不動産 賃貸 マンション等の住宅情報:埼玉住まい情報


石川県野々市市押野4丁目の貸土地:物件詳細

  • 物件詳細
  • 情報の見方
  • 印刷用画面
交通
所在地
駅徒歩 賃料
坪単価
敷金/保証金
礼金
土地面積(坪数)
最適用途
建ぺい率
容積率

【バス】横宮 停歩230m

石川県野々市市押野4丁目


30万円

0.08万円

6ヶ月 / なし

なし

1,277.57m² (386.46坪)

資材置場用地

60%

200%

おすすめコメント

少し特殊な立地条件ですが、十分な広さがあります。建築は不可です。除草は借主側にて対応が必要です。アプローチは157号線の高架橋の部分からのみになります。なお、産業廃棄物等の置き場には使用出来ません。

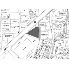
地形図等

地形図等

現況を優先します。

その他の画像
    • とりあえず保存
    • お問い合わせ
    交通

    【バス】 横宮 停歩230m

    所在地 石川県野々市市押野4丁目
    物件種目 貸地
    賃料 30万円 管理費等 なし
    敷金 / 保証金 6ヶ月 / なし 礼金 なし
    坪単価 0.08万円 敷引
    保証金償却 権利金
    維持費等 その他一時金
    保険等    
    土地面積 1,277.57m²(公簿) 坪数 386.46坪
    私道負担面積 なし 都市計画 市街化区域
    用途地域 準工業 最適用途 資材置場用地
    建ぺい率 60% 容積率 200%
    地勢 接道状況
    地目 宅地 セットバック
    特記事項 建築不可、国道沿いに面する
    備考
    管理形態/管理員の勤務形態:-/-
    建築は不可です。除草は借主側にて対応が必要です。
    産業廃棄物等の置き場には使用出来ません。
    アプローチは157号線の高架橋の部分からのみになります。
    保証会社との契約が必要です。
    初回保証料は賃料総額の100%、月額保証料は、賃料総額の0.8%、口座振替手数料330円です。
    エネルギー消費性能
    断熱性能
    目安光熱費
    バス・トイレ
    設備・サービス
    その他
    契約期間 2年 条件等
    引渡可能時期 相談 現況 更地
    仲介手数料 1.1ヶ月    
    更新料 新賃料 0.5ヶ月 物件番号 6985999495
    情報公開日 2025年4月24日 次回更新予定日 2026年5月8日
    ケータイ用バーコード

    QRコード

    スマートフォンでこの物件を見る
    スマートフォンからもこの物件をご覧になれます。
    ※「-」と表示されている項目については、情報提供会社にご確認ください。

    クイックお問い合わせ

    ここから簡単にお問い合わせをすることができます。
    (SSLでの暗号化での送信を希望されるお客さまは こちら よりお問い合わせください)

    お問い合わせ内容(必須)
    お名前・ご担当者様名(必須) 姓  名 
    メールアドレス(必須)
    ※携帯電話のメールアドレスをご入力される方はこちらをご確認ください
    電話番号(必須)
    - -

    ※入力いただいた電話番号へSMSまたは音声でパスワードをご連絡します。

    携帯電話の番号をご入力の方へ

    携帯電話の番号をご入力の方へ
    確認画面にて送信ボタンをクリックするとSMSが携帯電話に届きます。
    そのSMSに記載のパスワード(認証番号)を入力し、お問い合わせを完了してください。
    尚、SMSの送信者番号は 0005 202 760 となります。
    これはアットホームの固定番号です。

    備考欄 希望条件、物件案内希望日、質問などがございましたらご記入ください。
    お問い合わせを行う前に「個人情報の取り扱いについて」を必ずお読みください。
    「個人情報の取り扱いについて」に同意いただいた場合は「上記にご同意の上 確認画面へ進む」のボタンをクリックしてください。

    個人情報の取り扱いについて

    皆さまが送付された個人情報はアットホーム(株)のサーバを経由し、お問い合わせ先の不動産会社にメールまたはFAXにて転送されるためアットホーム(株)にも保管されます。アットホーム(株)で保管された個人情報の取り扱いについては、【こちら】をご覧ください。
    また、本画面でご記入いただいた個人情報は、お問い合わせ先の不動産会社でも保管します。 お問い合わせ先の不動産会社が保管する個人情報の取り扱いについては、不動産会社に直接お問い合わせください。

    情報提供会社

    情報提供会社

    アール南北不動産(株)

    石川県知事免許(12)第1550号

    交通:
    【バス】 平和町 停歩2分
    石川県金沢市平和町2丁目24-18 
    TEL:
    076-243-7316
    所属団体:
    (公社)石川県宅地建物取引業協会会員
    北陸不動産公正取引協議会加盟

    取引態様:仲介

    • 会社情報
    • 40402459
    スマートフォンで
    この不動産会社を見る
    QRコード
    • とりあえず保存
    • お問い合わせ
    • 提携サイト等より掲載されている物件情報につきましては、不動産会社詳細情報にリンクされていないものがあります。
    • 物件に関するお問合せは、物件詳細ページの「情報提供会社」に表示されている不動産会社へ直接お願いいたします。
    • 間取図は、現況を優先させていただきます。
    • 映像は物件の一部を撮影したものです。物件の契約にあたっての最終判断はご自身の判断に基づいて行ってください。
    • 仲介手数料について仲介手数料

    アットホームは物件情報の適正化に努めております。 内容に誤りがある場合にはこちらへご連絡ください。

    【埼玉住まい情報】では、日本全国の物件から賃貸マンションや賃貸アパート・賃貸一戸建て等の賃貸住宅情報、新築マンション・分譲マンションや中古マンション等の売買マンション情報、新築一戸建てや中古一戸建てなどの戸建住宅、 土地など、総合的な不動産住宅情報検索サービスを提供致します。
    【埼玉住まい情報】から、選りすぐりの不動産物件を探してみましょう。

    【免責事項】
    このコーナーの運営はアットホーム株式会社(https://www.athome.co.jp/)が行っています。
    このコーナーに掲載している物件情報は、「アットホーム不動産情報ネットワーク」に加盟する不動産会社等(情報提供元)から提供されています。信頼性の高い情報提供が行えるよう、最大限の努力をしておりますが、その内容を保証するものではありません。 利用者のみなさまと各情報提供元との取引に起因する損害および情報が掲載されたことに起因する損害等については、株式会社イーシティ埼玉、およびアットホームは一切責任を負いません。
    各物件情報の内容や画像等はすべて現況を優先させていただきます。
    お取引等(お取引の準備、資金調達等を含みます)の際には、内容や契約条件等について、各情報提供元より十分な説明を受け、ご自身でご確認の上、判断してください。
    このコーナーへの物件情報のご掲載、その他不動産業務ソリューション等についての不動産会社様のお問合せはこちらからお願いいたします。

    物件画像: