埼玉県さいたま市中央区大戸1丁目(中浦和駅)の土地:物件詳細
交通 所在地 |
駅徒歩 |
価格 坪単価 |
土地面積(坪数) 私道負担面積 |
引渡方法 最適用途 |
建ぺい率 容積率 |
|
JR埼京線/中浦和
埼玉県さいたま市中央区大戸1丁目
|
6分
|
12,300万円
180.81万円
|
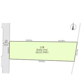
224.89m²
(68.02坪)
なし
|
更地渡
住宅用地
|
60%
100%
|
|
地形図等
|
その他
参考プラン
|
<
その他の画像
>
|
| 交通 | JR埼京線 中浦和駅 徒歩6分 |
|---|
| その他の交通 | JR武蔵野線 武蔵浦和駅 徒歩19分 湘南新宿ライン(宇都宮〜逗子) 浦和駅 徒歩25分 [バス利用可] バス 9分 別所沼公園 停歩5分 |
| 所在地 |
埼玉県さいたま市中央区大戸1丁目
|
| 物件種目 |
土地 |
| 価格 |
12,300万円 |
坪単価 |
180.81万円 |
| 借地期間・地代(月額) |
- |
権利金 |
- |
| 敷金または保証金 |
- / - |
維持費等 |
- |
| その他一時金 |
- |
|
|
| 土地面積 |
224.89m²(公簿) |
坪数 |
68.02坪 |
| 最適用途 |
住宅用地 |
私道負担面積 |
なし |
| 土地権利 |
所有権 |
都市計画 |
市街化区域 |
| 用途地域 |
1種低層 |
地勢 |
高台 |
| 建ぺい率 |
60% |
容積率 |
100% |
| 接道状況 |
西 4.0m 公道 接面7.8m
|
地目 |
宅地 |
| 国土法届出 |
- |
セットバック |
- |
| アピールポイント |
■残り1区画■
◆現況更地
◆確定測量図交付
□住居表示:埼玉県さいたま市中央区大戸一丁目
□交通1:JR埼京線「中浦和」駅 徒歩約5分
□交通2:JR埼京線・武蔵野線「武蔵浦和」駅 徒歩約21分
□交通3:JR湘南新宿ライン・宇都宮線・高崎線「浦和」駅 徒歩約25分
□地積:224.89(実測)
□建ぺい率:60%
□容積率:100%
□用途地域:第一種低層住居専用地域
□その他:建築基準法第22条区域
□接面道路:西側公道 幅員約4m
◆埋蔵文化財/遺跡名 南6号遺跡あり |
| 特記事項 |
整形地 |
| 備考 |
-
|
| エネルギー消費性能 |
- |
| 断熱性能 |
- |
| 目安光熱費 |
- |
| バス・トイレ |
- |
| キッチン |
- |
| 設備・サービス |
上水道、下水道、都市ガス、電気 |
| その他 |
- |
| 条件等 |
- |
現況 |
更地 |
| 引渡し(可能時期/方法) |
相談/更地渡 |
物件番号 |
6989484950 |
| 仲介手数料 |
不要 |
|
|
| 情報公開日 |
2026年2月13日 |
次回更新予定日 |
2026年5月28日 |
| ケータイ用バーコード |
- スマートフォンでこの物件を見る
- スマートフォンからもこの物件をご覧になれます。
|
※「-」と表示されている項目については、情報提供会社にご確認ください。
| 周辺施設 |
ファミリーマートさいたま中浦和店 |
| 距離 |
430m |
| 周辺施設 |
国立埼玉大学教育学部附属中学校 |
| 距離 |
714m |
| 周辺施設 |
国立埼玉大学教育学部附属小学校 |
| 距離 |
893m |
ここから簡単にお問い合わせをすることができます。
(SSLでの暗号化での送信を希望されるお客さまは
こちら
よりお問い合わせください)
お問い合わせを行う前に
「個人情報の取り扱いについて」を必ずお読みください。
「個人情報の取り扱いについて」に同意いただいた場合は「上記にご同意の上 確認画面へ進む」のボタンをクリックしてください。
個人情報の取り扱いについて
皆さまが送付された個人情報はアットホーム(株)のサーバを経由し、お問い合わせ先の不動産会社にメールまたはFAXにて転送されるためアットホーム(株)にも保管されます。アットホーム(株)で保管された個人情報の取り扱いについては、【こちら】をご覧ください。
また、本画面でご記入いただいた個人情報は、お問い合わせ先の不動産会社でも保管します。 お問い合わせ先の不動産会社が保管する個人情報の取り扱いについては、不動産会社に直接お問い合わせください。
東京都知事免許(9)第55474号 |
|---|
- 交通:
- 東京メトロ半蔵門線/神保町駅 徒歩5分
- 東京都千代田区西神田3丁目1番6号 日本弘道会ビル4階
- TEL:
- 0120-655-572
- FAX:
- 03-6261-4098
- 所属団体:
- (一社)全国不動産協会会員(公社)首都圏不動産公正取引協議会加盟
取引態様:売主  - 00161062
|
- スマートフォンで
この不動産会社を見る

|
- 提携サイト等より掲載されている物件情報につきましては、不動産会社詳細情報にリンクされていないものがあります。
- 物件に関するお問合せは、物件詳細ページの「情報提供会社」に表示されている不動産会社へ直接お願いいたします。
- 間取図は、現況を優先させていただきます。
- 映像は物件の一部を撮影したものです。物件の契約にあたっての最終判断はご自身の判断に基づいて行ってください。
- 仲介手数料について

アットホームは物件情報の適正化に努めております。
内容に誤りがある場合にはこちらへご連絡ください。