長崎県長崎市富士見町(原爆資料館駅)の貸駐車場:物件詳細
交通 所在地 |
駅徒歩 |
賃料 |
敷金/保証金 |
礼金 |
|
長崎電軌本線/原爆資料館
長崎県長崎市富士見町
|
13分
|
1.2万円
|
1ヶ月 / なし
|
なし
|
|
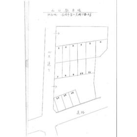
平面図
|
|
その他の画像
|
| 交通 | 長崎電軌本線 原爆資料館駅 徒歩13分 |
|---|
| その他の交通 | 長崎電軌本線 平和公園駅 徒歩10分 JR長崎本線 浦上駅 徒歩15分 |
| 所在地 |
長崎県長崎市富士見町
|
| 物件種目 |
賃貸駐車場 |
| 賃料 |
1.2万円 |
敷金 / 保証金 |
1ヶ月 / なし |
| 敷引 |
- |
管理費等 |
なし |
| 礼金 |
なし |
保証金償却 |
- |
| その他一時金 |
- |
保険等 |
- |
| 維持費等 |
- |
| アピールポイント |
空き区画は9番です!2025年10月1日より利用可能です。人気エリアのため、お早めにお問い合わせください。 |
| 駐車場名 |
|
| 特記事項 |
- |
| 備考 |
管理形態/管理員の勤務形態:-/-
空き予定は9番です。!
|
| エネルギー消費性能 |
- |
| 断熱性能 |
- |
| 目安光熱費 |
- |
| 契約期間 |
1年 |
引渡可能時期 |
指定有り2025年10月1日 |
| 現況 |
使用中 |
更新料 |
なし |
| 物件番号 |
6987541740 |
仲介手数料 |
1.1ヶ月 |
| 情報公開日 |
2025年9月4日 |
次回更新予定日 |
2025年10月30日 |
| ケータイ用バーコード |
- スマートフォンでこの物件を見る
- スマートフォンからもこの物件をご覧になれます。
|
※「-」と表示されている項目については、情報提供会社にご確認ください。
ここから簡単にお問い合わせをすることができます。
(SSLでの暗号化での送信を希望されるお客さまは
こちら
よりお問い合わせください)
お問い合わせを行う前に
「個人情報の取り扱いについて」を必ずお読みください。
「個人情報の取り扱いについて」に同意いただいた場合は「上記にご同意の上 確認画面へ進む」のボタンをクリックしてください。
個人情報の取り扱いについて
皆さまが送付された個人情報はアットホーム(株)のサーバを経由し、お問い合わせ先の不動産会社にメールまたはFAXにて転送されるためアットホーム(株)にも保管されます。アットホーム(株)で保管された個人情報の取り扱いについては、【こちら】をご覧ください。
また、本画面でご記入いただいた個人情報は、お問い合わせ先の不動産会社でも保管します。 お問い合わせ先の不動産会社が保管する個人情報の取り扱いについては、不動産会社に直接お問い合わせください。
長崎県知事免許(2)第4009号 |
|---|
- 交通:
- 【バス】 市民プール前 停歩1分
- 長崎県長崎市城山町4-13
- TEL:
- 095-862-6610
- FAX:
- 095-862-6384
- 所属団体:
- (公社)長崎県宅地建物取引業協会会員(一社)九州不動産公正取引協議会加盟
取引態様:仲介  - 80503256
|
- スマートフォンで
この不動産会社を見る

|
- 提携サイト等より掲載されている物件情報につきましては、不動産会社詳細情報にリンクされていないものがあります。
- 物件に関するお問合せは、物件詳細ページの「情報提供会社」に表示されている不動産会社へ直接お願いいたします。
- 間取図は、現況を優先させていただきます。
- 映像は物件の一部を撮影したものです。物件の契約にあたっての最終判断はご自身の判断に基づいて行ってください。
- 仲介手数料について

アットホームは物件情報の適正化に努めております。
内容に誤りがある場合にはこちらへご連絡ください。