埼玉県川口市北原台3丁目(東川口駅)の貸土地:物件詳細
交通 所在地 |
駅徒歩 |
賃料 坪単価 |
敷金/保証金 礼金 |
土地面積(坪数) 最適用途 |
建ぺい率 容積率 |
|
JR武蔵野線/東川口
埼玉県川口市北原台3丁目
|
27分
|
31.9万円
0.14万円
|
2ヶ月 / なし
1ヶ月
|
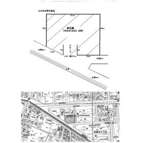
763.00m²
(230.80坪)
駐車場用地
|
60%
200%
|
|
地形図等
|
|
その他の画像
|
| 交通 | JR武蔵野線 東川口駅 徒歩27分 |
| 所在地 |
埼玉県川口市北原台3丁目
|
| 物件種目 |
貸地 |
| 賃料 |
31.9万円 |
管理費等 |
なし |
| 敷金 / 保証金 |
2ヶ月 / なし |
礼金 |
1ヶ月 |
| 坪単価 |
0.14万円 |
敷引 |
- |
| 保証金償却 |
- |
権利金 |
- |
| 維持費等 |
- |
その他一時金 |
- |
| 保険等 |
- |
|
|
| 土地面積 |
763.00m²(公簿) |
坪数 |
230.80坪 |
| 私道負担面積 |
- |
都市計画 |
市街化区域 |
| 用途地域 |
2種中高 |
最適用途 |
駐車場用地 |
| 建ぺい率 |
60% |
容積率 |
200% |
| 地勢 |
- |
接道状況 |
南西 6.0m 公道 接面14.0m
・
南 6.0m 公道
・
二方道路
|
| 地目 |
畑 |
セットバック |
- |
| アピールポイント |
約230坪の駐車場物件です。運送会社様等御検討いただければと思います。道路より高い為幅7m程のスロープです。前面道路幅員6mですが入口前は合流の為道幅が広くなっており大型車も可能です。 |
| 特記事項 |
- |
| 備考 |
管理形態/管理員の勤務形態:-/-
賃貸保証加入相談(保証金:契約時1ヶ月 1年毎の更新で更新料賃料の10%)
|
| エネルギー消費性能 |
- |
| 断熱性能 |
- |
| 目安光熱費 |
- |
| 契約期間 |
3年 |
条件等 |
- |
| 引渡可能時期 |
指定有り2026年7月1日 |
現況 |
更地 |
| 仲介手数料 |
1ヶ月 |
|
|
| 更新料 |
新賃料 1ヶ月 |
物件番号 |
6969726931 |
| 情報公開日 |
2026年1月22日 |
次回更新予定日 |
2026年4月20日 |
| ケータイ用バーコード |
- スマートフォンでこの物件を見る
- スマートフォンからもこの物件をご覧になれます。
|
※「-」と表示されている項目については、情報提供会社にご確認ください。
| 周辺施設 |
ローソン・スリーエフ川口北原台店 |
| 距離 |
210m |
ここから簡単にお問い合わせをすることができます。
(SSLでの暗号化での送信を希望されるお客さまは
こちら
よりお問い合わせください)
お問い合わせを行う前に
「個人情報の取り扱いについて」を必ずお読みください。
「個人情報の取り扱いについて」に同意いただいた場合は「上記にご同意の上 確認画面へ進む」のボタンをクリックしてください。
個人情報の取り扱いについて
皆さまが送付された個人情報はアットホーム(株)のサーバを経由し、お問い合わせ先の不動産会社にメールまたはFAXにて転送されるためアットホーム(株)にも保管されます。アットホーム(株)で保管された個人情報の取り扱いについては、【こちら】をご覧ください。
また、本画面でご記入いただいた個人情報は、お問い合わせ先の不動産会社でも保管します。 お問い合わせ先の不動産会社が保管する個人情報の取り扱いについては、不動産会社に直接お問い合わせください。
埼玉県知事免許(3)第22532号 |
|---|
- 交通:
- JR武蔵野線/東浦和駅 徒歩18分
- 埼玉県川口市在家町2-17
- TEL:
- 048-264-7000
- FAX:
- 048-264-7030
- 所属団体:
- (公社)埼玉県宅地建物取引業協会会員(公社)首都圏不動産公正取引協議会加盟
取引態様:仲介  - 00108496
|
- スマートフォンで
この不動産会社を見る

|
- 提携サイト等より掲載されている物件情報につきましては、不動産会社詳細情報にリンクされていないものがあります。
- 物件に関するお問合せは、物件詳細ページの「情報提供会社」に表示されている不動産会社へ直接お願いいたします。
- 間取図は、現況を優先させていただきます。
- 映像は物件の一部を撮影したものです。物件の契約にあたっての最終判断はご自身の判断に基づいて行ってください。
- 仲介手数料について

アットホームは物件情報の適正化に努めております。
内容に誤りがある場合にはこちらへご連絡ください。