については、情報提供会社にご確認ください。
| 周辺施設 |
ファミリーマート加古川稲屋店 |
| 距離 |
419m |
| 周辺施設 |
地方独立行政法人加古川市民病院機構加古川中央市民病院 |
| 距離 |
2131m |
ここから簡単にお問い合わせをすることができます。
(SSLでの暗号化での送信を希望されるお客さまは
こちら
よりお問い合わせください)
お問い合わせを行う前に
「個人情報の取り扱いについて」を必ずお読みください。
「個人情報の取り扱いについて」に同意いただいた場合は「上記にご同意の上 確認画面へ進む」のボタンをクリックしてください。
個人情報の取り扱いについて
皆さまが送付された個人情報はアットホーム(株)のサーバを経由し、お問い合わせ先の不動産会社にメールまたはFAXにて転送されるためアットホーム(株)にも保管されます。アットホーム(株)で保管された個人情報の取り扱いについては、【こちら】をご覧ください。
また、本画面でご記入いただいた個人情報は、お問い合わせ先の不動産会社でも保管します。 お問い合わせ先の不動産会社が保管する個人情報の取り扱いについては、不動産会社に直接お問い合わせください。
兵庫県知事免許(3)第401460号 |
|---|
- 交通:
- JR山陽本線/加古川駅
- 兵庫県加古川市加古川町北在家2230番地
- TEL:
- 079-456-6710
- 所属団体:
- (一社)兵庫県宅地建物取引業協会会員(公社)近畿地区不動産公正取引協議会加盟
取引態様:売主  - 50110580
|
- スマートフォンで
この不動産会社を見る

|
- 提携サイト等より掲載されている物件情報につきましては、不動産会社詳細情報にリンクされていないものがあります。
- 物件に関するお問合せは、物件詳細ページの「情報提供会社」に表示されている不動産会社へ直接お願いいたします。
- 間取図は、現況を優先させていただきます。
- 映像は物件の一部を撮影したものです。物件の契約にあたっての最終判断はご自身の判断に基づいて行ってください。
- 仲介手数料について

アットホームは物件情報の適正化に努めております。
内容に誤りがある場合にはこちらへご連絡ください。